Skip to main content
Skip table of contents

Fledermaus 8.7.0 New Functionality

On this page:

EOMAP 

Fledermaus and EOMAP have worked together to provide easy access to satellite derived bathymetry in both Geotiff and ASCII XYZ formats. Working in Fledermaus, areas of interest can be sent to EOMAP as orders. Once EOMAP has processed the orders, they are automatically downloaded and can be added to the scene. Satellite derived bathymetry can play a crucial role in the planning stages of surveys and also providing bathymetry for hard to survey areas. Visit https://www.eomap.com/ to learn more and set up an account.

Multilayer Grid

Multilayer grids from Qinsy are now supported in Fledermaus. There are two options to work with them, the first is to select the multilayer grid and pick the Grid Layer you want to view. This allows for switching between layers quickly. When working in this way, the operations and exports have been disabled until support for them is added in the next feature release. The second way to work with multilayer grids, is to right-click and extract grid layers. This will extract the layers into a single grids and you can use operations and exports on any extracted layer as you normally would.

Selecting the Grid Layer:

MultiLayerGrid-SelectLayer.PNG

Extract Layers:

MultiLayerGrid-ExtractLayer.PNG
MultiLayerGrid-ExtractLayer2.PNG

WMS

Support for importing WMS images has been added in this release. You can connect to a WMS server by entering the URL address and then selecting which Layer you want to import into your scene. A geoimage will be created and added to the scene.

WMS-Importing.PNG

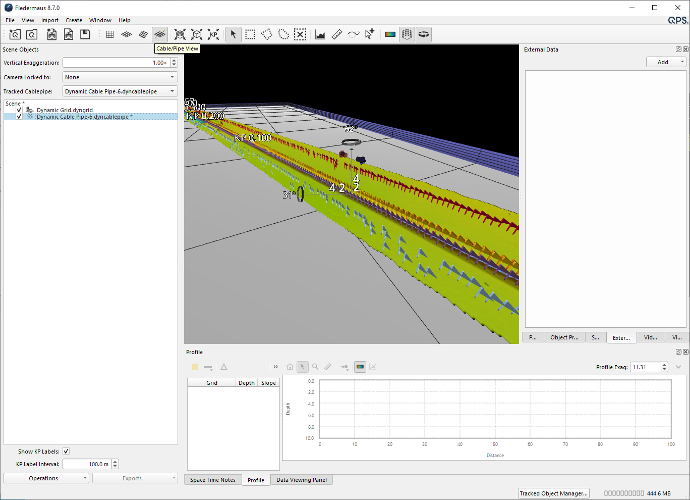
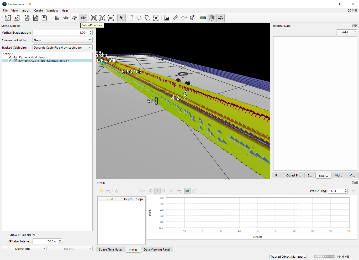
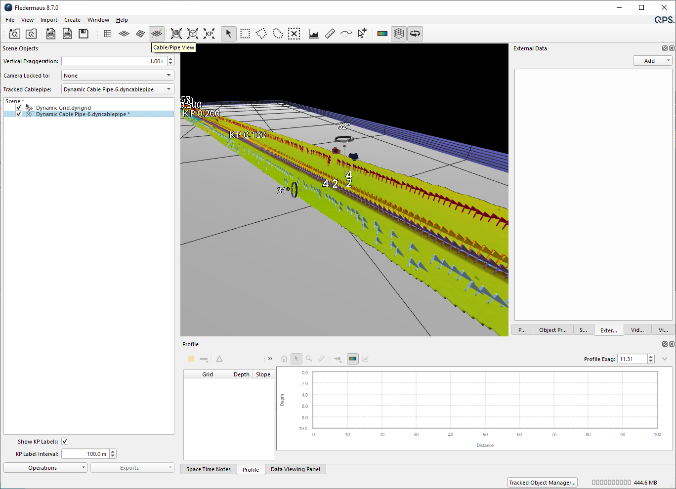
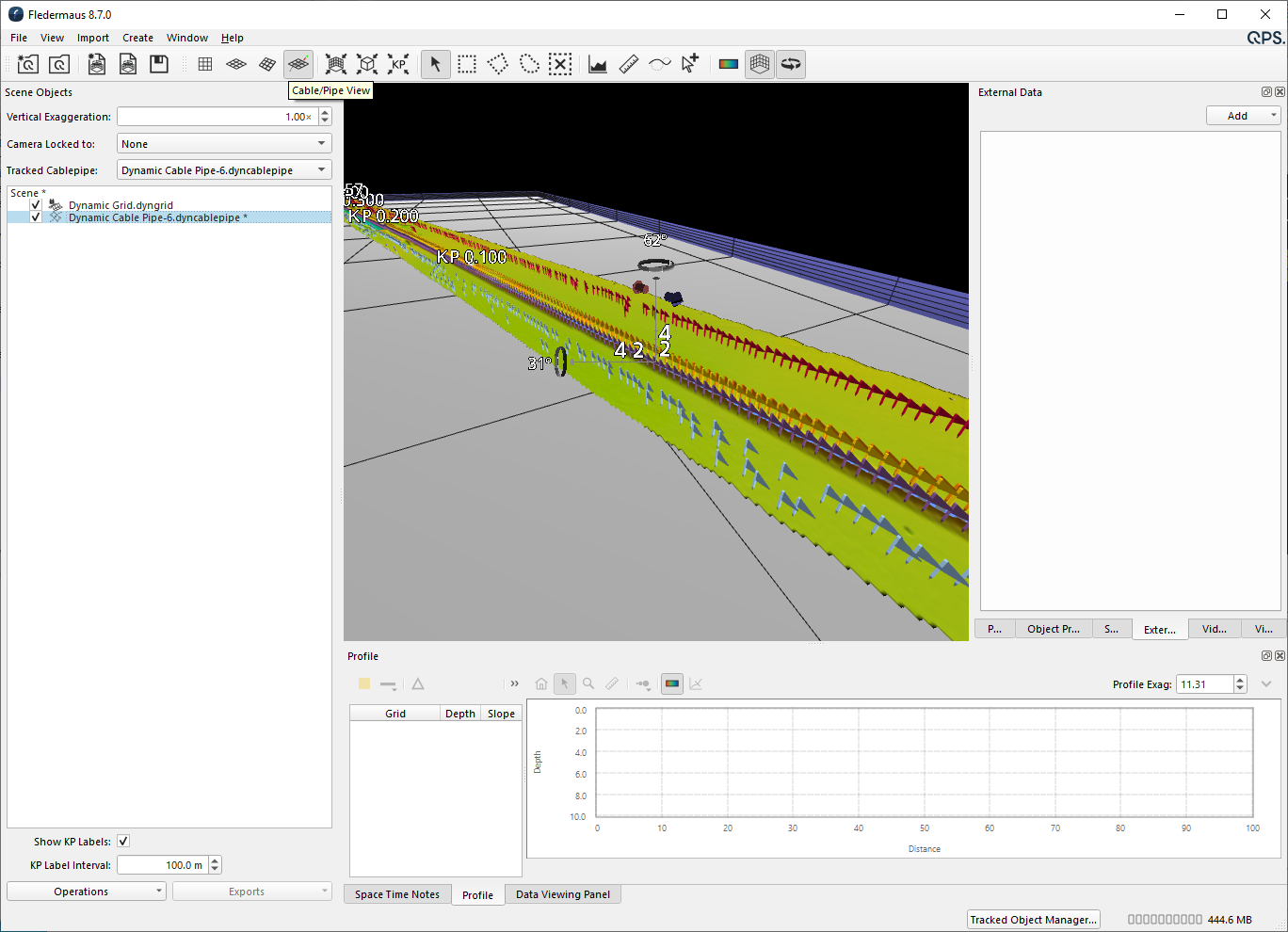
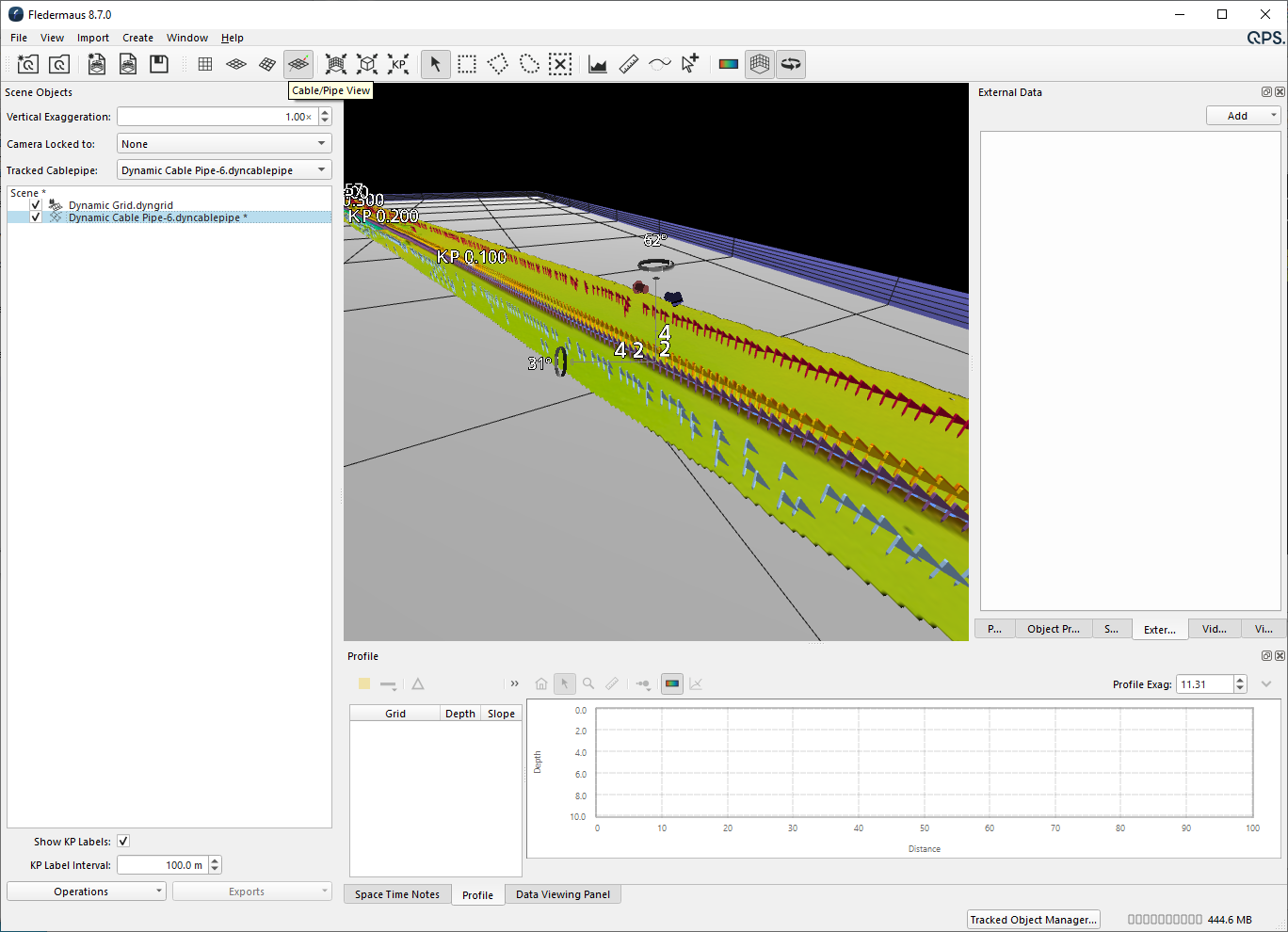
Cable/Pipe View

A new view has been added for navigating along a cable/pipe route. The center of the view is attached to the cable/pipe route, allowing for rotation, zooming and movement along the cable/pipe route. Use the w and s keys or left click and drag the arrow keys displayed on the navigation widget for stepping forward and backward along the route.

CablePipeView.PNG

Cable/Pipe X Point Listings

Dynamic Cable/Pipe and the X Point listings created with Qimera’s TOP detection tool can now be brought directly into Fledermaus. In addition, exported 5 or 7 point listing files can also be imported, creating a Dynamic Cable/Pipe and X Point listings.

Dynamic Points

Dynamic Points are used to visualize point data (QPD) from the points that contributed to a Dynamic Grid. The points are dynamically loaded inside a defined rectangle and played back in time following a line. The options for line to follow, are from the QPD tracklines, or a line object.

JavaScript errors detected

Please note, these errors can depend on your browser setup.

If this problem persists, please contact our support.