Skip to main content
Skip table of contents

Fledermaus Adjust Colormap Range Dialog

Adjust Colormap Range Dialog



How to Start


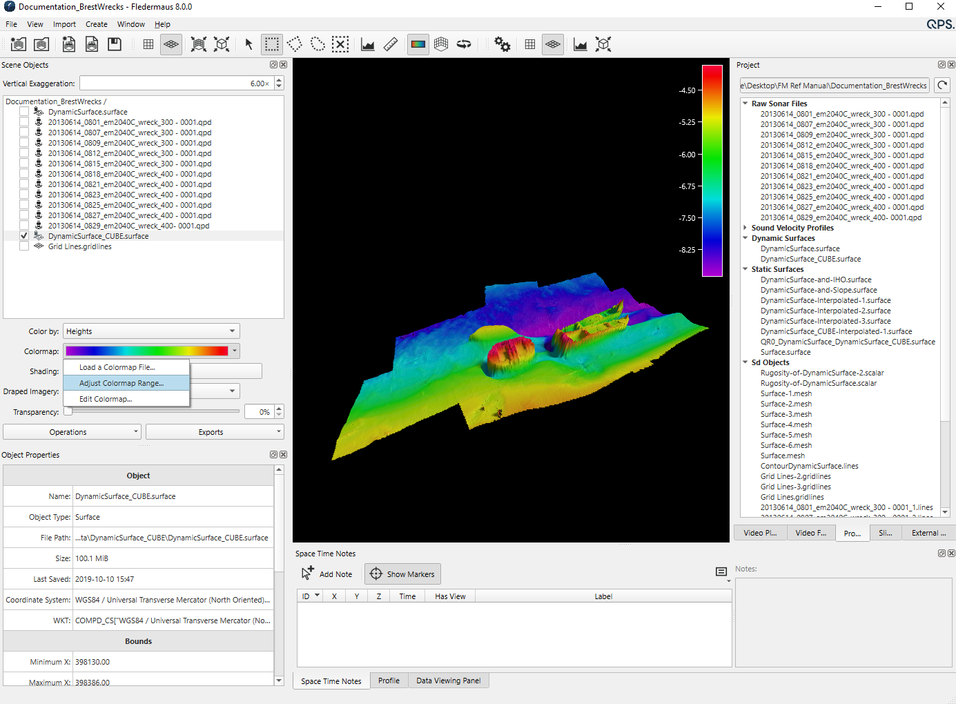
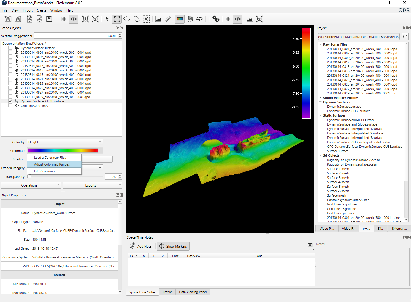
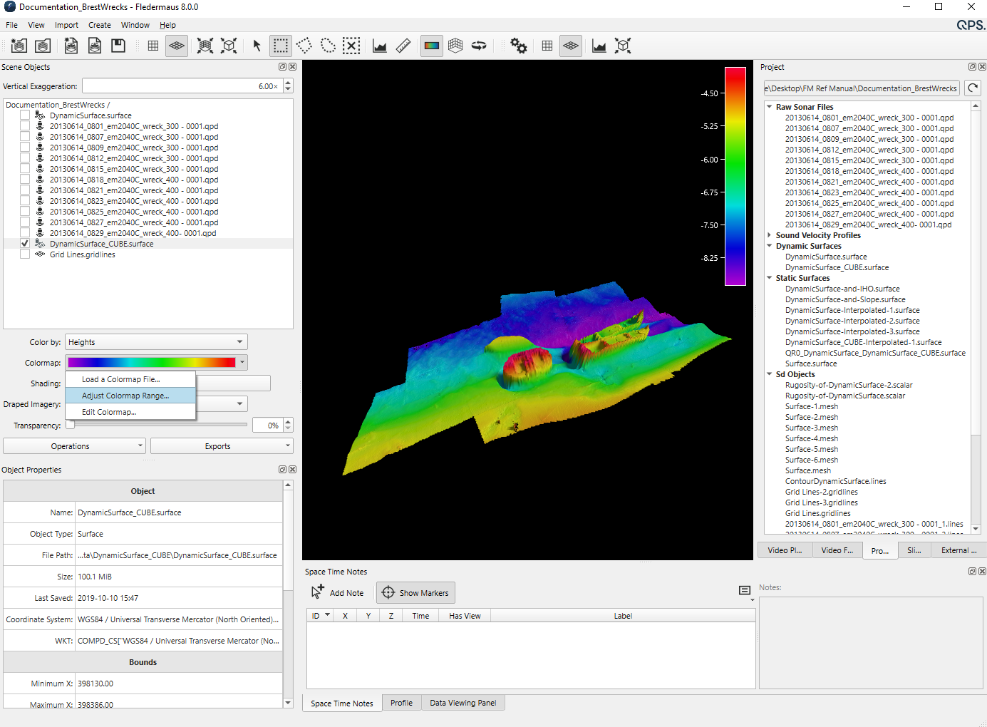
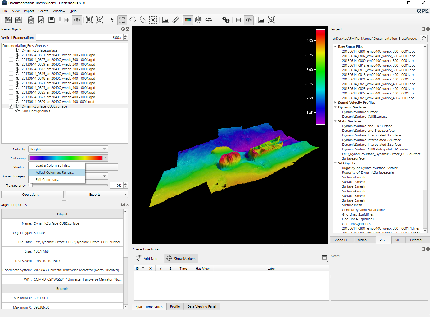
Adjust Colormap Range Dialog from Scene Objects Dock

What it Does

This dialog adjusts how colormap is applied to the range of values in the selected layers.

General Description

The dialog shows two ranges:

  • The Data Range is the actual range of values found in the selected files. This is not user editable.
  • The User Range is a separate range that can override the data range when coloring the surface.

The actual effect of the user range depends on the scaling type of the colormap.

  • For Percentage Based colormaps, it adjusts the minimum and maximum that the relative scaling occurs between.
  • For Fixed Range colormaps, it just adjusts the minimum and maximum outside of which values should be considered out of range.


With a Single Surface Selected

If only one surface is selected, a histogram is shown, as in the image above. This shows where in the range the majority of the data lies, making it easier to choose a user range. Left clicking on the histogram sets the user minimum. Right clicking sets the maximum.

The Reset button, resets the user range to match the data range.

With Multiple Surfaces Selected

If multiple surfaces are selected, the histogram display will show a combined histogram from the selected files and any adjustments one makes are applied to all selected surfaces.


JavaScript errors detected

Please note, these errors can depend on your browser setup.

If this problem persists, please contact our support.