Skip to main content
Skip table of contents

Qimera 1.1 Release Notes

RELEASE 1.1.3 - February 23rd, 2016

Note for Kongsberg .all users:

This release of Qimera contains a change that affects users who work with Kongsberg .all files. For additional information please see this page: Changes affecting Kongsberg .all users - Qimera 1.1.3 and later

Fixes and Improvements


  • Fixed an issue where Qimera wasn't reading SIS Navigation time tag preferrence: See the following page for more information: Changes affecting Kongsberg .all users - Qimera 1.1.3 and later
  • Fixed an issue with opening some QINSy projects that caused a crash
  • Added a warning to notify user if a geoid that is specified in a QINSy database isn't configured in Qimera's geoidmodels.xml file.
  • Fixed an issue that prevented changes made to an SVP from being saved
  • Fixed an issue with surface exports and contouring
  • Fixed a problem with using lasso and polygon selection for CUBE filtering
  • Fixed a problem with changing Vertical Referencing Method for vehicles that use a depth sensor



RELEASE 1.1.2 - January 13th, 2016

Building off the success of the multi-platform releases of Fledermaus, we are very pleased to announce that Qimera is now available for Mac OS X

Fixes and improvements


  • Improved navigation verification upon import of raw source file
  • Blocking now available based on Reson Colinearity and Brightness beam flags
  • Fixed issue with CUBE surface Hypothesis Strength 
  • Fixed problem with blocking filters when reprocessing multiple lines
  • Improvement to SBET import messaging
  • Improved warnings and suggestions regarding actions that can cause loss of edit flags
  • Fixed issue with GSF export of dual head systems
  • Fixed issue with multiple GSF exports
  • Improved warnings when building static or dynamic surfaces for data with unreasonable bounds
  • Fixed problem where the Processing Settings Editor window was too tall for a display



RELEASE 1.1.1 - December 3rd, 2015

Fixes and improvements


  • Added capability to copy source files into project during import while using Qimera Live
  • Improved stability when cancelling file import
  • Fixed problem with QINSy .DB files for systems without valid soundings
  • Fixed issue with Kongsberg .ALL files raw surface sound speed time-series editing
  • Improvement on reading of navigation source files in seconds for x positions
  • EdgeTech .JSF binned beam intensity values now can be displayed in the Swath Editor
  • Dynamic Surface appending functionality now ignores files that are already included in the surface
  • Fixed issue with file selection being lost when toggling visibility
  • Added support for entering numbers with comma as decimal separator
  • Fixed problem with Dynamic Surface export ASCII xyz + attributes functionality missing soundings information

  • Fixed issue with 3D Editor and scene selection getting out of sync
  • Added some missing exports to source file context menus
  • Fixed issue with editing vessel file not prompting to re-process affected data
  • Fixed bug with multiplot Time series functionality for cursor modes of zooming and dragging

Regarding the recent update to the QPD format that came with Qimera 1.1, a new version of Qloud is now available for download. The only change is that it is compatible with QPDs made by Qimera 1.1 (and the upcoming QINSy release).

Documentation


The Qimera Team continues to work in updating and providing you new user documentation, please see the following new articles that are part of the Qimera user Knowledge Base:

The Qimera Reference Manual continues to be reviewed and updated in regular bases:


RELEASE 1.1 - November 16th, 2015

Following up on the successful launch of Qimera in June of 2015, QPS is pleased to release Qimera 1.1, the first full feature release since its initial launch.  With this release, we're expanding upon the vision that we've set out for ourselves: to make hydrographic data processing intuitive and as simple as possible, all the while offering powerful capabilities to those that need them without cluttering the workflow for those that don't.  


What's New


Highlights

There are several features to highlight in this release, as you'll see below.  Some of the features being offered in Version 1.1 are new to Qimera but they come from existing tools and capabilities in the existing QPS software suite.  This is in line with our long term vision to migrate capability between our applications to provide a smooth and streamlined workflow from one application to the next.  Expect more along these lines as we carry on with our work of re-organizing capabilities across our product line in future feature releases.  Many of the other new features are driven by client feedback and feature requests and for these we thank our clients for getting in touch with us with their great ideas!

New File Formats

Raw Sonar Formats

Based on client demand, we now offer raw sonar data import support for the EdgeTech JSF format and the NavO GSF format.  As we do with other raw sonar file formats, we extract as much information as possible from the data file and make it available to you for your processing needs.  The EdgeTech format does not provide vessel information or sound velocity profiles whereas a GSF file may or may not provide these.  For Qimera 1.1, we're also only supporting bathymetry processing for the EdgeTech format, sidescan visualization and processing will come in a future release.  Be sure to consult the extensive notes we've prepared for both data formats in these documents: Qimera Sonar Source Data Import Capabilities and Qimera Supported Data Formats.

Navigation Formats

We've also added support for Applanix True Z from the Group 114 record, which is a filtered and improved height signal in the PosPAC recording files that is similar to True Heave.

Tide Formats

Several new tide formats are available for import as well.  The tide data importer now works harder to automatically match your incoming data to known and supported formats to streamline the import process.

Export Formats and Capabilities

Export capabilities have been expanded to include the FAU format, with the option to exclude rejected soundings so that the exported file only contains validated soundings.  A regrouping of Qimera's export capabilities into a single menu also makes it very easy to export your results whether it's a Dynamic Surface, sounding data or even a track-line.

New Capabilities and Controls

Better Controls on Dynamic Surface Updates

Dynamic Surface updating can now be controlled to be as dynamic as you like it.  For users that want to delay the updating of one or multiple Dynamic Surfaces, there is a new control that lets you decide when you want the surface to update: Always, Only After Re-Processing, or Never.  Of course, you can switch back to Always at any point and your Dynamic Surfaces will update.  The control state is a property of the Dynamic Surface itself, so you can have small surfaces updating all the time whereas larger surfaces may be set to update less frequently.

 

Tide Station Handling

Tidal correction data are now managed by creating and/or specifying a tide station during the import stage.  Some incoming data formats specify this and this information can be used to define the tide station properties during import.  Of course, these can be changed after import by editing the Tide Station properties.  The Add Tide File dialog below demonstrates the streamlined tide import process.  

If an incoming file has station metadata, it is checked against existing stations in the project and the user can choose to confirm the match or to create a new tide station.  The New Tide Station dialog below shows the information that Qimera is looking to parse from the incoming file.  Some of the tide station information can be used to inform particular tide strategies, e.g. the position of the station, whereas other properties are purely for metadata purposes currently, like the vertical datum that the tide signal is referenced to.

 

Multi-station Tide Processing

Multi-station tide processing is now available along with data management that allows you to specify tide stations and tide strategies.  This makes it easier to manage the tide data itself separately from how the tidal corrections are applied.  New strategies allow users to interpolate between two tides stations or to use an inverse-distance-weighted schema when more than two stations are supplied.  In any of the tide strategies, individual tide station data can be adjusted for phase, amplitude and datum offsets on a strategy-by-strategy basis and spatial limits can be used to specify an area for which a strategy can be applied.

 

Faster Blocking with New Blocking Methods

Blocking now has a more intuitive workflow with a preview mode in the Swath Editor, as shown in the image below.  The sounding plots in the Swath Editor and the 4D Scene all update to show the effect of Blocking Filters, allowing users to make better decisions on how to tune their Blocking Filters.  In addition, a few new blocking filters have been added as requested by clients: filtering by maximum distance from nadir and also a nadir "notch" filter that removes a notch of user-specified width at nadir.  Both of these are demonstrated below.  Furthermore, the blocking computations have been decoupled from the QINSy multibeamer engine and now run much more quickly, allowing users to iterate to desired blocking settings much more quickly without having to re-process their data.


Swath Editor Improvements and Upgrades

The Swath Editor can also display soundings by echo intensity, giving a sneak peek at some of our plans for backscatter visualization and processing as well.


New Workflows

Qimera Live

Following along with capabilities that were developed quite some time ago for FMGT, Qimera can now monitor a user-specified directory for new raw sonar data files.  We're calling this mode of operation Qimera Live.  When new files are found, for example at the end of acquisition for a survey line, they are imported, processed and added to a user-specified Dynamic Surface.  This enables users to use Qimera as a near real-time quality assurance tool that helps monitor the quality of data during acquisition.  Even if you trust your acquisition system to do this for you, Qimera Live gives you a second opinion, and it also highlights problems in the workflow early in the process so that they don't get discovered back in the office when it may be too late to fix the problem.  In operations where data rates are relatively low, like in deep water mapping, Qimera Live stages the data for onboard processing efforts without having to worry about data transfer and data management.  The data simply appear in the project and the Dynamic Surface is updated and data processors can get straight to work cleaning the data.  For high data-rate projects where real-time cleaning is not an option, Qimera Live speeds up data transfer and import/processing procedures to let you walk off the boat with your data ready to go when you hit the dock.  Comments from one of our Beta testers sum it up best:

"I think that Qimera Live will offer some benefit to our operations, particularly for the typical end-of-day effort.  This becomes especially helpful during projects with high data production rates."  


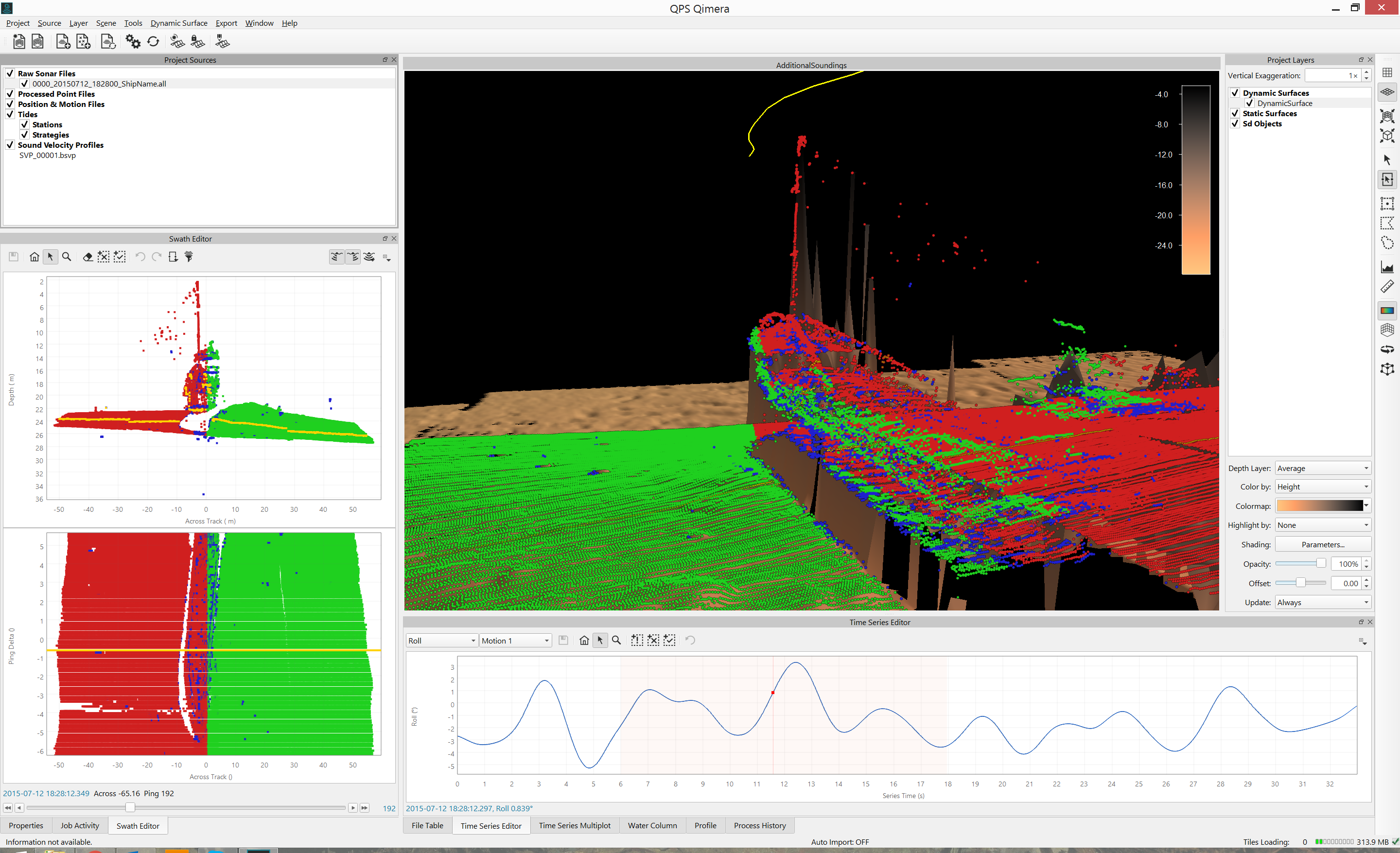
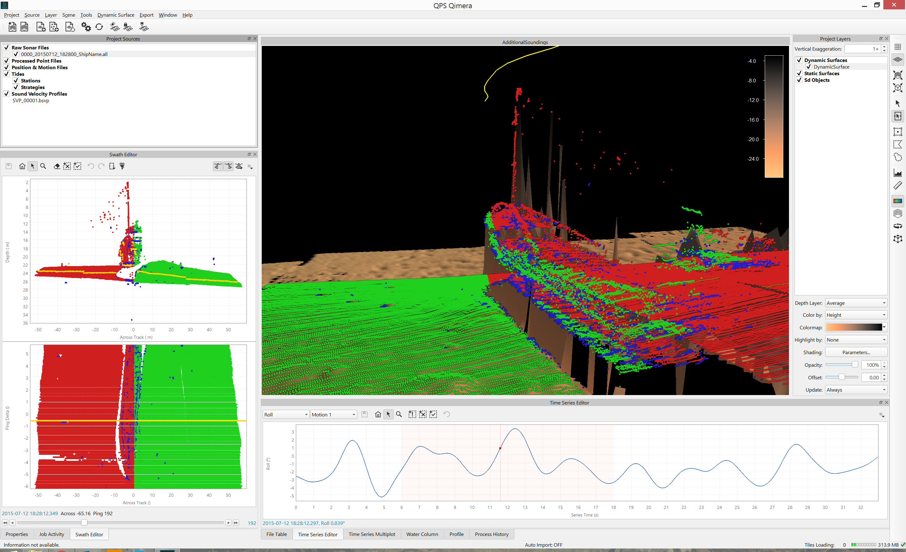
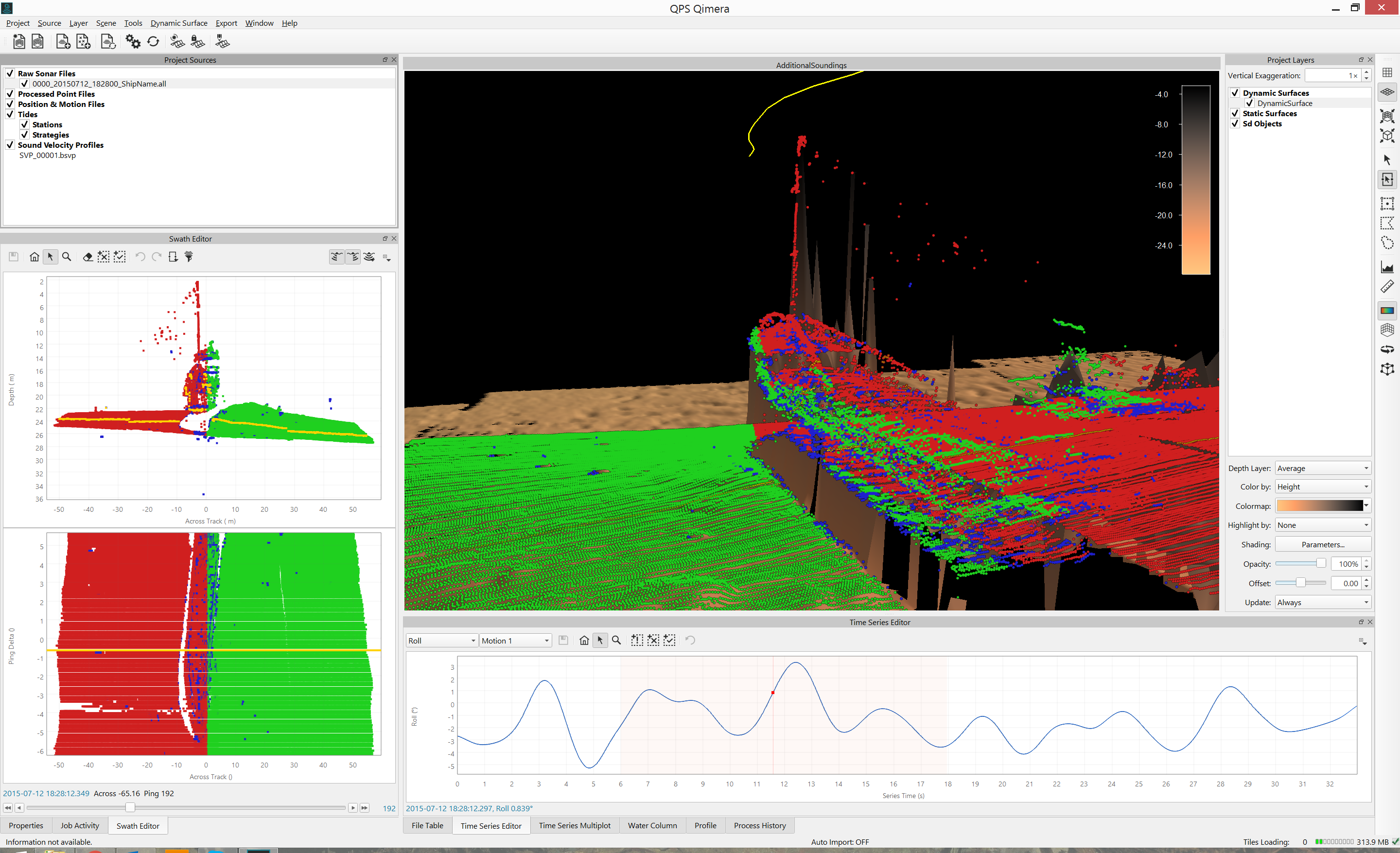
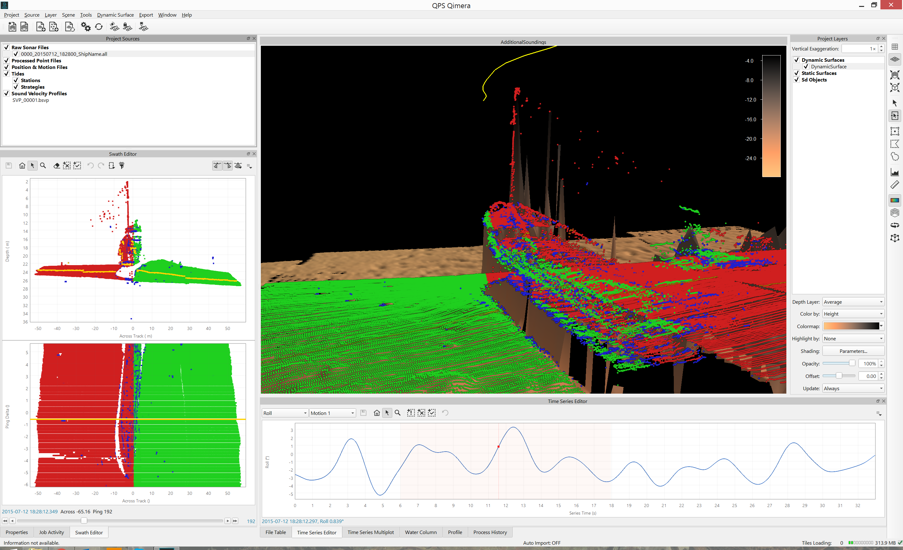
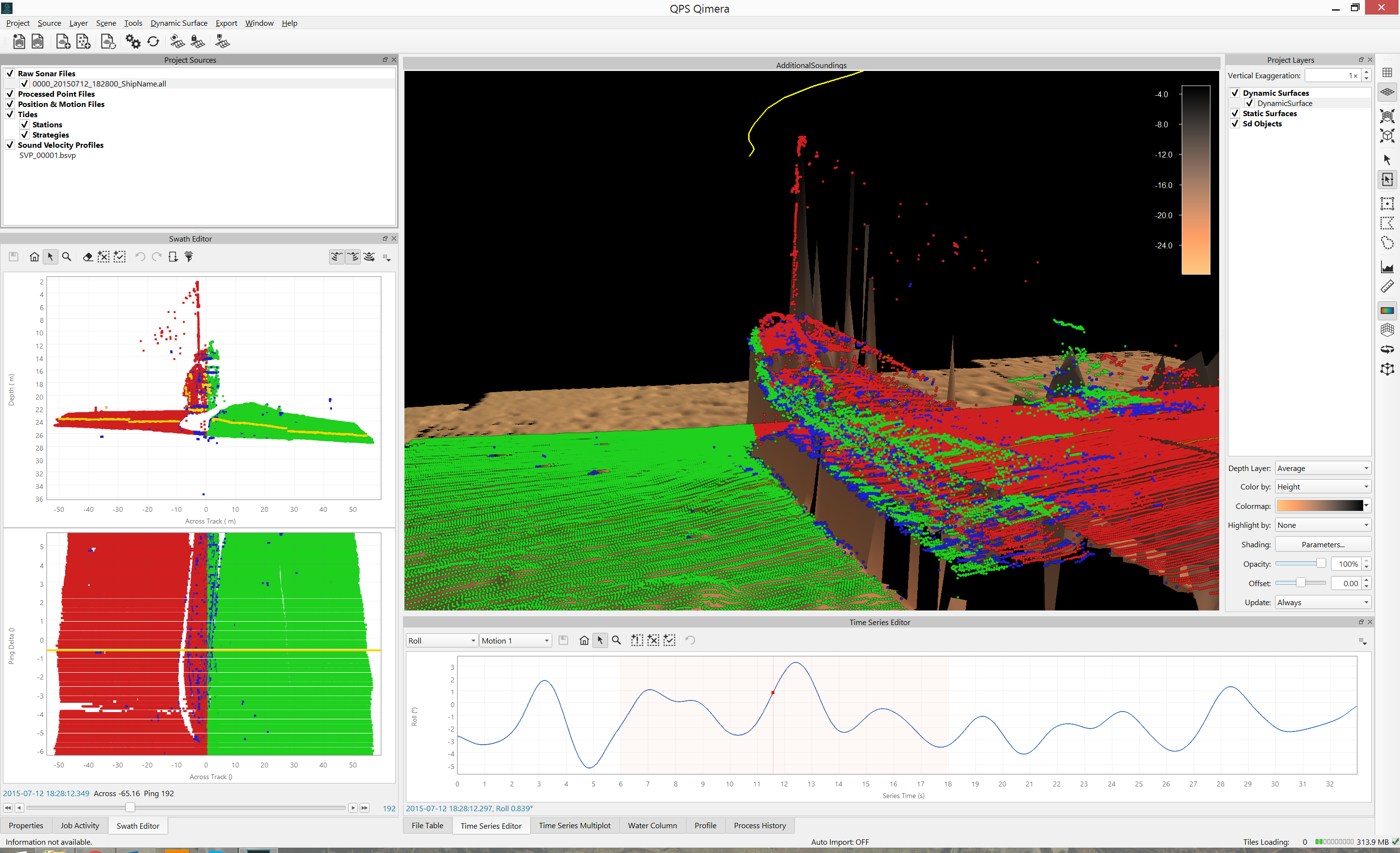
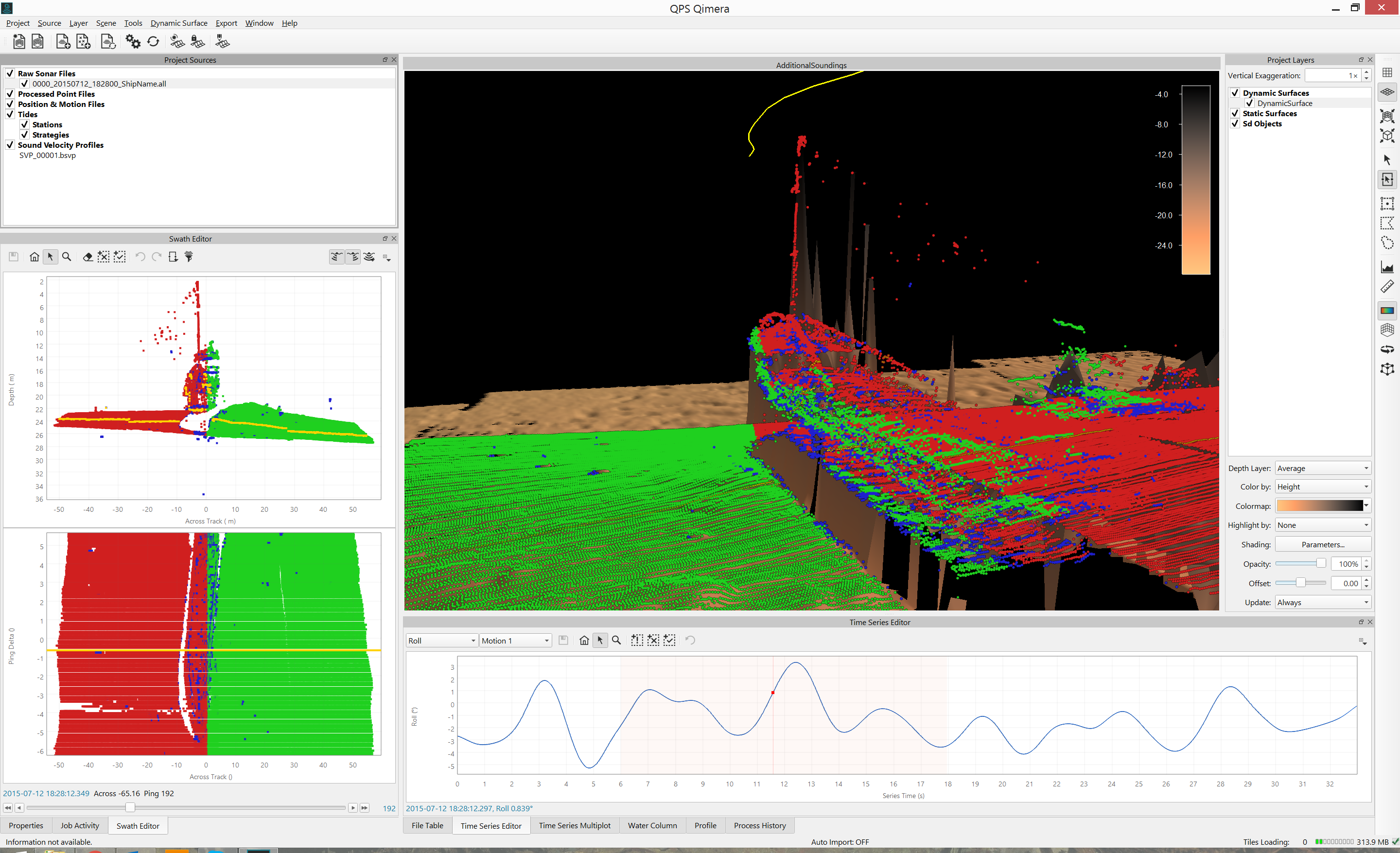
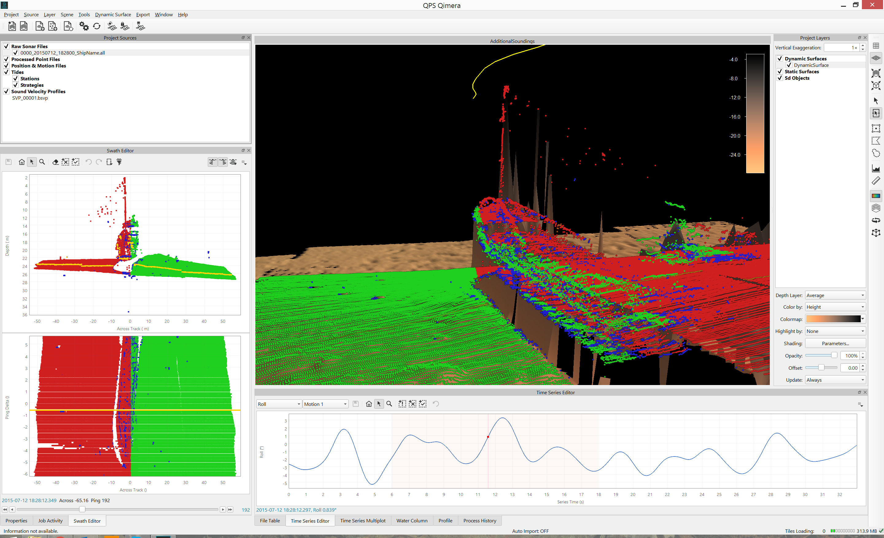
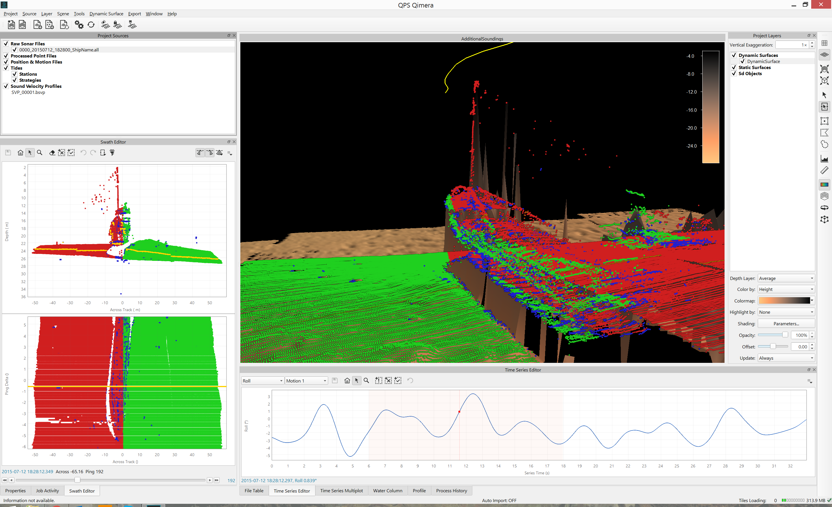
Additional Soundings

Qimera now also supports Kongsberg "Extra Detections" and Reson "multi-detect", along with providing upgrades in processing, visualization and editing modules to support a new type of workflow that elegantly handles this new capability from hardware vendors.  Users will be able to clearly identify which soundings are Additional Soundings, and they can make decisions accordingly.  The Swath Editor images below show the Additional Soundings in blue, the 3D editor draws them as teal spheres.

 

New Analysis Tools

Wobble Analysis for yaw misalignment

We've added the capability to correct for yaw misalignment for motion sensors, this is accessible as a new motion sensor configuration parameter in the Vessel Editor.  Furthermore, we've augmented the Wobble Analysis Tool to assess yaw misalignment, which has been very well received by the community as evidenced from feedback from one of our Beta Testers who took the Beta version of Qimera 1.1 into the field to help him prepare for a demo on a vessel after a quick installation:

"This works well!  I had a very rough mobilization for a demo and it definitely had a misalignment of around 1 degree.  Basically this made a big difference, so very impressed."

The before and after images below show the Wobble Analysis Tool being used to diagnose a yaw misalignment of 5 degrees. 


Multi-Plot

Based on the popularity of QINSy's Analyzer capability to handle multiple observation and computation time-series, we've developed a Multi-Plot tool that enables intuitive and quick analysis of multiple time-series.  The interactive plot allows users to plot data with different units together on the same plot, with shifting and scaling capabilities to enable quick visual analysis of correlations, biases, etc.  Signals with the same units can be differenced, with the difference signal being plotted on the same plot.

In the example below, we see how the Multi-Plot tool could be used to verify that a multibeam echosounder's pitch stabilization is functioning as intended.  The blue time-series is the observed pitch and the green is the nadir beam transmit steering angle.  The immediate visual correlation of these two signals proves the point in this particular case, whether you're commissioning a system and you need to demonstrate this to a client or perhaps you're troubleshooting an installation and need quick confirmation that pitch stabilization is working.  

In this second example below, Multi-Plot is used to difference the pitch signals from two sensors to determine the pitch bias of the backup sensor relative to the primary sensor.  The difference signal, in magenta, shows how the difference between the two pitch measurements varies in time, and allows the user to estimate a pitch bias of approximately 0.43° quickly and accurately.

 

Multi-plot graphs can be exported as images directly from the tool for inclusion in a report with full markup of the y-axis for all time-series in the plot.  The image below exported image from the example above, with the difference signal labelled on the left y-axis and the two pitch signals being labelled on the right hand y-axes and a legend at the bottom of the graph.

 

New Home for Existing QPS Tools and Capabilities

Patch Test Auto-Solve

We've brought the auto-solving capability from the QINSy Validator tool to the Qimera Patch Test tool.  One Beta Tester was particularly impressed:

"The patch test tool works great. I liked the automatic positioning of the box and the information of each line within the patch test tool and the 'auto solve tool' worked perfect."

Referring to the images below, the auto-solve capability comes with an RMS graph that plots the auto-solve results as red dots as is steps through its evaluation, and also the blue parabola curve that is fit to the red dots.  The RMS graph also updates with additional red dots when the user adjusts the slider bar mechanism when they refine the result from the auto-solve.

  
 


Processed Point File Edit Unloading & Suspect Flag now supported

We've also successfully ported over capabilities from the Fledermaus FM Hydro workflow in that users can now unload edits back to processed point files that support this.  If you're a Fledermaus user who's previously used Fledermaus, DMagic and 3D Editor to clean data and export cleaning back to the original data files, then now's the time for you to give Qimera a try to take advantage of the intuitive workflow and improved user experience that Qimera offers in a single application and user working environment.  With our new flagging capabilities that came with our upgrade to the QPD format, you can now also use the Suspect flag, which was used by many of our FM Hydro clients to designate suspect soundings.

 

 

Full Feature Set

The full list of new features is provided below, grouped roughly by category.  All new features are fully documented in the Reference Manual.

  1. Project Management
    1. Remove project from welcome dialog
    2. Encapsulated Project
    3. New Export menu that centralizes all export capability in one location
  2. Improved support of QINSy Geodetic configurations for QINSy users
    1. Construction Grids
    2. EGM2008
  3. New Data Formats and capabilities
    1. Import
      1. Directory Monitoring (Qimera Live)
      2. NavO GSF
      3. Edgetech JSF
      4. Additional Soundings workflow to support Kongsberg "Extra Detections"  and Teledyne-Reson "Multi-detect"
      5. Applanix TrueZ now supported as part of binary navigation import
      6. ASCII import of delayed heave
      7. Streamlined tide importer that auto-detects file type if possible
      8. Improvements to ASCII parser for tide formats
      9. Additional tide file formats: Finnish, QINSy ASCII, SHOM, NOAA
    2. Export
      1. FAU
      2. Invert Z with ASCII export
  4. Multi-Plot: Correlated time-series plot
  5. Patch Test & Wobble Tool
    1. Auto-solve with RMS graph
    2. Locked node for common TX in patch test
    3. Wobble Analysis capability for pitch/roll crosstalk due to yaw misalignment
  6. Multibeam Data Processing, Visualization, Filtering and Editing
    1. Blocking filters decoupled from QINSy engine, much faster and more agile, available in processing settings and in swath editor for preview mode
    2. New blocking filter by distance from nadir
    3. Tide Station management
      1. Improves tide file management
      2. Improved metadata capabilities: Vertical datum, position
    4. New tide correction strategies and capabilities
      1. Phase, amplitude and datum shift
      2. Single station 
      3. 2 station interpolation along projected line
      4. 3+ stations IDW
      5. Area based application limits for any supported strategy
    5. Swath Editor support for triple MB head
    6. Swath Editor display intensity
    7. Undo option for Spline Filter
    8. Multibeam data file start and end time is now shown in the properties tab
    9. Disable/Enable processing of sonar head for multi-head systems
    10. Select raw sonar sources files that use a particular SVP
    11. Time-Series editor now plots with system latency, calibration offsets and sign conventions for improved QA
  7. 3D Point Editing and Gridding
    1. Unload edits to points
    2. Dynamic Surface update control
    3. Scroll Reference Line
    4. Suspect flag now supported
    5. Additional heave, intensity and multi/extra detections display attributes in 3D Editor
    6. Ability to always hide soundings in 3D Editor that are flagged as both rejected and blocked by angle

Installation, Upgrade and Ongoing Support Information for Existing Users


Users with existing Qimera 1.0 projects will need to upgrade their QPD files when opening their older projects in Qimera 1.1.  This upgrade is required to accommodate the new beam flagging and blocking capabilities in Qimera 1.1.  You will be prompted to upgrade the QPDs in your project when it is first opened and you will have the option to decline the upgrade.  If you accept the upgrade, no further action is required on your part.  This is a reasonably fast operation, however, it will understandably take longer for larger projects.  If you decline the upgrade, the project will not open and it will remain usable in Qimera 1.0.  If you attempt to open this project again at a later stage in Qimera 1.1, it will continue to prompt you to upgrade.  If you are a QINSy and or Fledermaus user and you expect to be able to process your QPD files in other QPS applications, it is advised that you delay the upgrade to Qimera 1.1 until the next QINSy release and/or the next Fledermaus release, at which point QINSy and Fledermaus will be able to correctly handle the new QPD format.  The QINSy and Fledermaus releases are currently slated for some time shortly after the Qimera 1.1 release.

During the development phase for Qimera 1.1, we paid close attention to incoming bug reports from our Qimera 1.0 clients and we've streamlined our release process to get fixes out to clients in a timely manner, as often as required.  This new, streamlined process enabled delivery of seven bug fix releases since the launch of Qimera 1.0 in June.  We will continue to provide this quick turnaround level of service to our customers with Qimera 1.1.  If you find a bug, please contact us and we'll attempt to get a fix to you as quickly as possible.

When we first released Qimera 1.0, we purposely kept it lean and mean with the intent of focusing on client feedback to help direct us on how best to hone existing capabilities and also to help us decide which new functionality clients need most.  We've done the same with Qimera 1.1, so please keep ideas and feedback coming, it helps us to make Qimera better for all users!  Please feel free to contact us via the online support system for feedback, feature requests and bug reports.


Documentation


Several new "How To" style documentation is available to give some guidance on how to use some of the new features in Qimera 1.1.

Reference Manual:

  • The Reference Manual has been updated for all features in this release
  • A minor re-organization has been done in that the Supported Data Formats documentation has had much more detail provided about the various raw sonar data file formats, this was previously documented in the Add Raw Sonar Files Dialog documentation.
  • We're continuing to update other Knowledge Base articles.

 

Known Issues


We are continuing to improve the support of geodetic configurations for our QINSy users.  In particular, users may find that geodetic resources that are available with a QINSy installation and/or module upgrade are not available with Qimera's baseline installation.  We are currently devoting resources to harmonizing the geodetic resources between all of our software applications and improvements will be coming soon.  In the meantime, QINSy users may find that they need to copy various geodetic resource files from their QINSy installation to their Qimera installation.  We have a new Howto document describing how to deal with these scenarios.

JavaScript errors detected

Please note, these errors can depend on your browser setup.

If this problem persists, please contact our support.