Fledermaus 8.8.0 New Functionality
On this page:
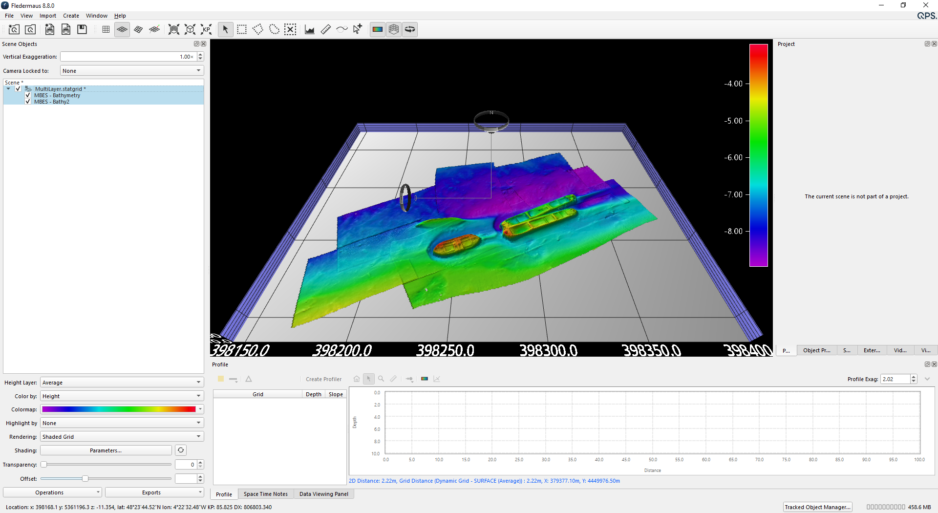
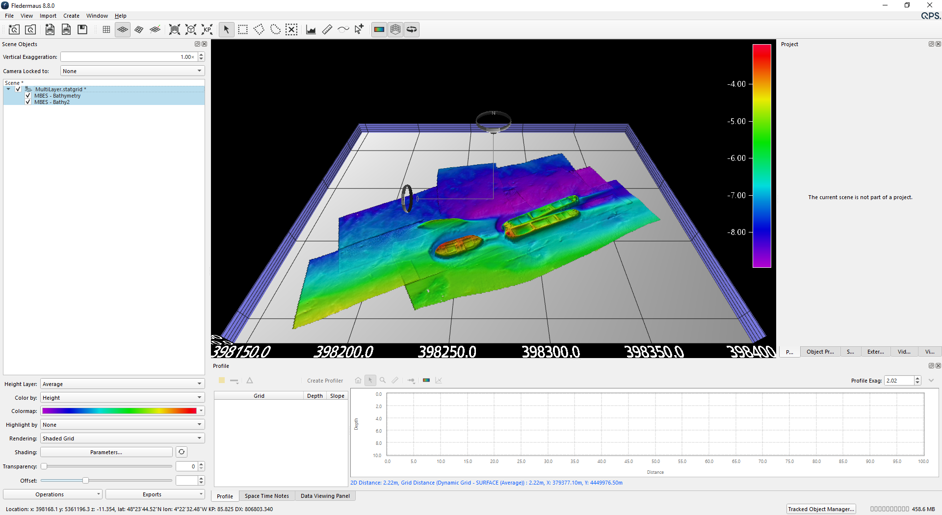
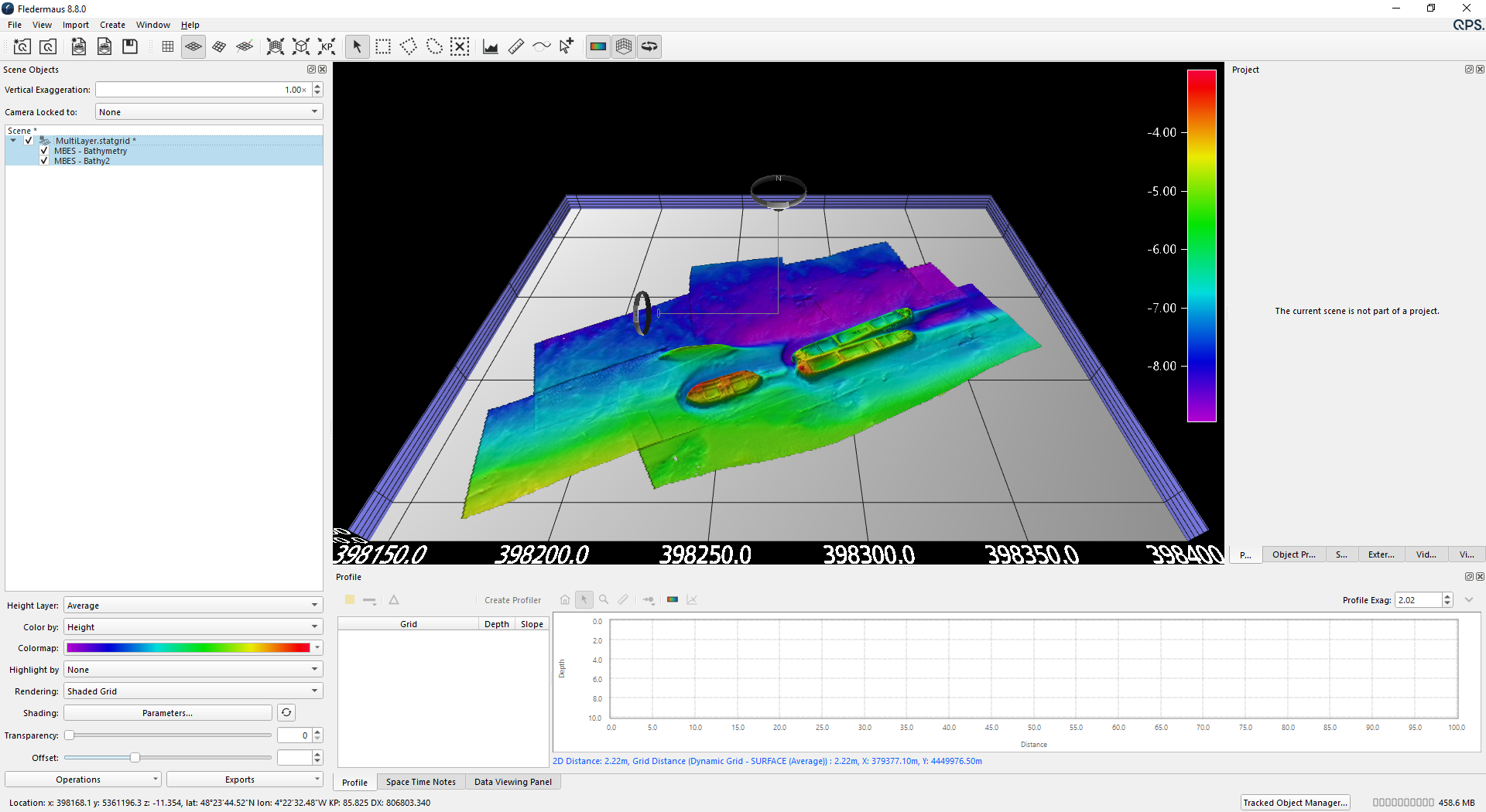
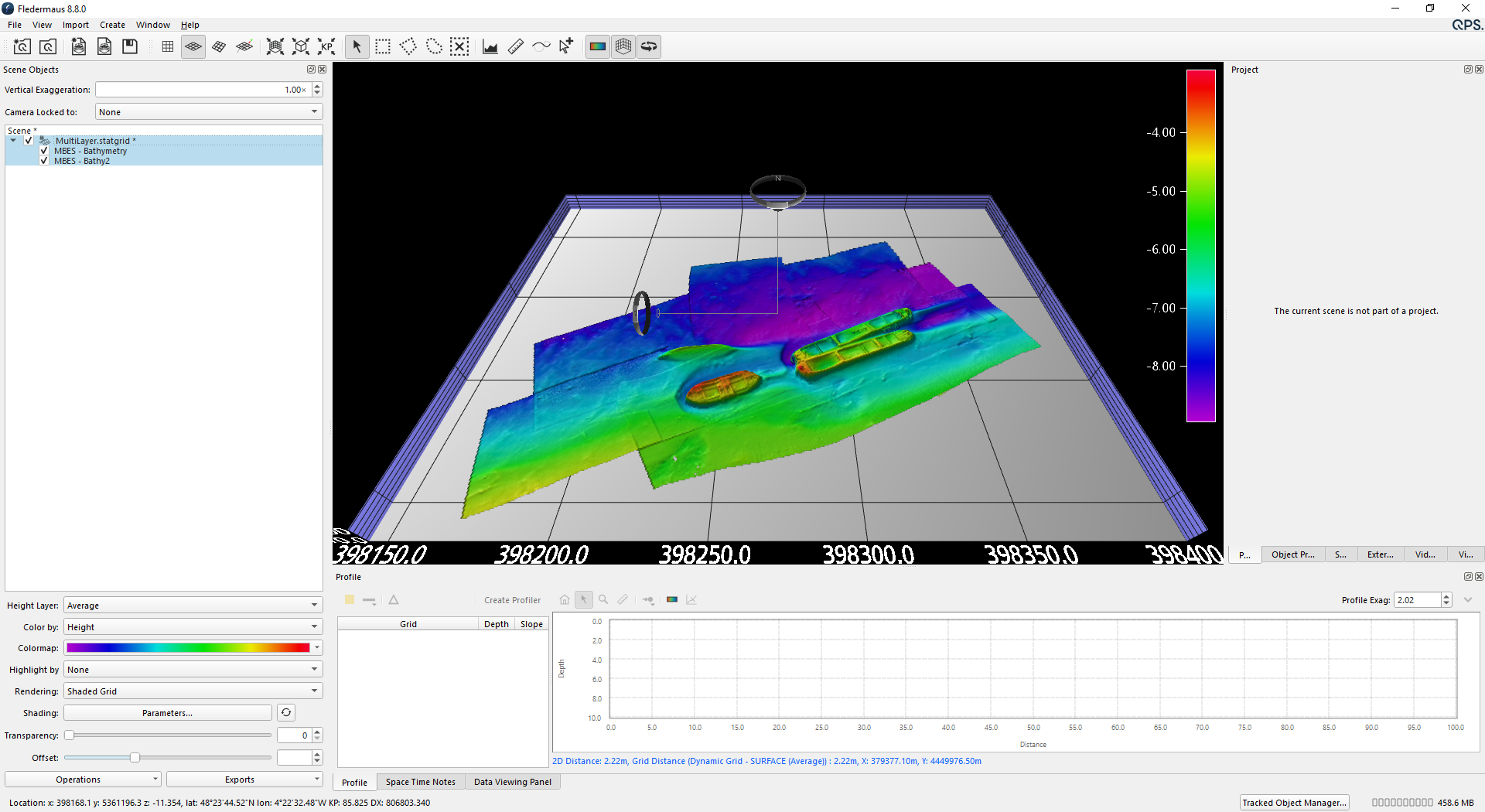
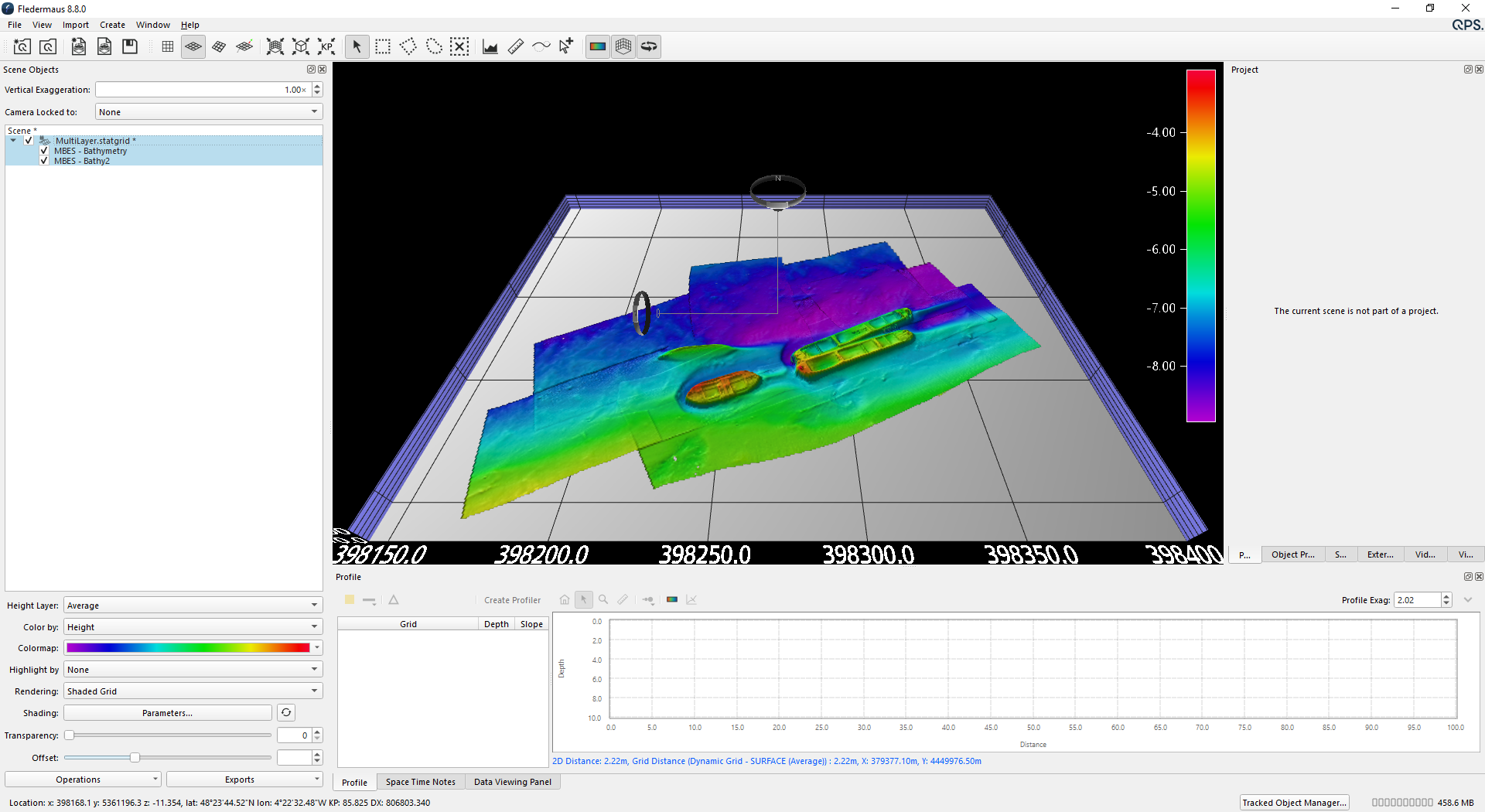
Multilayer Grid
Multilayer grids from Qinsy are now supported in Fledermaus. Scalars present in a multilayer grid are supported via the Color By option.
KP Route
Project Routes with KP information has been added to Fledermaus 8.8.0. KP and DX information is available on the status bar, relating to the cursor position. KP markers and labels can be turned on in the scene and adjusted to a desired interval.
Profiling and cross profiling from a route is now supported. Select the .route object > Operations > Create Profiler.
Project Routes can be created from line objects, qgflines, or Qimera Active Routes.
Zoom to KP is supported based on the KP information in the route object.
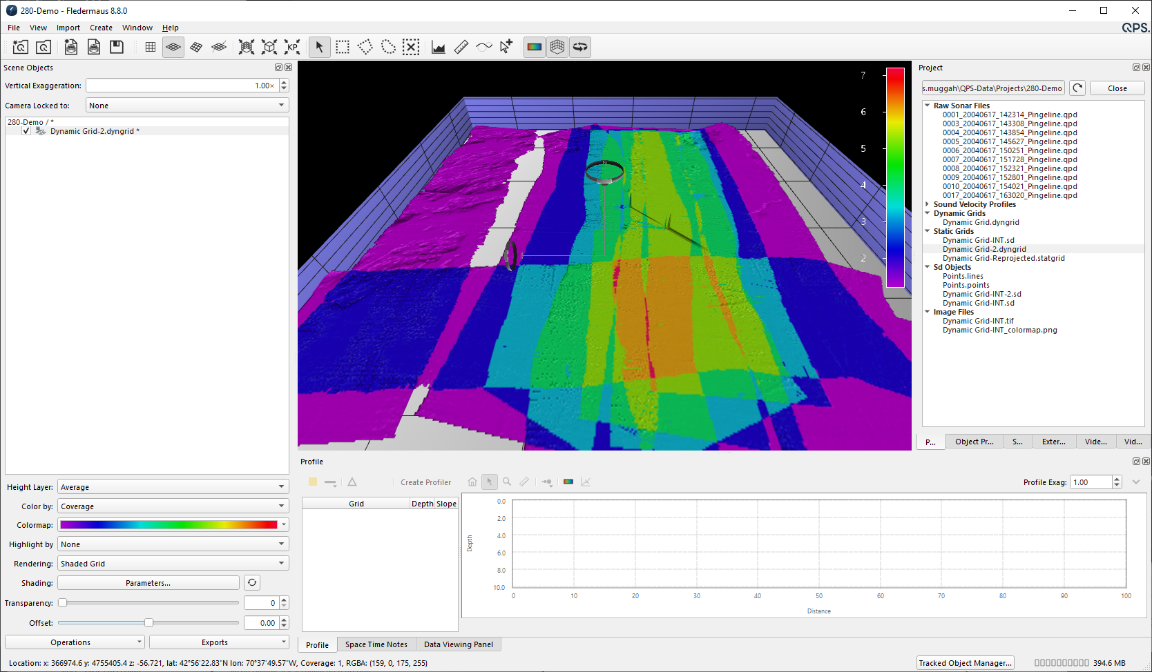
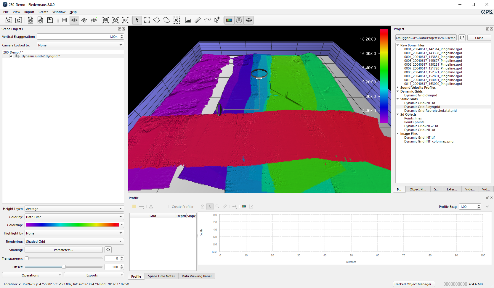
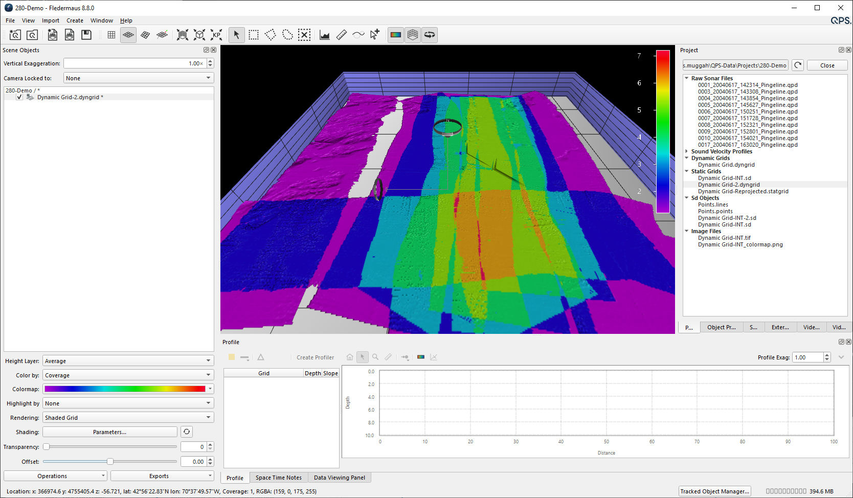
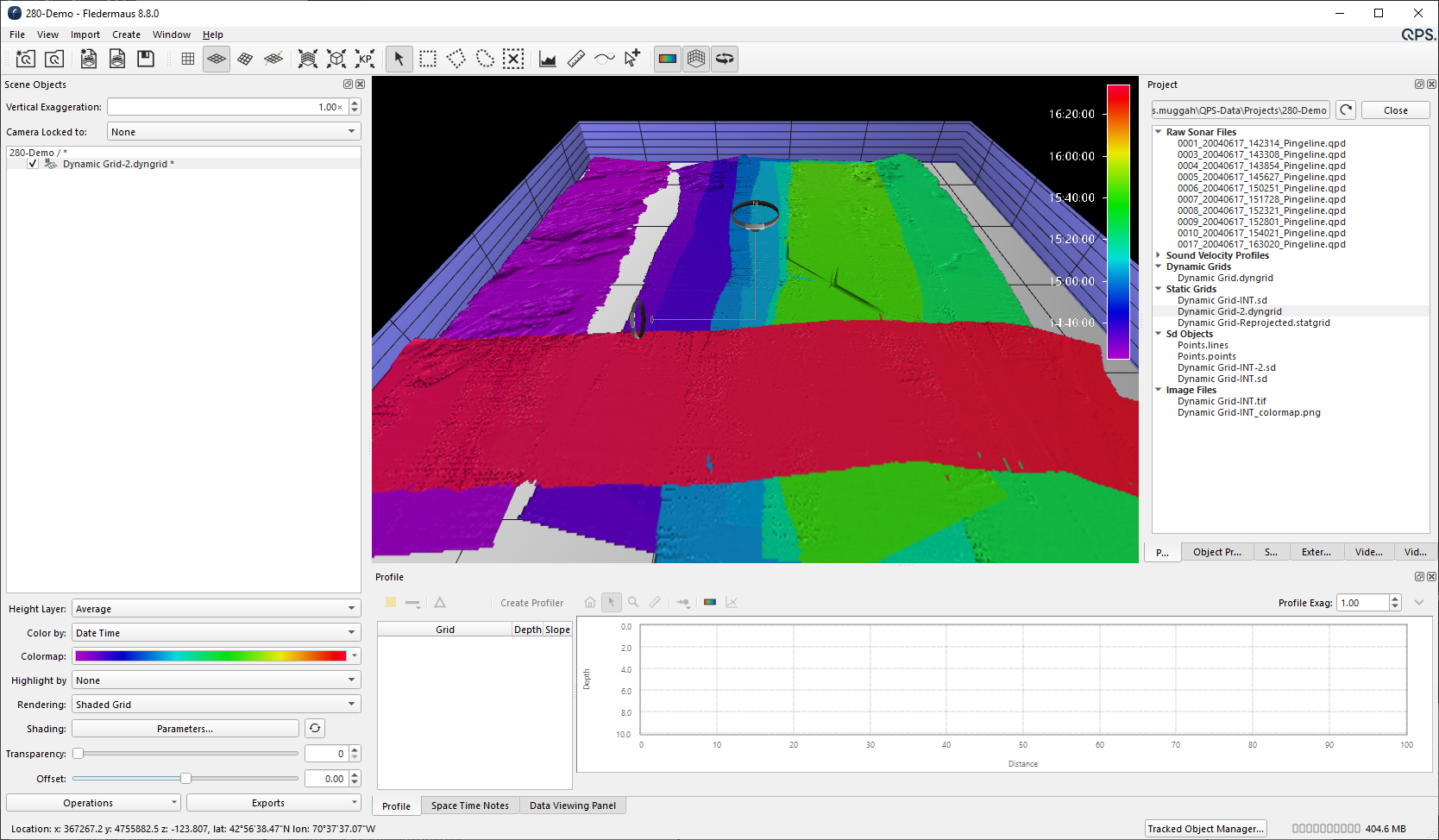
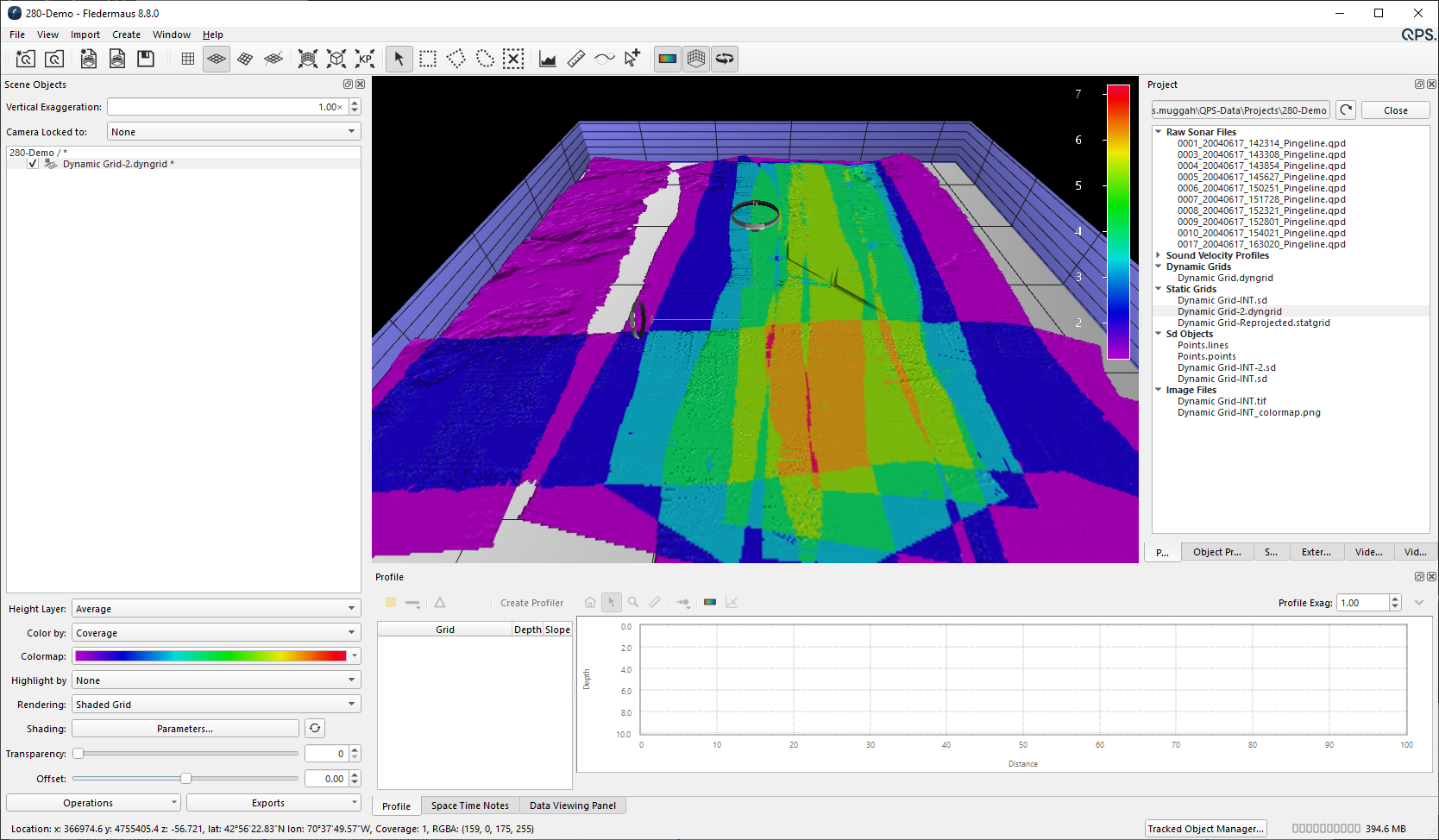
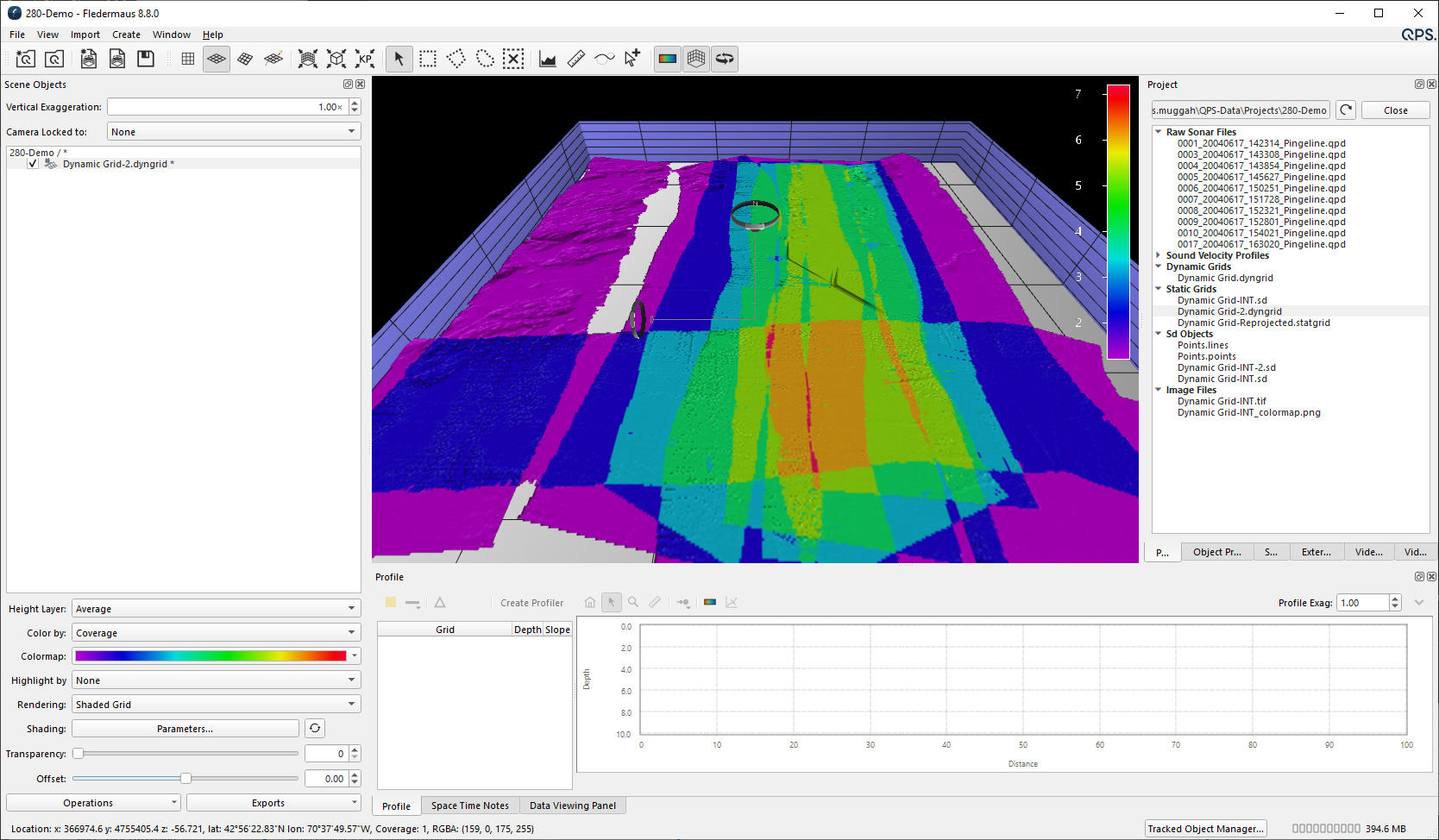
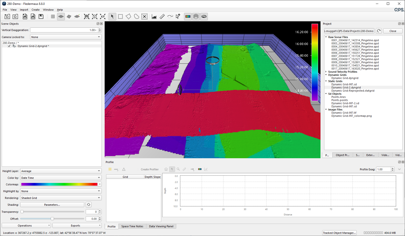
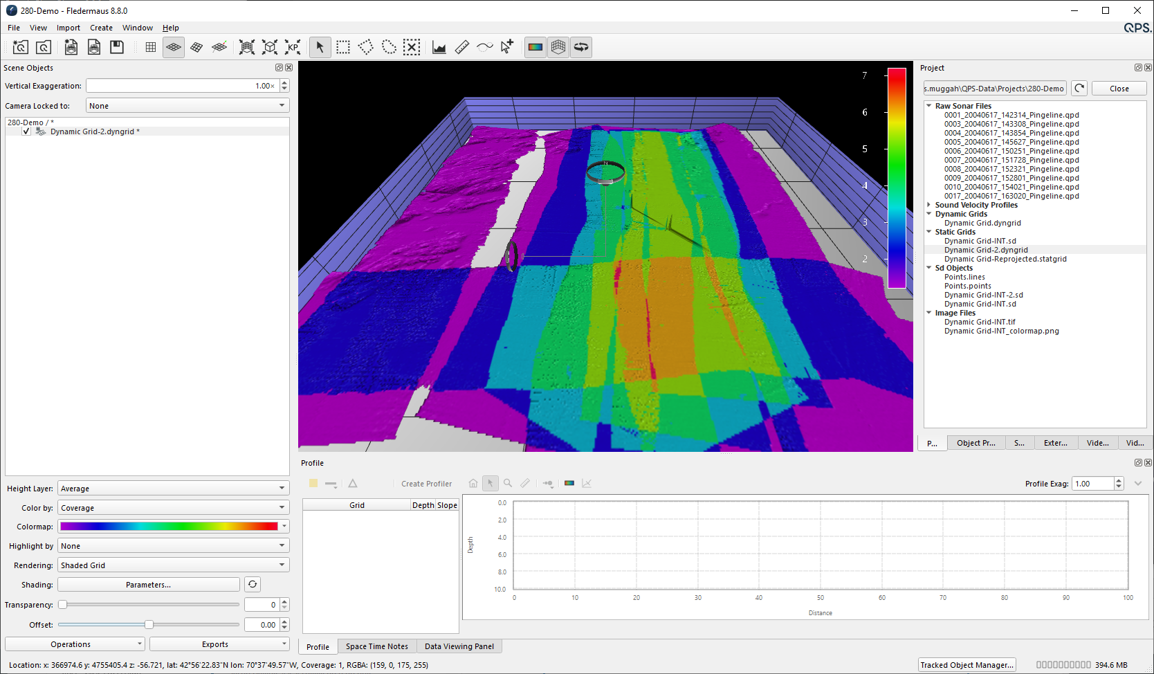
Grid Coverage and Date/Time attributes
Grid coverage and date/time attributes have been added to new Static Grids. These new grid attributes are optional, and will use slightly more disk space. If coverage and date/time attributes are included when creating a Static Grid, these attributes are displayed by selecting them in the Color By: attribute of the selected Static Grid.
Grid coverage is the number of times a grid cell has been covered by a unique survey line.
Grid date/time is the latest timestamp from a footprint that contributed to the grid cell.
Geo Config - EPSG Version 12
As part of the X.8 Release we updated the EPSG database version to 12.025.
.png?inst-v=e481a81b-6a4c-4403-bcc3-221b26700b8a)
Geo Config - New workflow for adding/creating Geoid models
A new workflow has been added to the Geodetic Configuration UI, which makes it easier to add or create Geoid models. It is available in Qinsy, Qimera and Fledermaus X.8.