Basic Qinsy-Fledermaus Workflow Bathymetric Data Processing
This workflow is the base for future developments regarding the Qinsy-Fledermaus workflow.
The direct link from Survey Manager to Fledermaus utilizes QPD editing in Fledermaus 3D Editor and the edits immediately apply to the QPD.
The advantages of this workflow are:
- Online Flags are applied to the Dynamic Surface; thus you will be bringing pre-cleaned data into Fledermaus 
- Plotted flags and feature flags set in 3D Editor, are being applied to the QPD 
- Pre-set CUBE settings, based on water depth, can be applied and the CUBE surface is part of the Dynamic Surface 
- Data cleaning has become a less time intensive process. 
For this workflow the Survey Manager needs a Dynamic Surface; the Fledermaus DTM uses the Dynamic Surface settings i.e. online flags, bin size, CUBE settings.
Editing is being done on the QPDs without creating intermediate files. In case you want to apply the custom filters and the flags of the PFM Build Wizard, you would have to choose the Workflow using the PFM Build Wizard.
Table of contents:

Basic Workflow Step-by-step guide
- Launch PM from the Qinsy Console by clicking "Processing". The project needs QPD Files containing bathymetry, either Full QPD or Reduced QPD. The difference between full QPD and reduced QPD is that in reduced QPD the online filter rejected soundings are excluded from the QPD. 'Full' QPD means the Qinsy online filtering has flagged the soundings, and the flagged soundings can be rejected at a later stage of processing. PM requires a Qinsy template database for the geodetic settings. Read more about the PM user interface here. 
- Build a Dynamic Surface from the QPD Files. How to build a Dynamic Surface is described in more detail here. 
- Choose whether you want to build a CUBE surface or not. If you want to build a CUBE surface for CUBE editing in Fledermaus, then check the "Enable Cube Grid" check box. The "Default" button next to the Enable Cube grid check box enables the CUBE settings user Interface. Choose the Configuation appropriate to your dataset and conditions. Enter an appropriate Capture Distance; as a guideline for shallow waters, we use a Fixed Capture Distance of 0.71 times the bin size. Please note using CUBE requires user experience.  
- Go to Color Settings in Home menu, add the Cube Depth attribute to the Sounding Grid attributes list, and see how the CUBE depth applies to the Dynamic Surface in Plan View.   
- When the Dynamic Surface has been built, then launch Fledermaus using the Fledermaus button in the Project menu of Survey Manager. This closes PM, because the two programs can't be open at the same time. 
- Once Fledermaus loads, select the Dynamic Surface you want to be brought into FM for editing. The coverage map for your survey will be visible. Use the Select Mode button:  
 To select a portion of the survey. Go to Extract > Extract Selected Region to load that portion of the surface. If the survey area is not very large, you can skip selecting and just choose Extract > Extract Entire Area. 
- Under Surface Display Options, four surfaces are available to visualize the surface. Shallow will show a surface generated from the shoalest point per bin, Deep will show a surface generated from the deepest point per bin, and the Dynamic Surface is the updated surface generated by the Processing Manage. The surface you view will depend on the type of processing you want to do.  
Manual Processing (Area Based Editing)
- For manual Area Based Editing, choose the Shallow surface. Navigate to an area of interest such as a spike in the surface. 
- Use Select, Polygon Select, or Area Select Mode to draw a selection around the area of interest. Click Launch 3D Editor. - Hotkeys - Hotkeys can be used in Fledermaus and the 3D Editor to change modes quickly, launch the 3D Editor, and generally make processing easier. A list of hotkeys can be found here.  
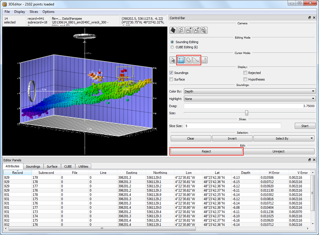
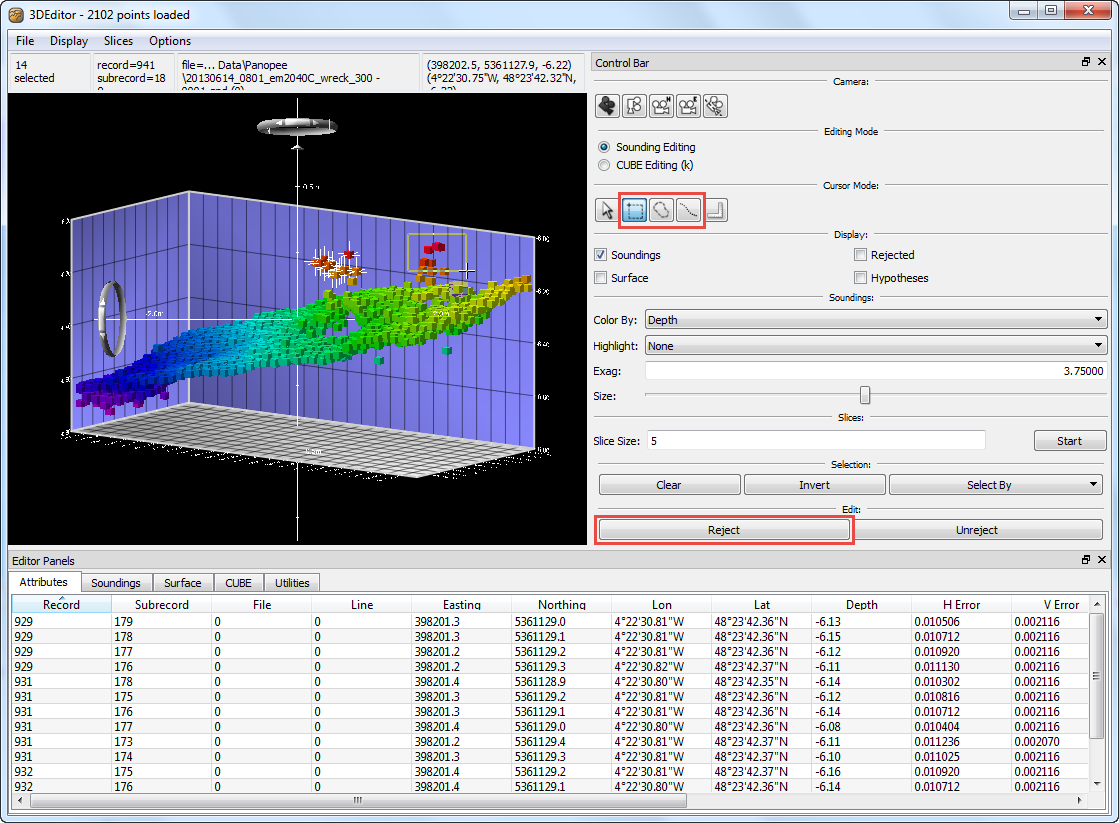
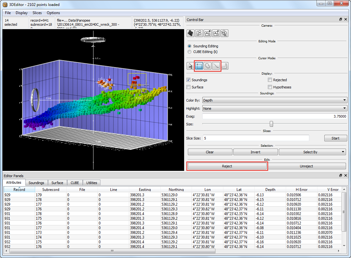
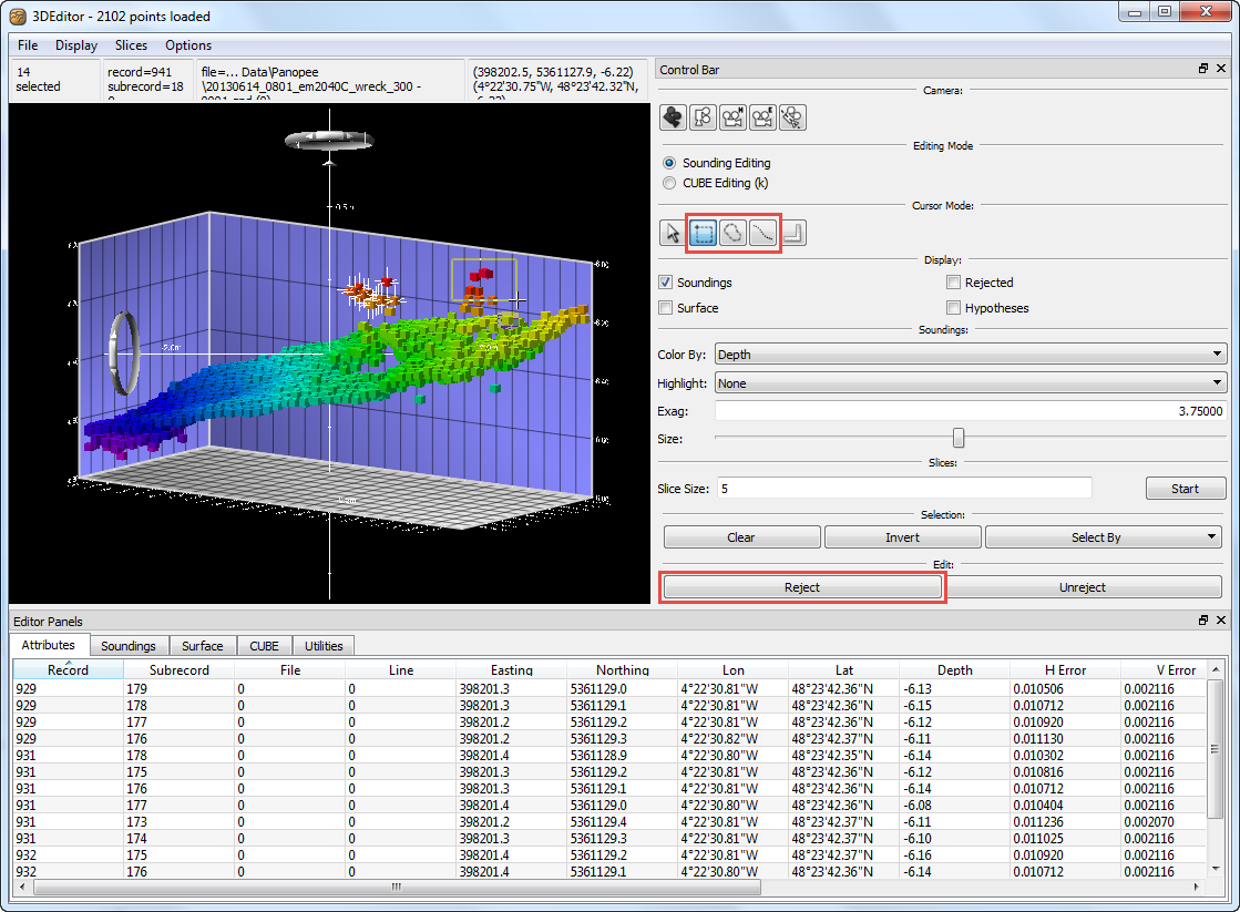
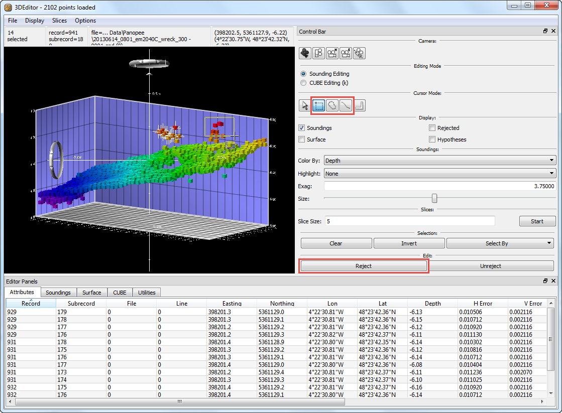
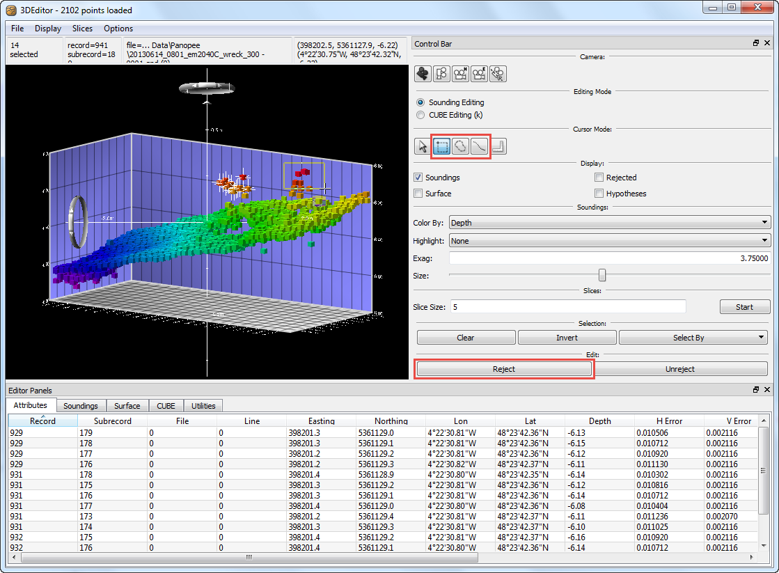
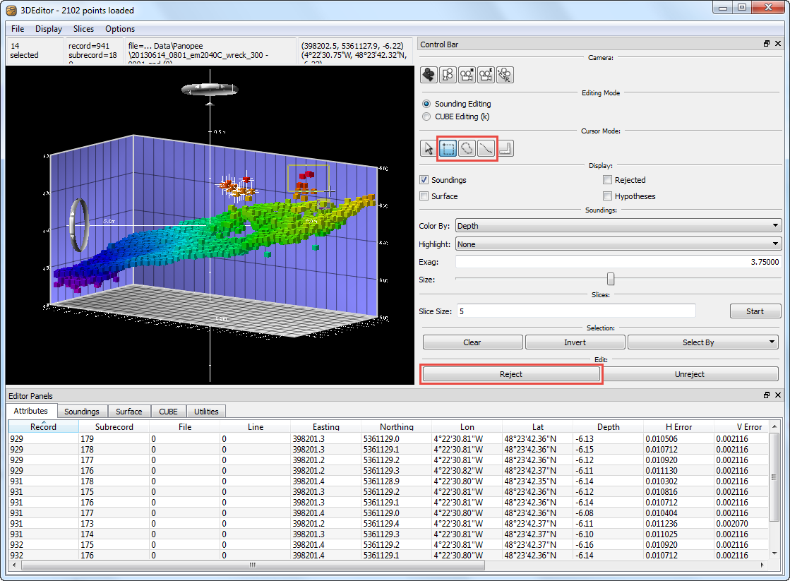
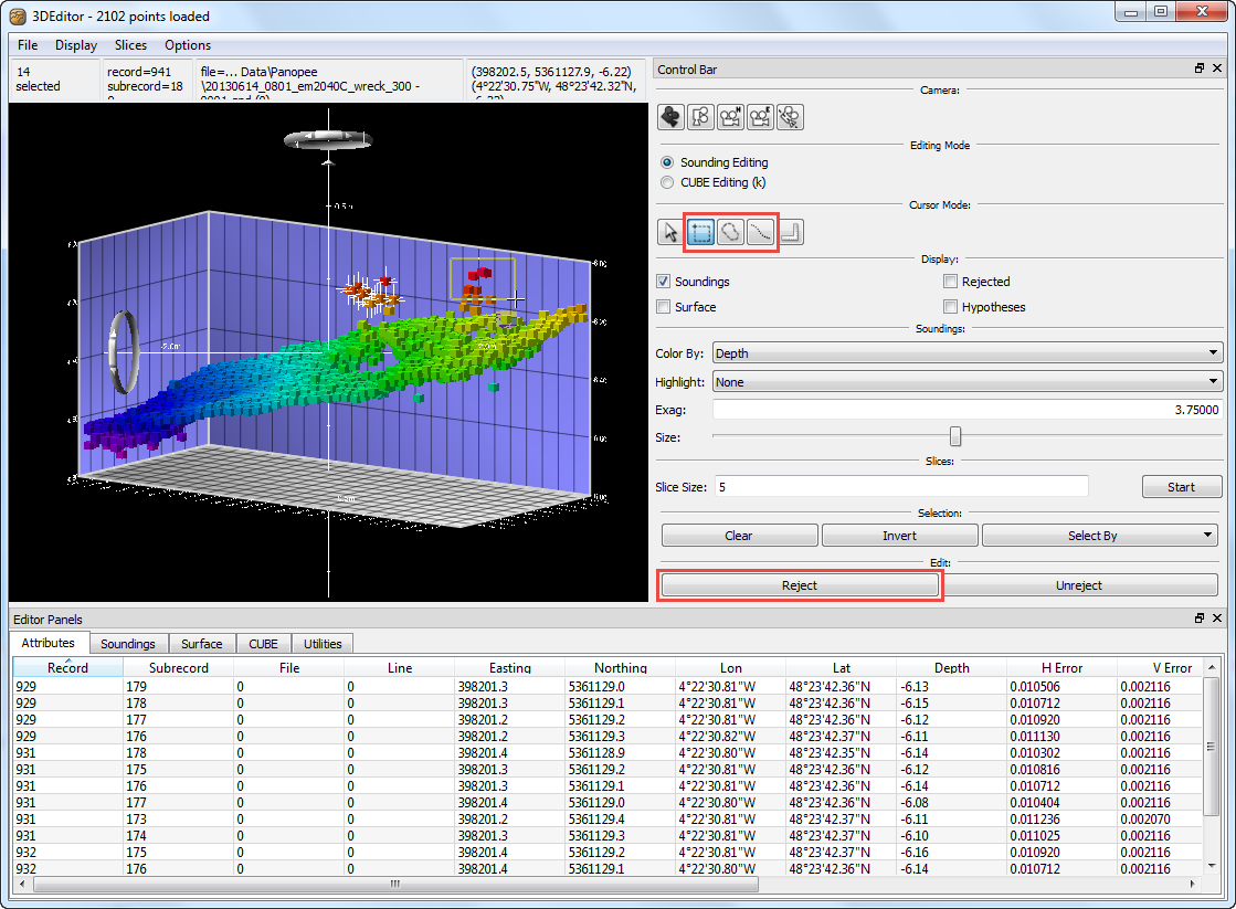
- The 3D Editor will open with the points from the selected area loaded. Use the Select, Area Select, or Record Select Mode to select points.  
- Click Reject to flag the selected points as rejected. The points will disappear (check on Rejected to view them and all other Rejected points). 
- Go to File > Save and Exit. The 3D Editor will close, and the visible surface (and all other surfaces) will update to reflect the changes you made. The updates will also be applied to the QPD files in the Qinsy project.   
CUBE Processing
Please note the CUBE algoritm uses TPU for calculating the CUBE surface, please check How-to Total Propagated Uncertainty - TPU for detailed information on TPU calculations in Qinsy.
- For CUBE Editing, choose the CUBE surface. Validate the CUBE surface by looking for obvious errors in the surface and investigating areas with multiple hypothesis.  
- Make any necessary adjustments to the CUBE surface by selecting areas, launching the 3D Editor, and Overriding Hypotheses, adding Custom Hypotheses, or deleting points when no good hypothesis is available.  
See Fledermaus HELP menu (PDF) for more information on the CUBE editing.
- Once you have validated the surface, use CUBE Filter Soundings to automatically flag points outside of the CUBE surface as rejected for final cleaning.   
- Once the filter completes running with Set Rejected Flag checked, all points outside of the thresholds set in the filter will be flagged as rejected. All surfaces will update to reflect the filtering, and the updates will also be applied to the QPD files in the Qinsy project. 
Remember to close Fledermaus before returning to project in Qinsy for QC or other tasks.
QC
How can you check if the Fledermaus changes came through to the QPD?
In Fledermaus, select an area that contained spikes before editing and of which you are confident this area is now clean.
- When closing Fledermaus, check the DtmData folder of the active Qinsy project in Windows Explorer, to check the update time of the QPD files. Ensure the "date modified" of the QPD files has been updated. 
- The Dynamic Surface should look clean for this area, when using attribute "Mean" or when looking at the "95% confidence level" in the grid, the cleaned area should display low values for the 95% confidence level attribute on flat surfaces. 
- When opening a cleaned /filtered QPD file in Qloud or in Validator, it's proven that the data has been de-spiked and filtered. 
Related articles
(Only available when logged in to the QPS website.)