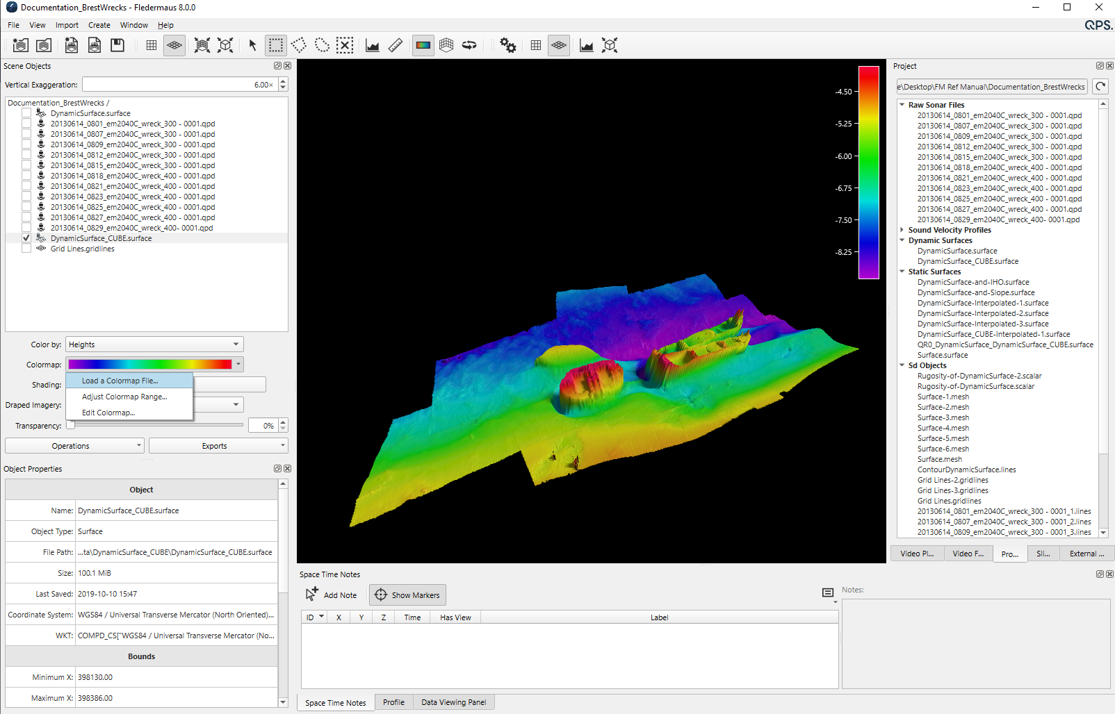
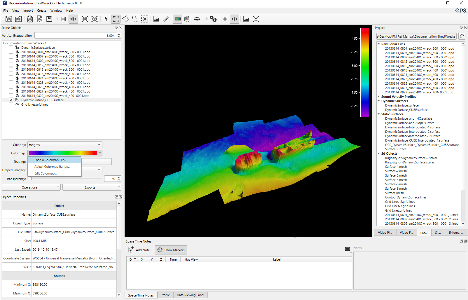
Fledermaus Select Colormap Dialog

Select Colormap Dialog
How to Start
- Scene Objects Dock → Colormap → Load a Colormap File
- File Menu → Preferences → Shared Preferences → Colormap → ...
Select Colormap Dialog from Scene Objects Dock
What it Does
This dialog provides a non-visual (and frankly 1980's) list of available colormaps to choose.
General Description
For System Colormaps, simply select the entry from the list and click OK. Select User Colormaps to load a previously saved colormap not part of the default colormap list.