Skip to main content
Skip table of contents

CSD - Navigation Display

Navigation Display

Used for navigation and positioning during dredging operations, this display makes use of a layer structure. Each layer can be enabled/disabled and/or the layer stacking re-ordered.
Take the following steps to configure the Navigation Display; only a few important settings are discussed here. For more detailed information refer to the Online Help.

Refer to CSD - Online Displays for details about creating a display set and adding new displays. The following assumes a Navigation Display has already been created.

The initial Navigation Display looks something like this:

Layers

Click here to expand...

Layers

 

Chart Setup

Sets the scale and orientation of the chart.

Object Tracking

This option keeps one or more of the objects visible in the Navigation Display at all times. Various options allow placement of object(s) in different parts of the display.

Pre-plot Shape

A shape of a vessel or object can be pre-plotted in the Navigation Display at a given location, usually as a target for the dynamic object to position itself on top of it.

Layer Overview

Activate or de-activate a layer and reorder the layers.

ENC

Presentation and information option for Electronic Navigation Charts.

CAD/GIS

Add and remove CAD or GIS files or query an ESRI file.

Line Planning

Various aids for viewing and navigating lines loaded in Controller - Settings - Session Setup - Planning.

Line Databases

Add or remove additional line databases.

Sounding Grid

Define displaying options for a sounding grid.
Only available when a Sounding Grid has been activated in the Controller - Settings - Session Setup - Storage.

GeoTiff Images

Add or remove Geo Tiff images.

ARPA / AIS Targets

Select the type of targets and the way they are displayed.
This option is only active when target information is received. Define a system in the Database Setup program.

Chart Features

Select the type of grid and the way of displaying this grid.

Anchors

Various drawing options for anchors and range-bearing indicators.
Only available when anchors have been added to the Controller - Settings - Session Setup.

Show AnnotationsAreas or points which have an annotation attached are shown in the chart.
AnnotationsOpen the Annotations dialog to add/edit annotation points or areas which can have a reference to a file such as a document or an image.

SBE Track

The Single Beam Echosounder track can be displayed in the Navigation Display.
Only available when a Single Beam Echosounder has been added to the Database Setup.

EventsRecorded events can be shown in the display.
Only available when an Eventing system has been added to the Database Setup.

Vessel Properties

Various vessel display options and displaying of fix marks and MBE coverage.

Right-clicking in any of the menus on the left offers the option to change the size of the icons to large or small.

Return to top of page.

Return to CSD - Online Displays

Object Tracking

There are several options available in tracking one or more objects.

Go to “Layers” on the menu bar and select “Object Tracking”, or click on the icon 

The following dialog opens:

Enable Object Tracking. This automatically keeps the selected objects in view, 

Select “Tracking Enabled” in order to automatically track an object in the Navigation Display. This keeps the focus on the selected object at all times.

Select one of the available tracking modes and if necessary adjust the tracking settings.

The Tolerance and Position sliders control the two red boxes which dictate how and when the display is updated.

When the option “Relative Motion” is selected the object has a fixed location on the screen and the chart moves under the vessel.

Select the objects to be tracked. If multiple objects are enabled, display scale automatically changes to keep all objects in view.

Return to top of page.

Return to CSD - Online Displays

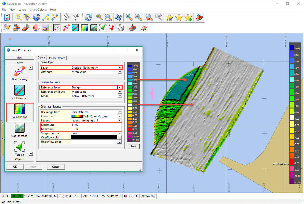
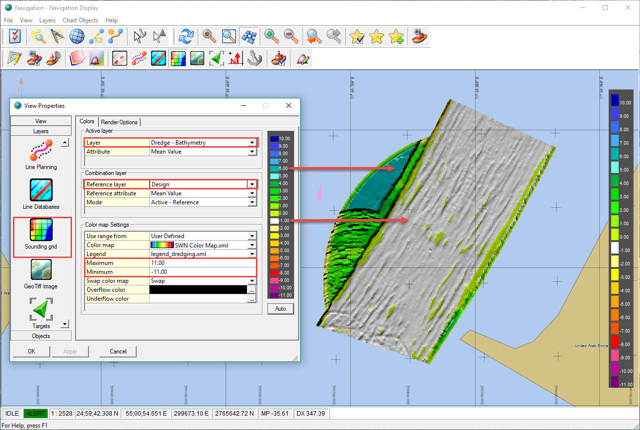
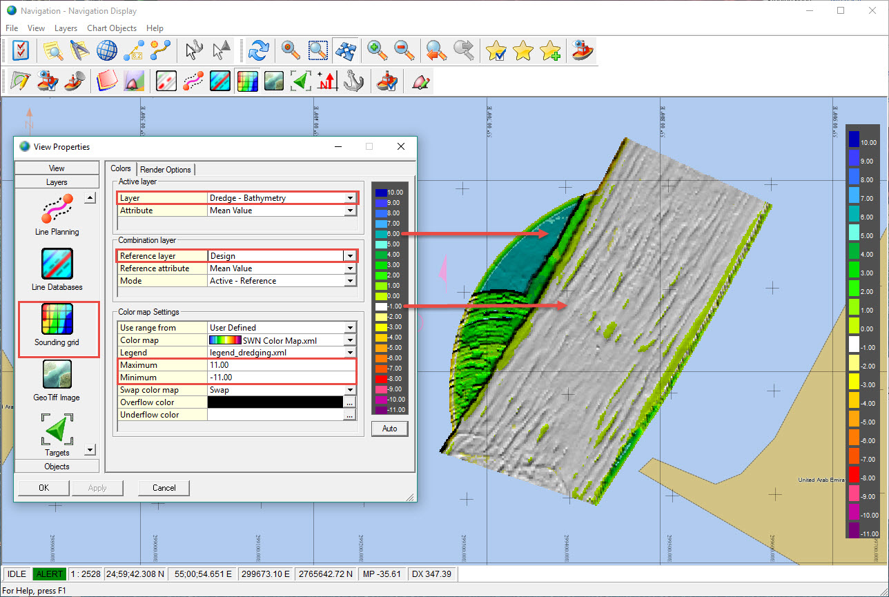
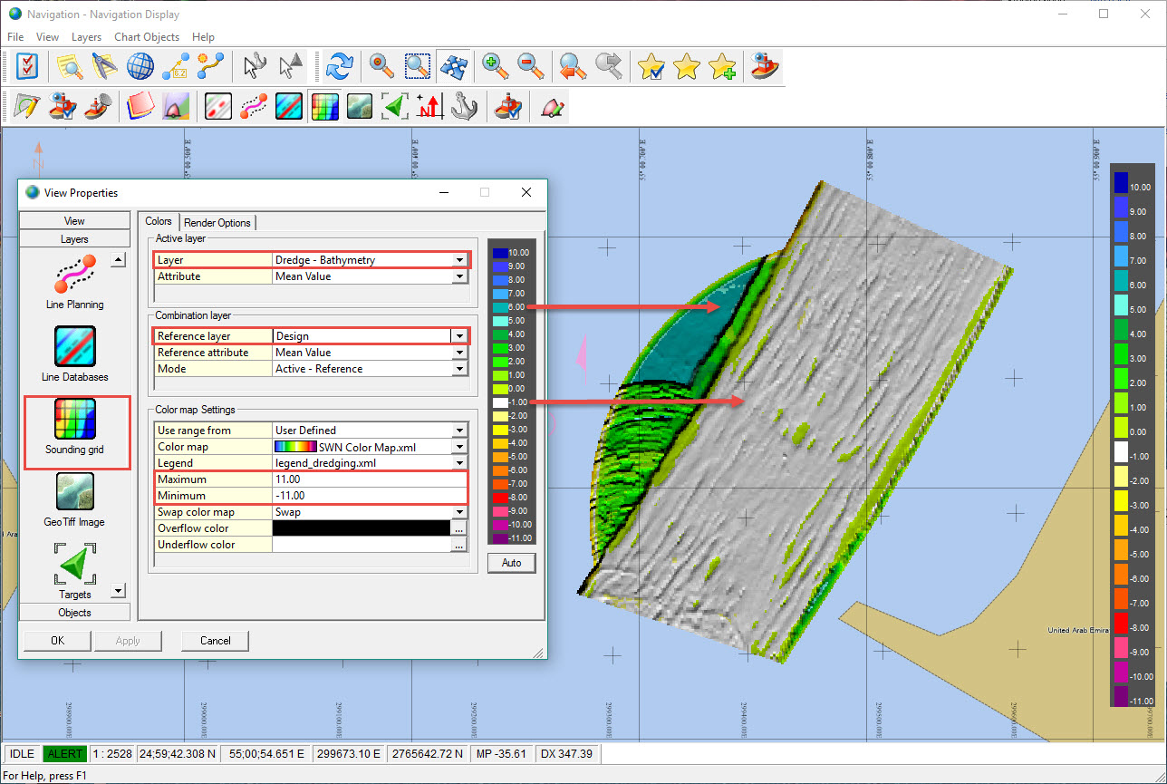
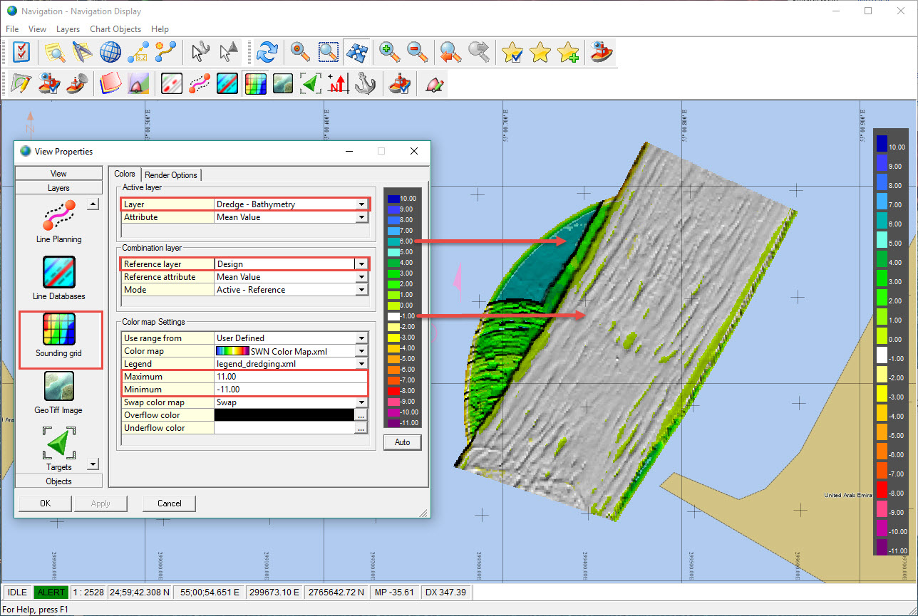
Sounding Grid

When a sounding grid is selected in Session Setup for data storage of multiple systems it is automatically shown in the Navigation Display.
Take the following steps in order to modify sounding grid settings.

Go to “Layers” on the menu bar and select “Sounding Grid”, or click on the icon 
. The following dialog opens:

Use the “Colors” tab to modify the layer and layer related options.

Select the layer and the attribute of the layer that needs to be displayed.

Different layers may contain bathymetry (Insurvey, Outsurvey, design, dredge head height), imagery, magnetometer or other data types such as Current Production, Mixture Density and Mixture Velocity.
The attribute list contains all the attributes assigned to the layer when the sounding grid was created.

Select which layer and attribute to combine with the active layer to create a 'difference' surface.

Using a Reference layer means that it has been pre-populated with data. Pick one of the existing layers from the drop down list to make a comparison.
For example a Reference layer may contain a pre-dredge DTM to be compared with a post dredge DTM, or a channel design surface to compare with a dredged surface.

The functionality is also useful in assessing sediment migration. Surface differences are computed and color mapped in real-time as the second survey data is acquired.

Disable when not in use otherwise you may see unexpected results as you populate the active layer.


Set the Use Range value from “Project Settings” to “User Defined” in order to change the color map and the minimum and maximum values for the selected attribute, e.g. Mean Depth.

Select a Color map from preexisting definitions.

A custom designed Color map can be created if needed using the Color Scale Editor

found in the lower pane of the Console.


As an alternative to entering minimum and maximum range values, use the Auto button to automatically set these values.

Select an “Overflow” and “Underflow” color for when the depth values exceed the minimum and maximum depth.

This can be a useful option to indicate when designed depth is achieved, or to show pockets of under or over dredging.

Return to top of page.

Return to CSD - Online Displays

Vessel Properties

Various properties can be set for each defined object.

Go to “Layers” on the menu bar and select “Vessel Properties”, or click on the icon 
.

The following dialog opens:

Select an object on the left. Note that properties shown on the right are the same for all objects.

Drawing Options Tab

Select the “Drawing Options” tab.

Select whether the priority computation, which is set in the “Computation Setup, or another computation should be used to display the object in the Navigation display.

Make selections and value entries for Draw options as follows.

When multiple objects need tracking the map scale is automatically adjusted until all objects are visible.

Click here to expand...

Draw Options

 

General object settings

Settings for the appearance of the object selected in the left pane.

Visibility

Show - Show the object in the Navigation Display.
Hide - Hide the object.
Hide on bad position - Hide the object when the positioning is bad.

Override object color

Use a different color than was used in defining the object in the Database Setup program. Select a new color.

Fill shape

Fill the shape instead of only showing the outlines.

Blowup factor

Vessel shape as defined in the Database Setup will be scaled up for a better visibility in the Navigation Display. Enter a scaling factor.

Allow overscale symbol

When the vessel shape as defined in Database Setup is too small to be drawn at the current display scale a default symbol for the object is drawn instead.
Set a color for this symbol.
For the smaller object shapes like the dredge head or spud poles it is better not to use the option “Allow Overscale Symbol”.

Fill overscale shape

Fill the shape instead of only showing the outlines.

COG Arrow settings

Under the 'Nodes' tab first switch on the COG arrow which is drawn in front of the vessel. Use <Apply> to activate the changes.

Visibility

Fixed length - The length of this arrow is of fixed length.
SOG indication length - The arrow's length depends on the Speed Over Ground.
The arrow is a good indication of the stability of the computation and its filters: an unstable computation will give a jumpy arrow.

Length

Enter a Fixed length of the arrow in meters or a length in seconds referenced to the Speed Over Ground.

Trail settings

Under the 'Nodes' tab first switch on the Trail. The history of the object position is drawn. Use <Apply> to activate the changes.

Trail history

Enter the length of the trail history to be shown in seconds.

Show prediction

Switch on the prediction option. This option shows the object at a predicted position ahead of the actual position.

Prediction timeEnter the time over which the prediction should be calculated.
Predicted object colorSelect a color in which to show the predicted object.

Show object trail

The trail of the object is drawn as a series of the object's shape rather than a series of dots.

Object trail intervalEnter a trail interval in seconds. The object shape will only be drawn at those intervals.
Object trail colorSelect a color in which to show the objects in the trail.

Show arrow trail

An arrow of the trail of the COG arrow will be drawn.

Arrow trail intervalEnter a trail interval in seconds.
Arrow trail colorSelect a color for the arrow trail..

The Draw Options dialog has a tree-view kind of look. Double-click on the plus signs to unfold the options and on the minus signs to fold them again.

 

Return to top of page.

Return to CSD - Online Displays

Nodes Tab

Use this menu to set which trails and labels, for which nodes, are made visible in the Navigation Display.

Select the Nodes tab.

Select an Object for which node properties are to be set.

A list of all available nodes for the selected object is shown on the right.

For each node determine if and how it should be displayed.

Click here to expand...

Computation

Select which Computation should be used to calculate the positions of the nodes.
This could be a different computation than used for the object.

Nodes

 

Node

The nodes on the object as defined in Database Setup are shown here.

Label

The name label is shown at the current location of the node.

Trail

A dotted trail for the node position is drawn. The length of this trail is set under the 'Drawing Options' tab : Trail History.

ConnectedConnect the dots which are left behind as a Trail. (See line above.)

Bold

The dots used to draw the node trail are set to large.

Arrow

An arrow is drawn from the node indicating the Course Over Ground.

Ring

A ring is drawn around the node for better visibility.

Range

The radius of the ring drawn around the node.

Select a node in the top pane. Set a color for each node separately to be shown in the Navigation Display.

Click here to expand...

Node Color Settings

 

Color Mode

Choose one of the next settings to be shown in the screen:
Color Only - The Label/Trail/Arrow highlighted in the list above is shown in the selected color.
Position Status - The Position Status is shown in the Navigation Display in the selected colors.
GPS Quality Indicator - The GPS Quality Indicator value is shown in the selected color.

(Default) Color

A color can be set for each node separately.

Color scale

Only available when Color Mode is set to GPS Quality Indicator.
Browse for an existing color scale. It displays the GPS quality (e.g. RTK fixed solution mode or DGPS solution mode). These color maps are currently available:


 Add status

Only available when Color Mode was set to Position Status.
The Add Status dialog will open.
Select Status: Select a status from the list.
The Trail ticked in the list above will be shown in the selected color when the chosen status is active.

 Remove

Remove the highlighted status.

Return to top of page.

Return to CSD - Online Displays

Range and Bearing

The following steps describe how a range and bearing measurement is done.

Go to “View” on the menu bar and select “Range and Bearing”, or click on the 
icon.

The following dialog is opened. The mouse pointer changes for this type of action.

Click with the left mouse button in the navigation display and drag the mouse pointer to a different location.

The outcome of the measurement is displayed in the Range and Bearing dialog.

Return to top of page.

Return to CSD - Online Displays

Range Markers

Use a range marker to see a continuous range and bearing measurement between two points. For example from a node on a vessel to another certain position. Multiple range markers can be placed.
All markers can be previewed in the Navigation Display by pressing Apply. Edits can then be made before closing the dialog.

The following steps describe how a range marker is added.

Go to “View” on the menu bar and select “Range Markers”, or click on the 
icon. The following dialog opens:

Select the '+' icon to add a range marker. This opens the following dialog:

Provide a name, color and use the check boxes to determine what text to show, and whether a circle is needed.

The circle is centered on the From point with radius equal to the distance between the From and To points.

Select the “Type” for the point from which the measure originates.

Click here to expand...

From

 

Node type

Node - Can be on any Object as defined in the template database created using the Database Setup program.
Fixed location - Can be entered manually or can be picked in the Navigation Display after pressing the 

button.
Fixed Node - Can be any Fixed Node as defined in the template database.

Computation

Use the computation from one of the systems as set up in the Controller - Settings - Computation Setup.
Only visible when Node type is set to Node.

Object

Select an Object as defined in the template database.
Only visible when Node type is set to Node.

Node

Select a Node as defined in the template database.
Only visible when Node type is set to Node.

Relative Bearing

Select 'Relative to north' or 'Relative to vessel heading'.
Only visible when Node type is set to Node.

Coordinate system

Select

Grid - Survey Projection or

Geographical - Survey Datum or

Geographical - WGS84.

Only visible when Node type is set to Fixed location. Otherwise range and bearing are measured on the grid.

Easting,Northing or Latitiude,Longitude

Enter coordinates manually, or use the mouse cursor in the Navigation Display after pressing the 

button.
Only visible when Node type is set to Fixed location.
If no coordinate is needed after having pressed Select, right-click in the Navigation Display and the selection cursor disappears.

WaypointSelect a fixed node which was defined in the template database.
Only visible when Node type is set to Fixed Node.

Select the “Type” for the point to which the measure is made.

Click here to expand...

To

 

Node type

Fixed location - Enter manually or pick in the Navigation Display after pressing the <Select> button.
Node - Can be on any Object as defined in the Database Setup.
Fixed Node - Can be any Fixed Node as defined in the Database Setup.
Line planning - Can be used when lines were created in the Line Data Manager and were activated in the Controller - Settings - Session Setup.
Current line - Can have been defined in the Line Data Manager beforehand or can be created with the Waypoint planning dialog.
Mouse position - After pressing <Apply> the mouse can be moved around in the Navigation Display and a continuously changing range and bearing will be shown.
Waypoint - Must have been defined in the Waypoint planning dialog.

Coordinate system

Select Grid - Survey Projection / Geographical - Survey Datum / Geographical - WGS84.
Only visible when Node type was set to Fixed location.

Easting,Northing or Latitiude,Longitude

Enter coordinates manually, or use the mouse cursor in the Navigation Display after pressing the <Select> button.
Only visible when Node type was set to Fixed location.
If no coordinate is needed after having pressed <Select>, right-click in the Navigation Display and the selection cursor disappears.

Computation

Use the computation from one of the systems as set up in the Controller - Settings - Computation Setup.
Only visible when Node type was set to Node.

Object

Select an Object as defined in the Database Setup.
Only visible when Node type was set to Node.

Node

Select a Node as defined in the Database Setup.
Only visible when Node type was set to Node.

WaypointSelect a fixed node which was entered as a Waypoint.
Only visible when Node type was set to Fixed Node.

Target

The Target must have been defined in Waypoint planning or in the Line Data Manager beforehand.
Only visible when Node type was set to Line Planning.

Mode

Select to which point along the current line: Start of line / End of line / Kp and Offset.
Only visible when Node type was set to Current line.

Line database

Choose which database to select a waypoint from.
This database must be defined beforehand in Line Data Manager or with the Waypoint planning option in the Navigation Display.
Only visible when Node type was set to Waypoint.

Waypoint

Select a waypoint from the Line database created earlier.
Only visible when Node type was set to Waypoint.

Use this button in combination with the Easting,Northing or Latitiude,Longitude coordinates in the To and From panels and with the mouse cursor.
The button is activated by clicking in the Easting,Northing or Latitiude,Longitude box.
The cursor will change into a Range and bearing symbol 

to indicate that a selection in the navigation screen is expected.

All items which can be changed can be previewed in the Navigation Display by pressing <Apply>.
This way, the effect of a selection can be seen before closing the menu.

Close the Range markers dialog. If changes have not been confirmed with

, you are asked whether to save the changes or not.

 

Return to top of page.

Return to CSD - Online Displays

Waypoint Planning

Creating waypoints, lines and routes is simple. New ones are saved to a new line database or appended to an existing line database.

Take the following steps in order to create new waypoints, lines and routes.

Go to “View” on the menu bar and select “Waypoint Planning”, and then “Add Waypoints”, or click on the 
icon.

The following window opens:

Use the mouse to click on the main display window to lay out waypoints, lines and routes.

Note that the cursor takes on a new form 

.

For a single waypoint, click with the mouse on the main display window and then right click to end the selection process.
For a line, click with the mouse at the start of line and again at the end of line. Right click to complete the selection process.
For a route click with the mouse at each vertex. When done right click to end the selection process.
Position of waypoints, start and end of line and vertices, as well as distance and bearing is displayed in the Waypoint Planning dialog, and on the main display window.

When finished laying out go to the Save - Waypoint Planning dialog to make General entries and selections.

Note that you can type in a new PRO file name when browsing under Filename.

Before saving the waypoints created, the position of any one or more points may be changed either by:

Hovering the mouse over a waypoint; the cursor again changes form to allow each waypoint to be shifted in position by mouse
or by typing in a new set of coordinates in the dialog box. Select either E/N or Lat/Long to do this.
 

A waypoint which is made Active cannot be edited. First activate another line using the <Page Up> and <Page Down> buttons or the shortcut menu in the Navigation Display.
The shortcut menu can be activated by using the right mouse button on the waypoint or line.

 

Use the following buttons to further modify the point, line or polyline:

Delete all waypoints and legs in this file and start anew with <Insert> and Add Waypoints from the shortcut menu.
To permanently delete all waypoints and legs in this file, use the Line Data Manager program to delete the *.PRO file.

Delete the highlighted point. In the box it is highlighted in blue, in the Navigation Screen it is the red highlighted circle.
The shortcut menu can be used for this too: right-click on the point and select Remove Waypoint.
This option is only available when
the Waypoint planning dialog is open.
A single waypoint cannot be removed, but all points on a Line or Route except for the last one, can be removed.

Insert a point between the selected point and the previous one. When the first point of a line is highlighted, the inserted point will be added before it.
Adding points to an existing line can also be done with Add Waypoint from the shortcut menu.
This works for the first and last point of a line, or it can be done in the middle of a leg line.

When the first point on the line is given a KP value, the KPs for the rest of the line will be recalculated when this button is pressed.

 

Once all edits are complete, use one of the following buttons:

Save the setup of waypoints and legs in a *.PRO file. Waypoints and connecting lines (legs) are shown in the Navigation Display.

Ignore all changes and return to the Navigation Screen.

Ignore all changes and return to the Navigation Screen.
Changes are stored in memory, so when starting Waypoint Planning again, the last waypoint, line, or route is shown to edit.

Waypoints can not be drawn on top of each other.

Waypoints can not be defined on top of a leg line. (Use <Insert> if an extra point is needed in between existing waypoints. See for more possibilities the <Insert> option above.)

Right mouse menu

To edit existing waypoints, right-click on a point or leg line (a connecting line between two points) and select 'Edit' from the shortcut menu.
The following message is displayed:

Clicking Yes opens the Save- Wave point planning dialog.
Existing points can be dragged to other positions with the mouse pointer or by typing in new coordinates.

Return to top of page.

Return to CSD - Online Displays.

Anchors 

Only available when anchors have been added to the Controller - Settings - Session Setup.

Go to “View” on the menu bar and select “Anchors”, or click on the 
 icon,

or click on View Properties 

and select Anchors listed under the Layers 
 button.

View Properties can also be opened by right clicking.

Three tabs provide options to customize visualization of the anchors being run in a dredging operation:

      • Anchor Settings
      • Range Marker Settings
      • Anchor Pattern

Anchor information is retrieved from either the Anchor Settings in the Controller's Session Setup or is received from an anchor input driver.

Anchor Settings Tab 

Click on the Anchor Settings tab.

Make selections that govern how anchors are drawn on the display. The options are self explanatory; refer to Help pages if in doubt.

This option activates an additional dialog showing current anchor status:

Numbers in this dialog update with movement of dredger and/or tug.

Choose an anchor size.

Range Marker Tab

Options here control which 'rubber band' lines and which annotations are shown.

Anchor Pattern Tab

A variant of a compass rose is display, centered on the reference point of a selected object.

Anchor Planning

This option is only available when anchors have been defined in the Controller - Settings - Session Setup, Vessel and Anchor Setup.

Go to “View” on the menu bar and select “Anchor Planning”, or click on the 
 icon.

The mouse pointer changes form. Use it to drag an anchor to another location. When at the correct location right mouse-click to select an action to perform on the anchor.

Additionally the right mouse button can be used to open a shortcut menu. Here a limited number of actions can be selected: Assign the anchor to a different vessel or change the status from Racked to Pick up.

Return to: top of page

Return to: CSD - Online Displays

JavaScript errors detected

Please note, these errors can depend on your browser setup.

If this problem persists, please contact our support.