Fledermaus 8.6.0 New Functionality
On this page:
Tracked Object
Fledermaus Tracked object allows you to simulate and see real-time (online, live) any tracked object in a scene for situational awareness. You will be able to plan, or follow real-time ROV and/or UAV dives, or vessel operations. You can activate a tracked object, to a logged or live option feed, you can anchor the scene camera to follow the tracked object and see the line in the data viewing panel. You are also able to lock the scene exaggeration to avoid distortions during your work on situational awareness.

Figure 1. Tracked Objects, in 4D Scene (via Vessel Manager).
A tracked object either play’s backed recorded navigation or live feed via Vessel Manager with NMEA strings. The Tracked object functionality is only available with Fledermaus Offshore product.

Figure 2. Tracked Objects setup within Fledermaus, in 4D Scene (via Vessel Manager in the background).
Vessel Tracked Line
The vessel track line object, available with Fledermaus Offshore, allows you to work with time and location synced images and video that you can embed in the 4D scene for a complete Full Motion Video Support for replay for underwater inspections and analysis.

Figure 3. Screengrab of Vessel Track Line, set with images collection time stamped with Camera view settings in the 4D Scene. Image collection Object. Credit data to: Oceaneering (then C&C Technologies).
Image Collection
The new Image series object, available with Fledermaus Offshore, allows you to work with time and location synced images for underwater inspections and analysis. You are able to prepare scene with prior data for review of image series.

Figure 4. Image Collection Object in 4D scene, time synced. Credit data to: Oceaneering (then C&C Technologies).
You can import your images time series synchronized in time within the 4D scene, create a .geoimage from the image collections, and view the images individually from on the video dock panel, when time dependency is enabled.

Figure 5. Merge Image Series operation highlighted from operation options on Image Series Object. Credit data to: Oceaneering (then C&C Technologies).
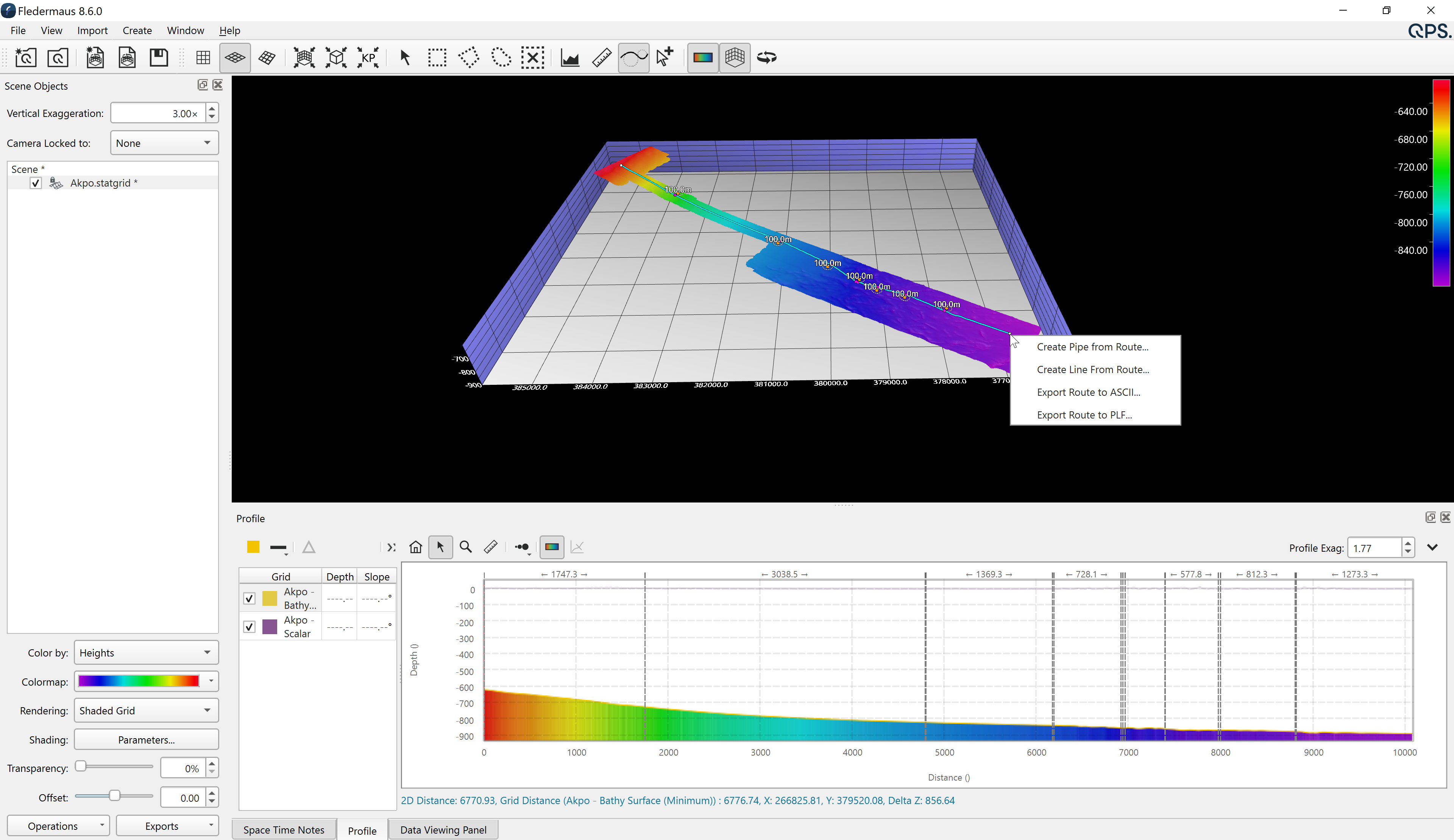
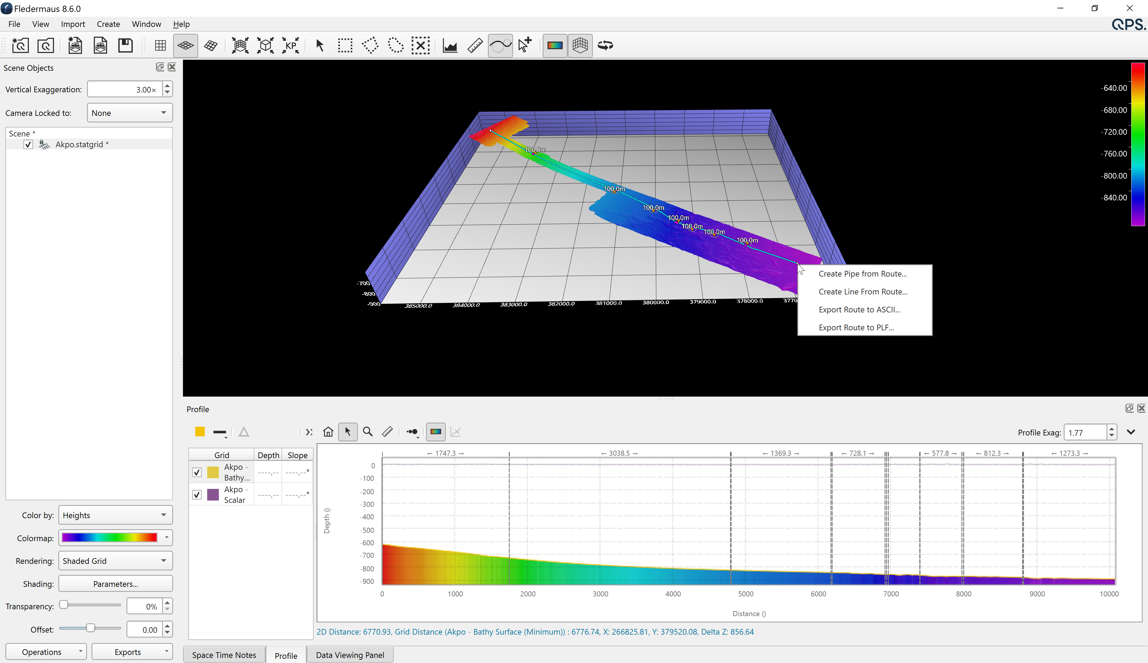
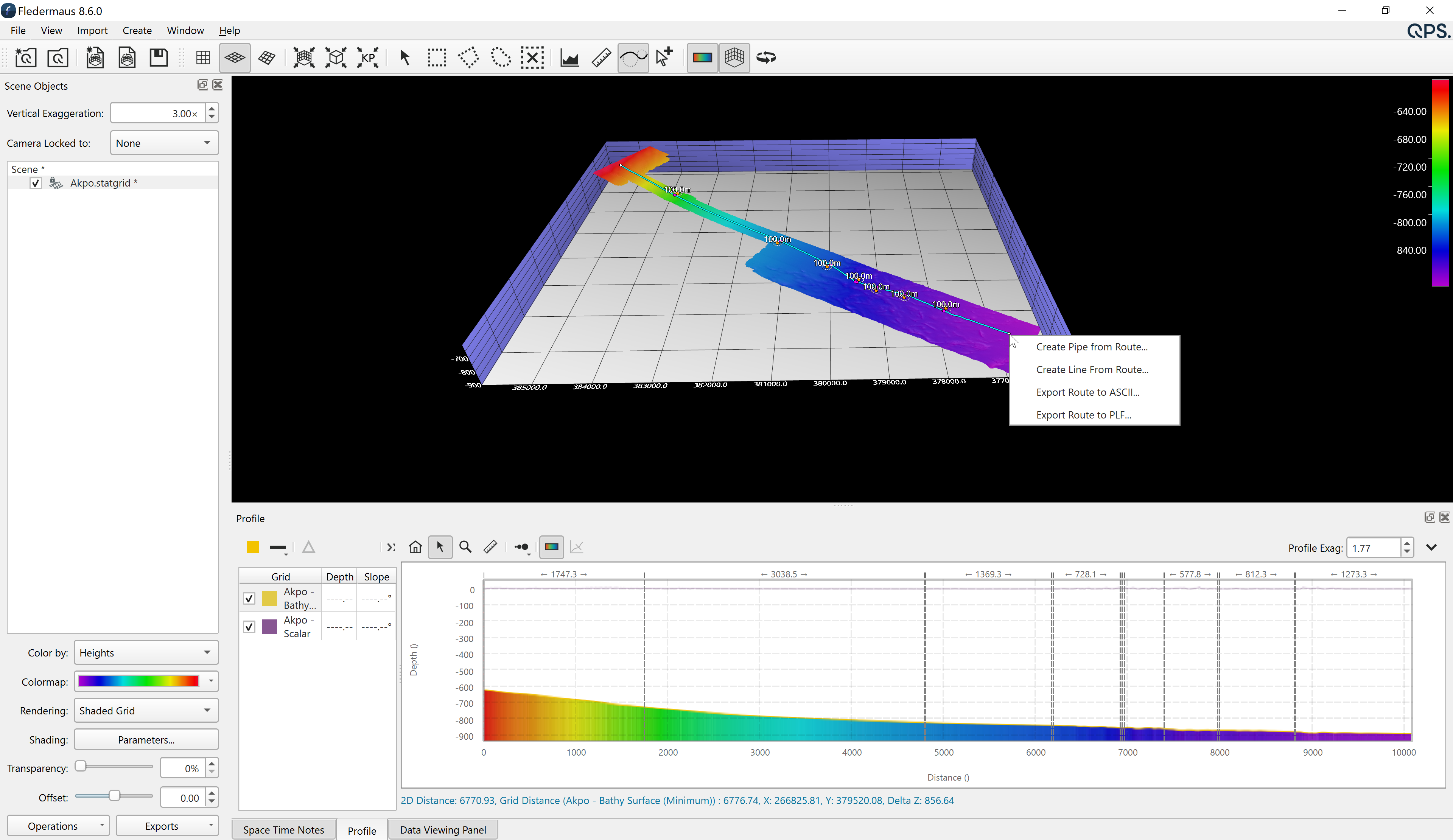
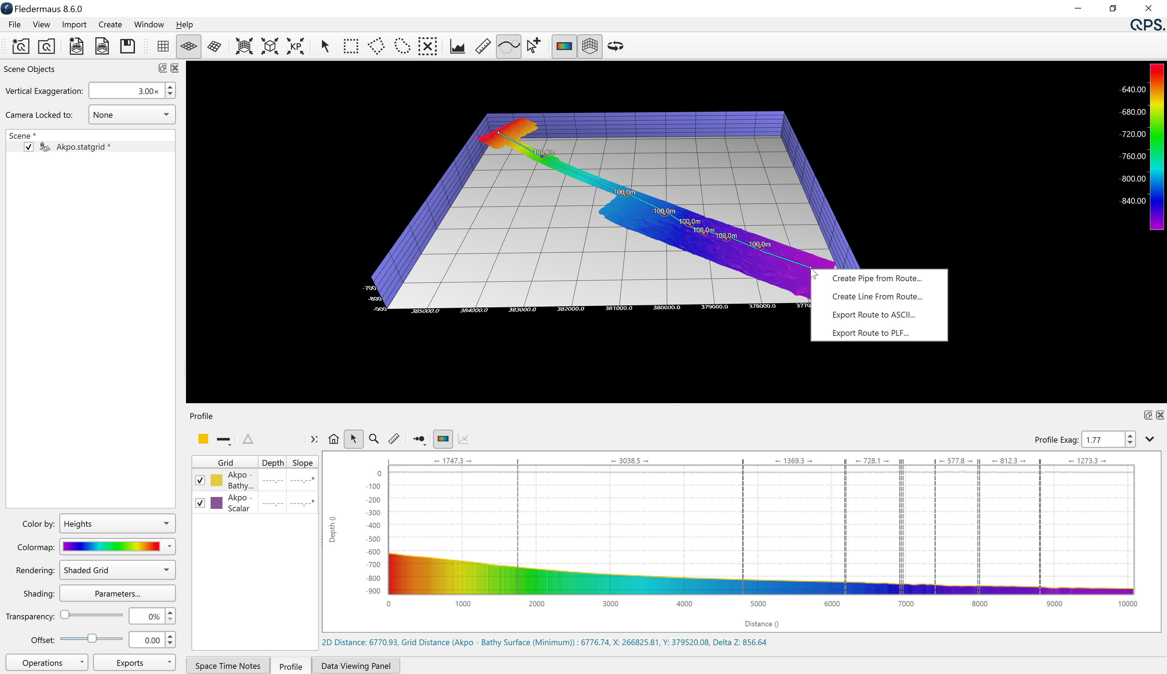
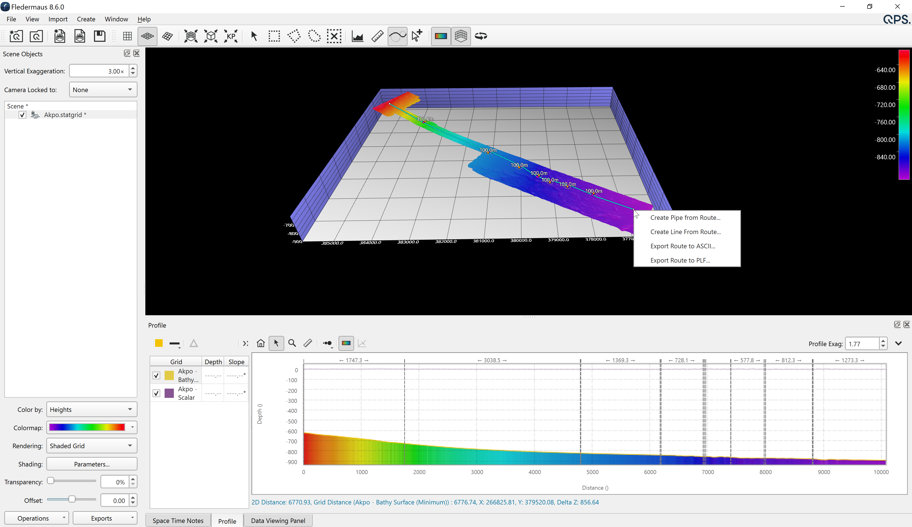
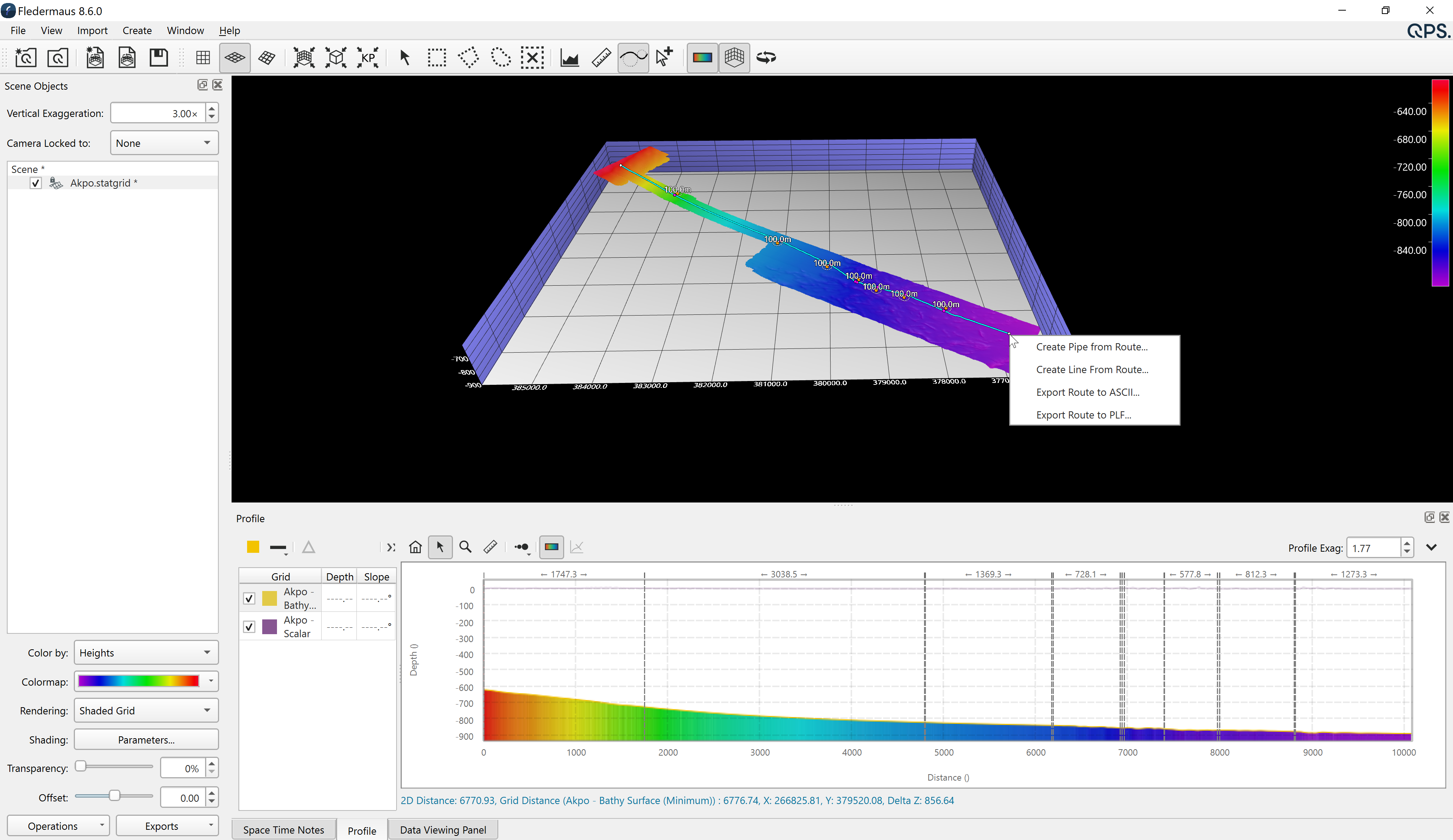
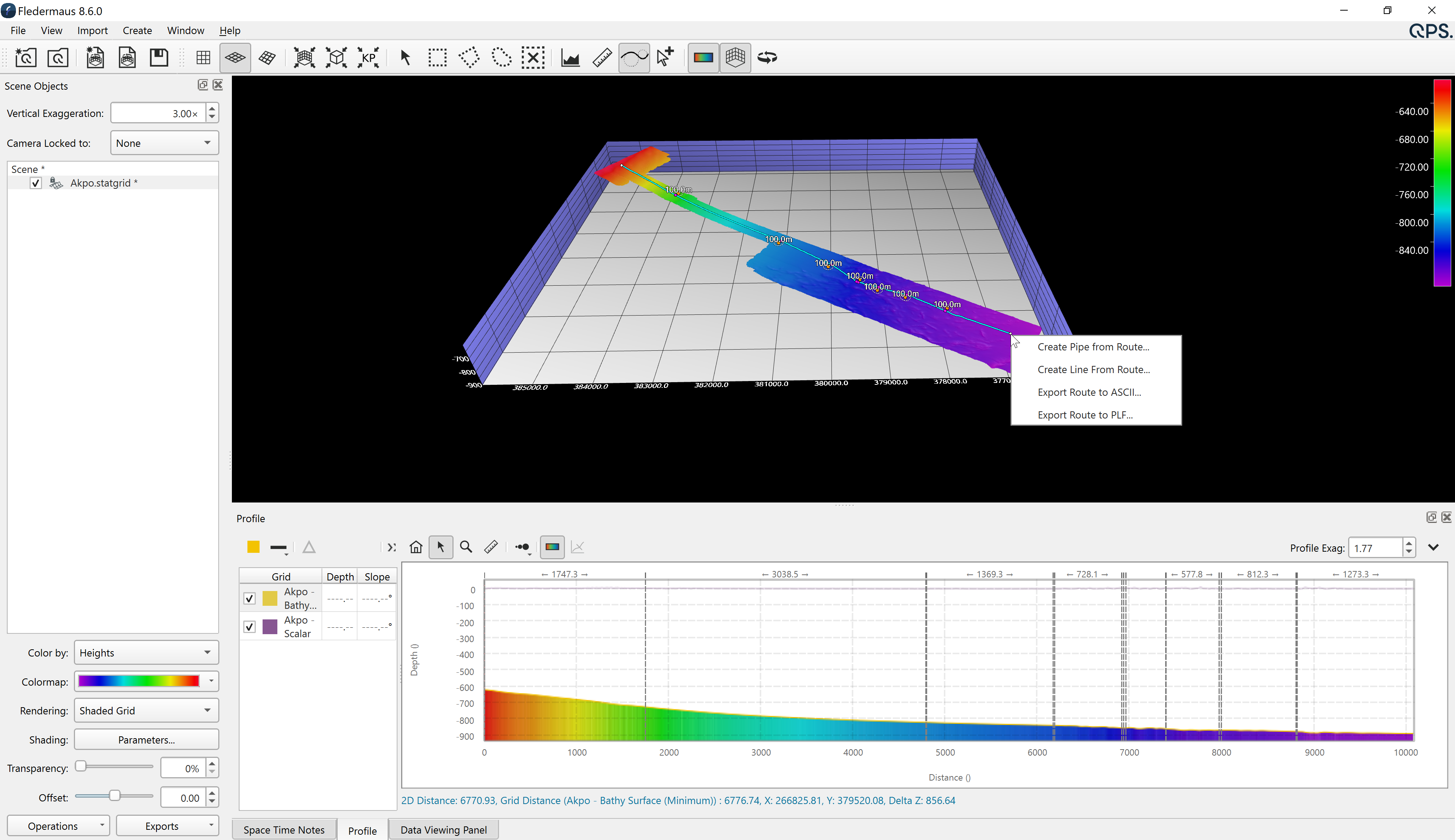
Route Planner
You are now able to plan a route and manage the bending radius for the control points. Once your route is planned over a surface you can then create a pipeline or cable by providing a radius to the interface of the application. This tool integrates the functionality from the route planner application, which was available prior with the Offshore Add-on. The functionality is now in main Fledermaus application, as part of the Offshore License.

Figure 6. Screen capture of the Route planner widget mode enabled and bend radius assessments and edits.
See the resulting profile plot from such route selected upon creation, and also export to a result as ASCII or PFL file formats.

Figure 7. Screen capture of the create and export options for the resulting route that user has made interactively within the map display.
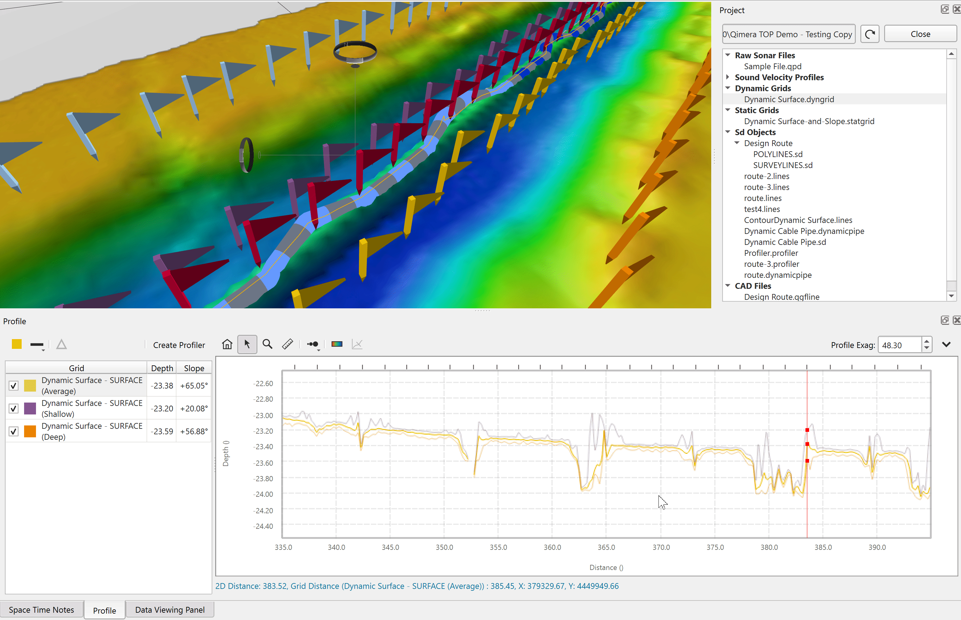
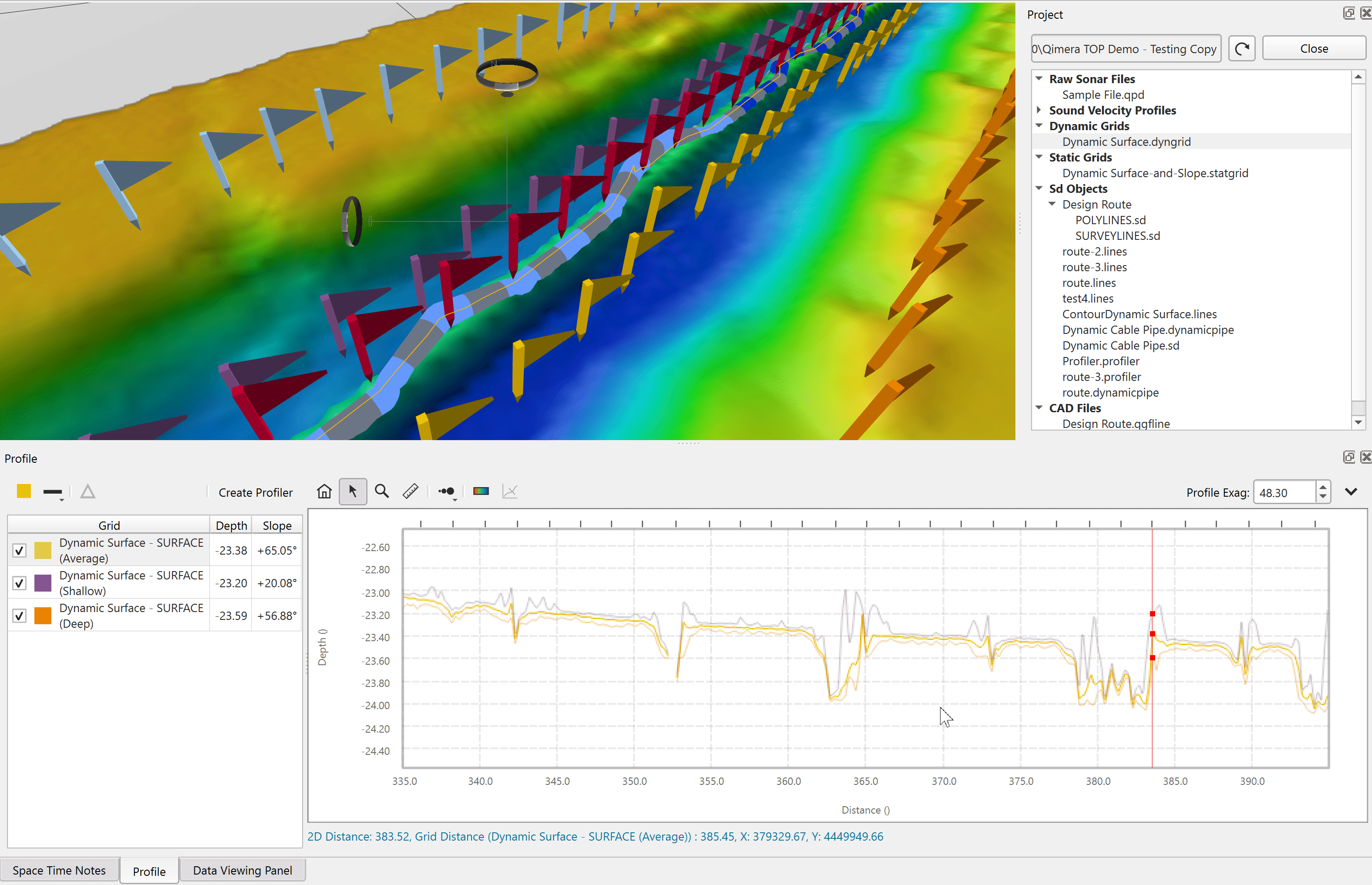
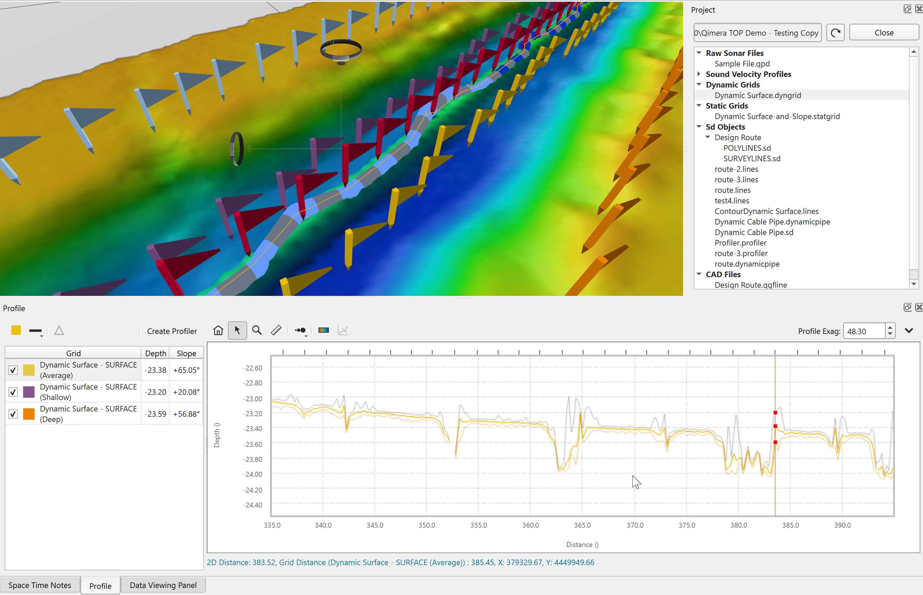
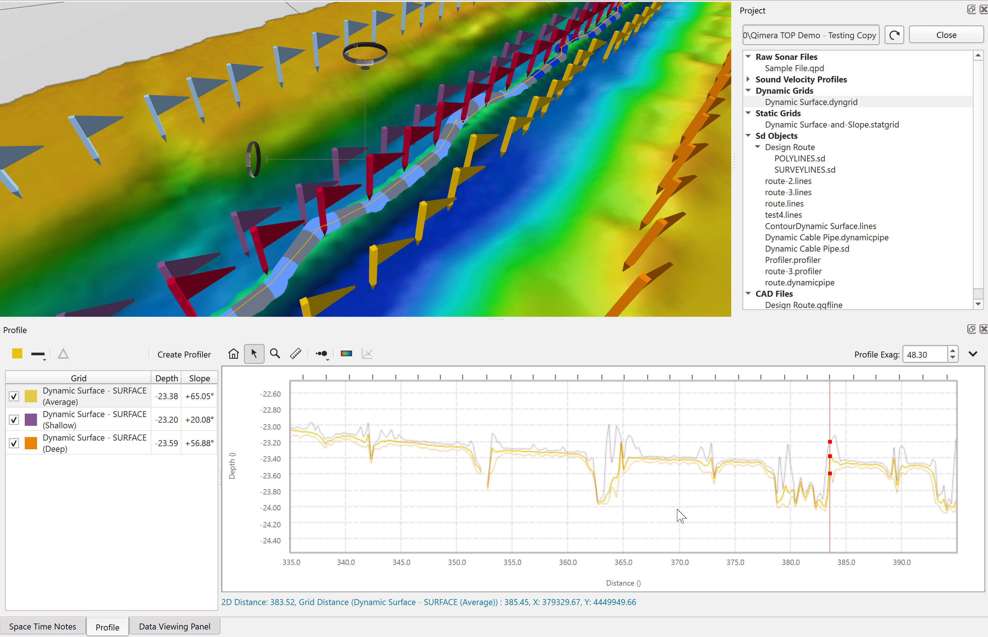
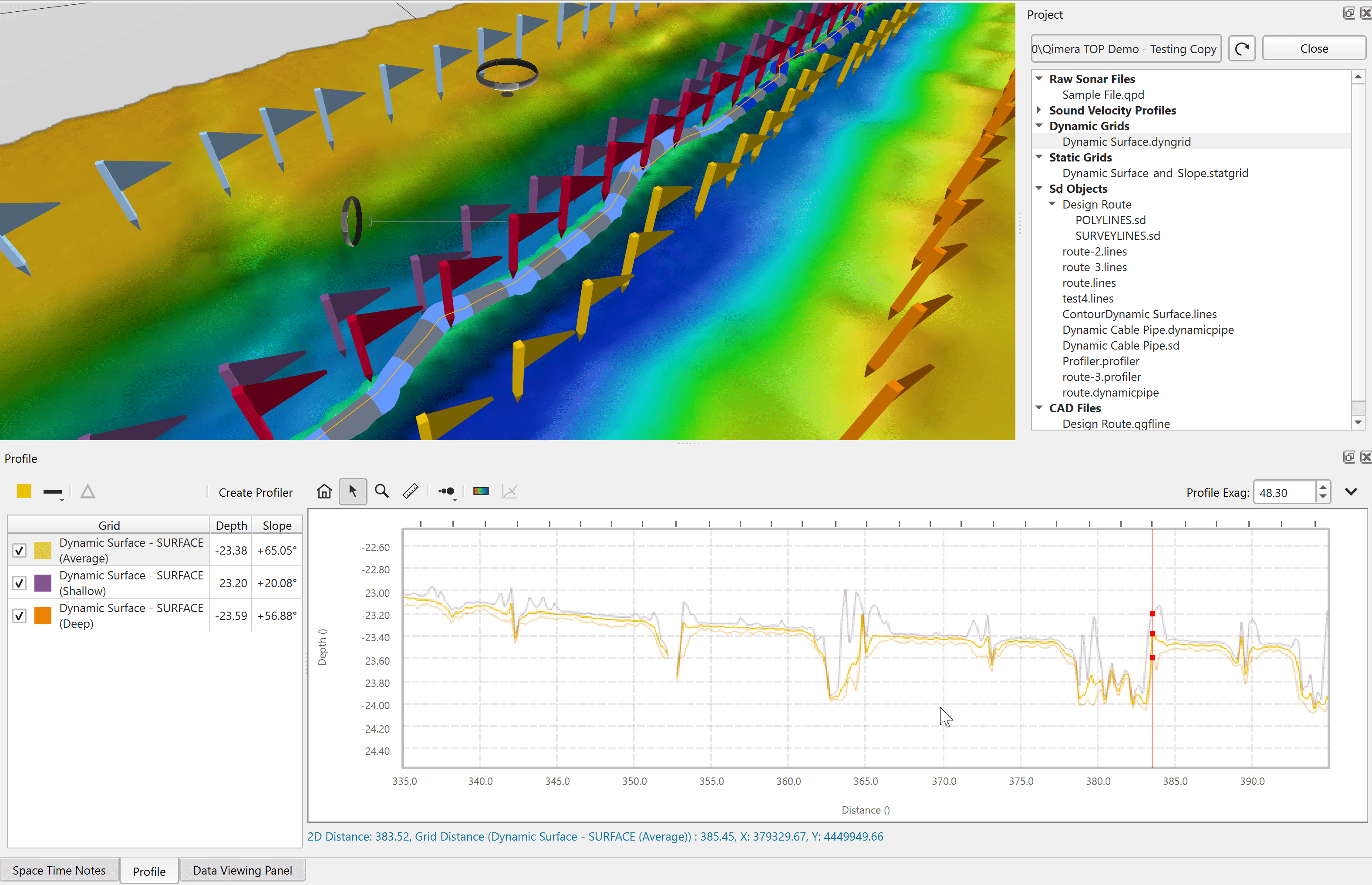
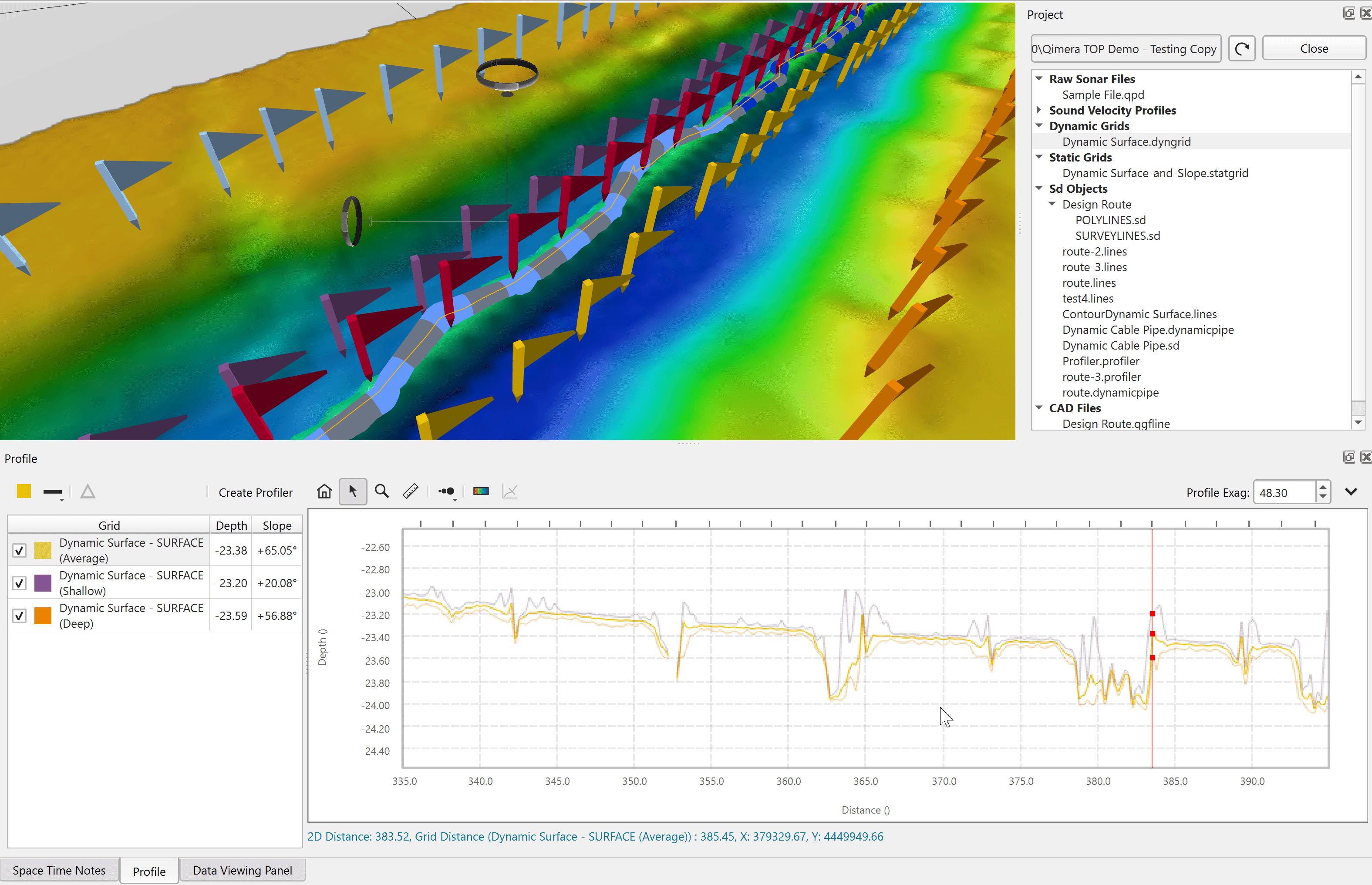
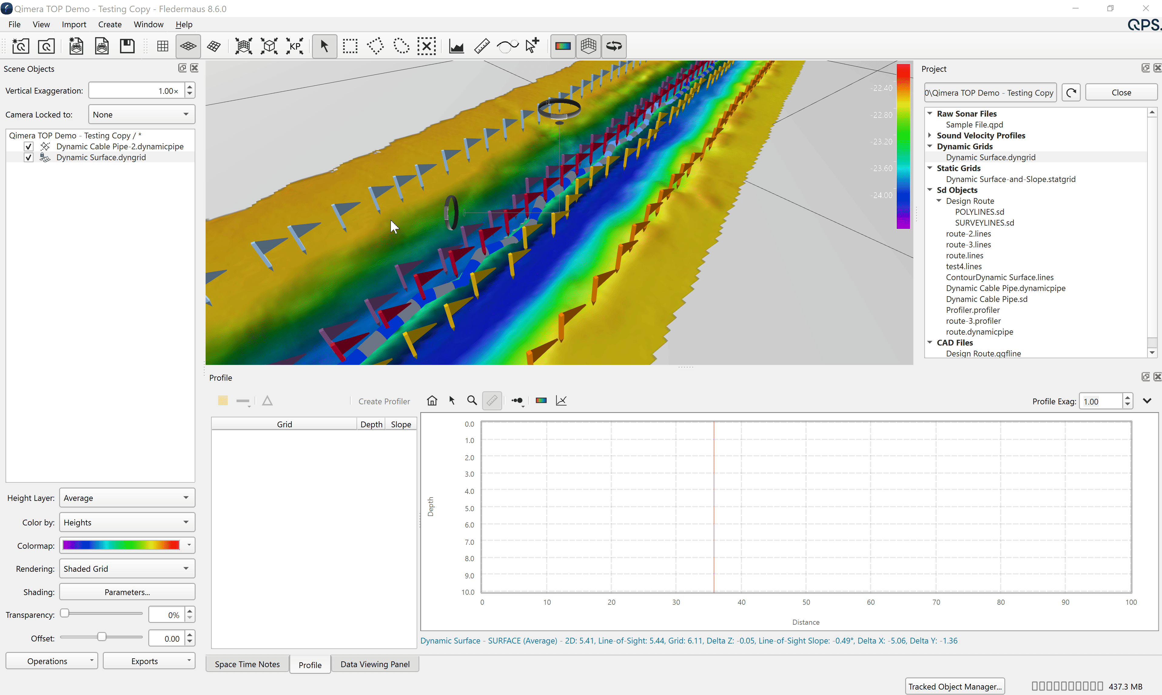
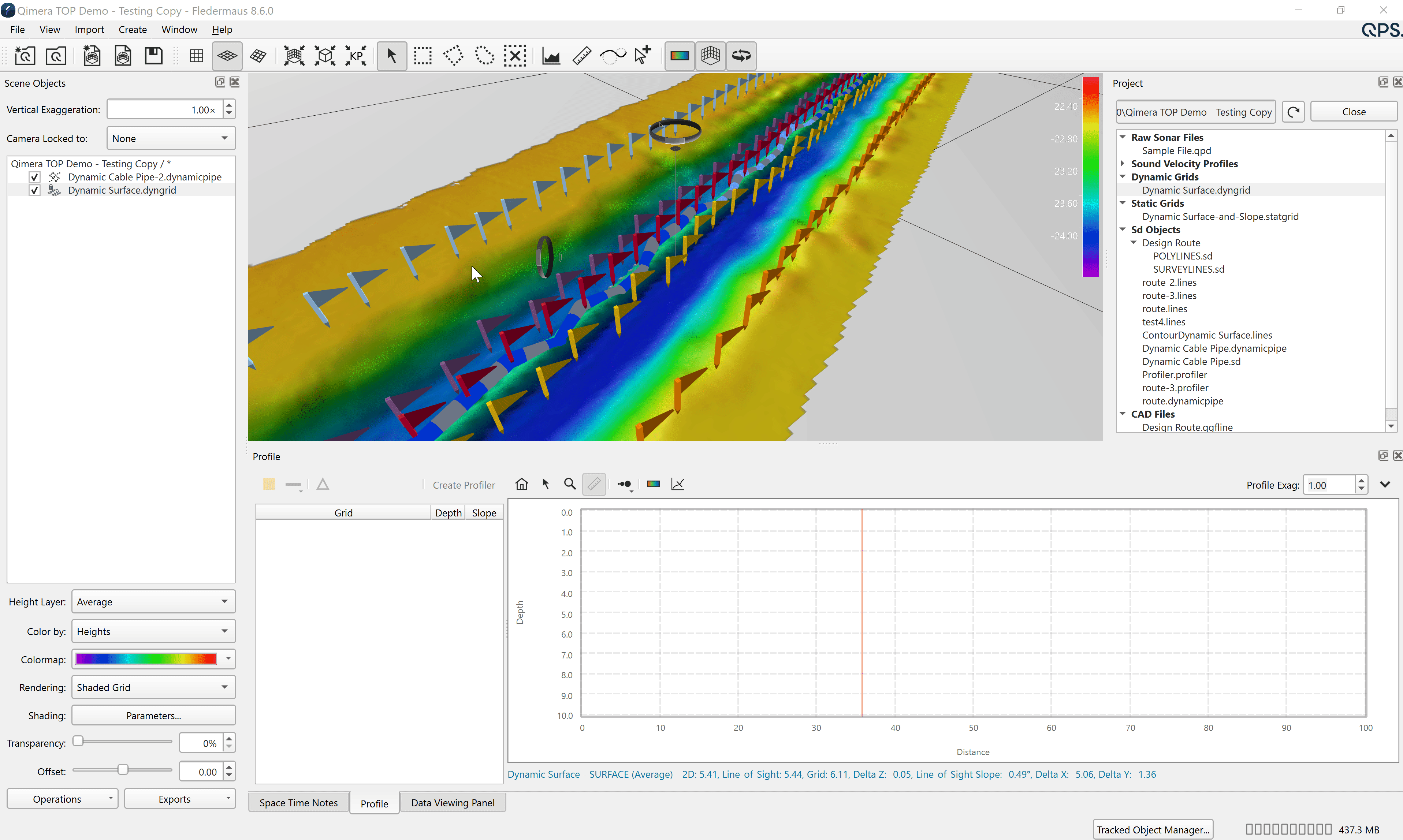
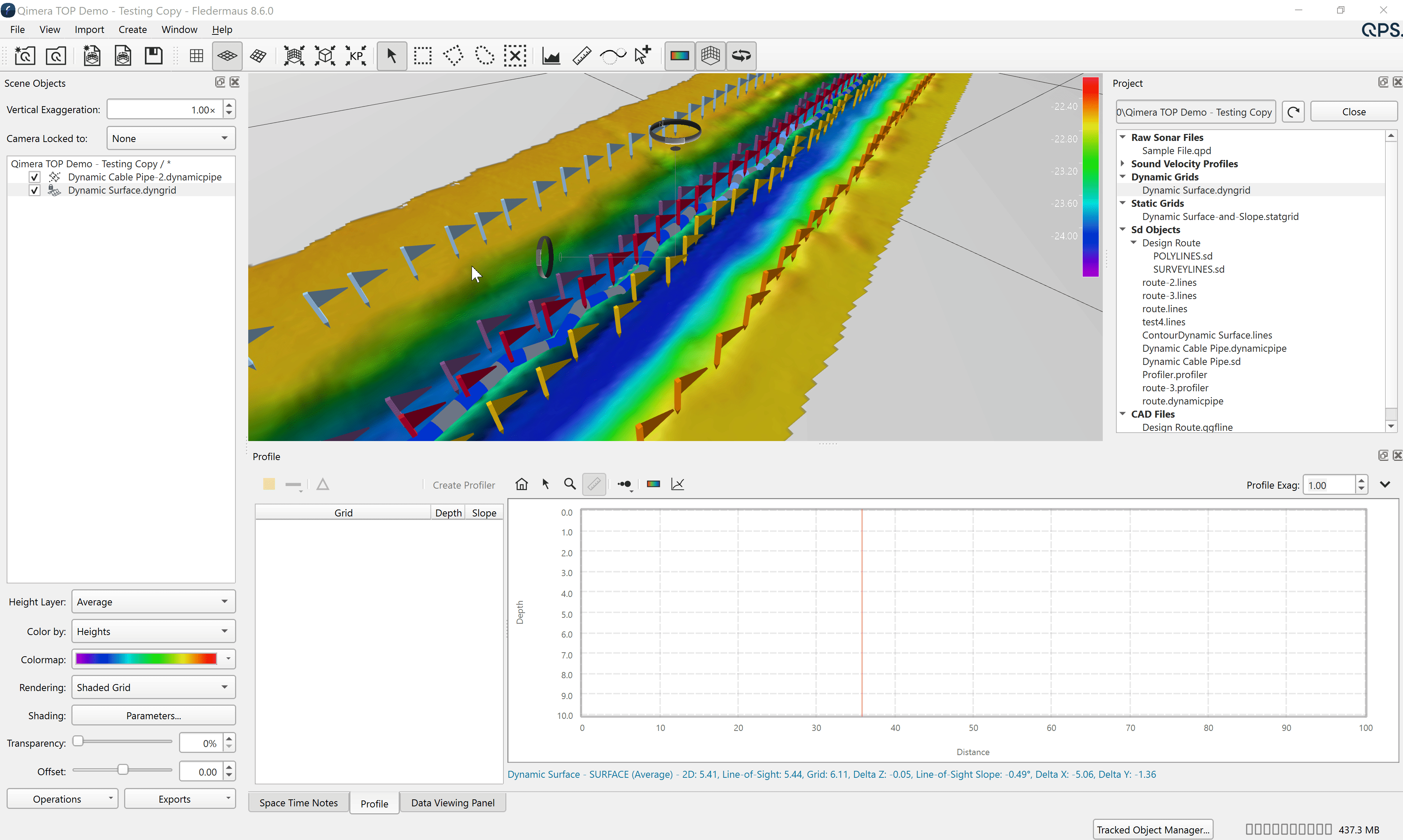
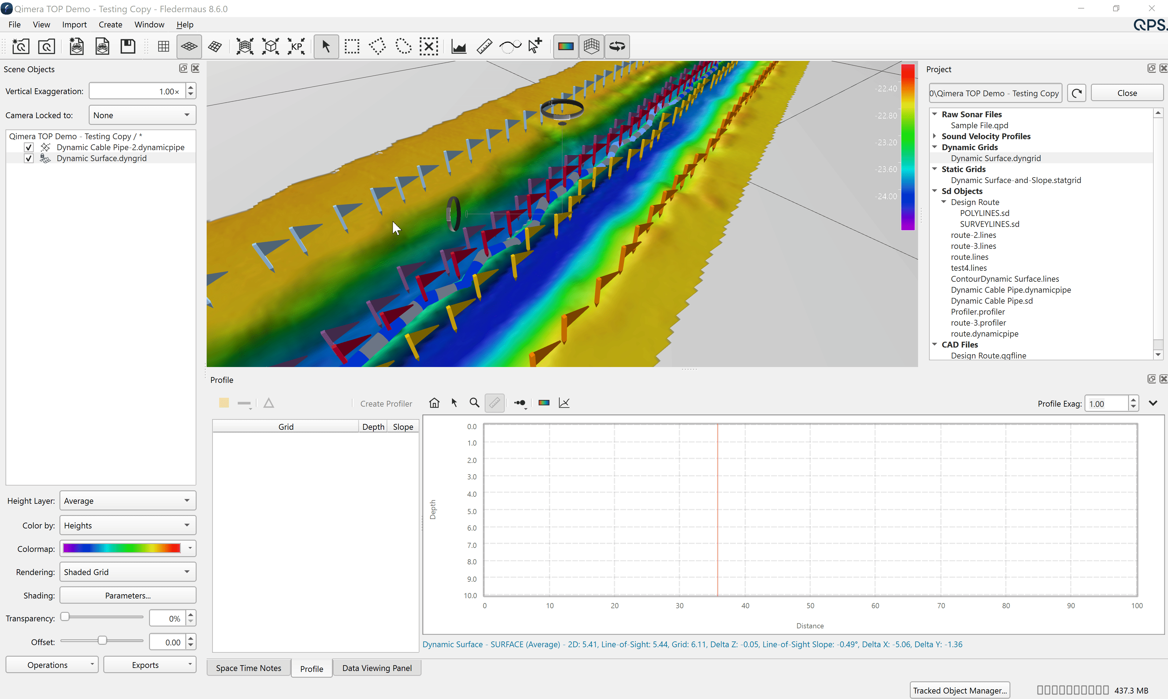
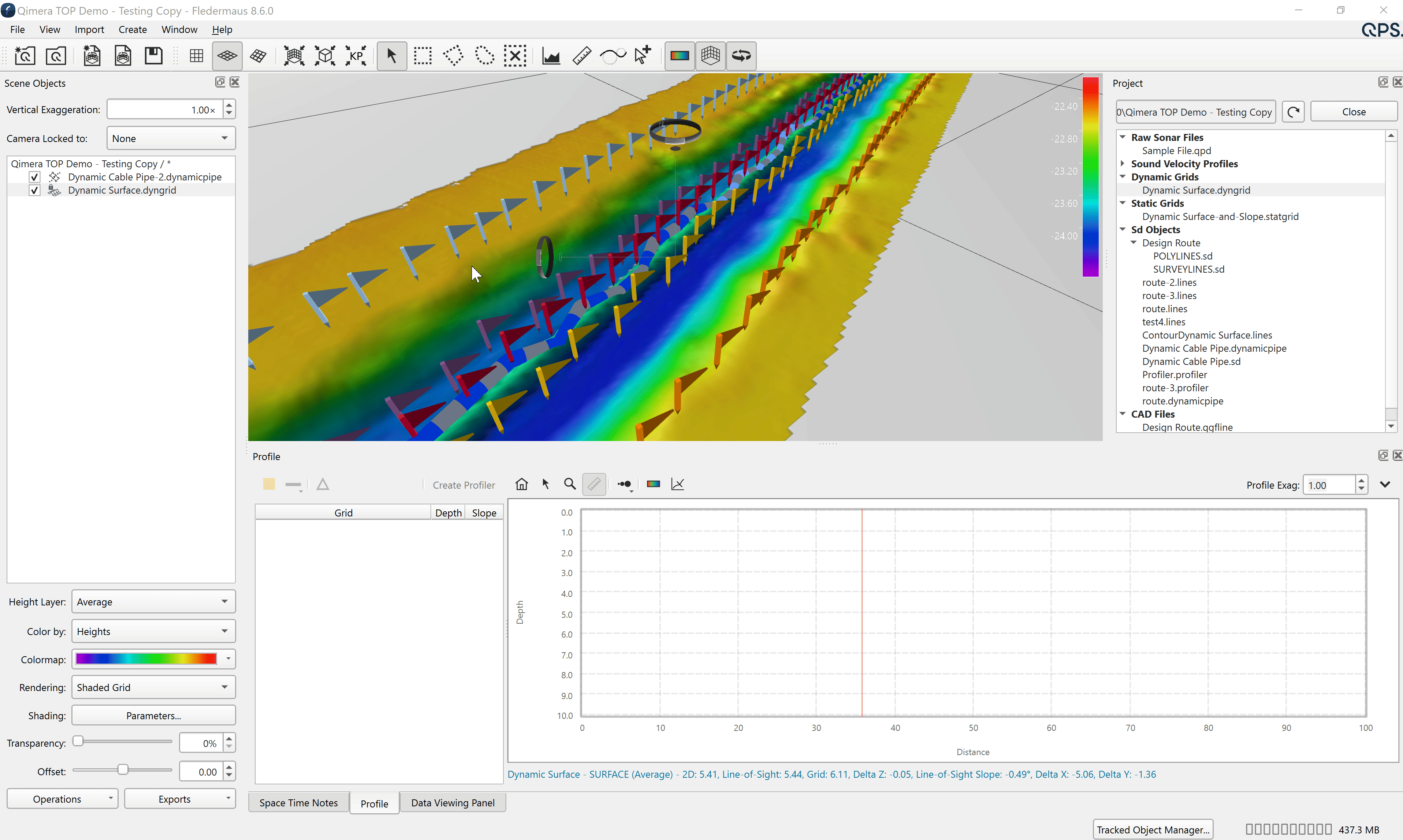
Dynamic Profiles object and Plot Improvements
The dynamic profile plot of Fledermaus continues to increase in analytical functionality, now allowing enhanced measurements in the Fledermaus Offshore License.

Figure 8. Screen capture of the dynamic profile plot, showing the new enhanced measurements for the users along profiles on profile plot.
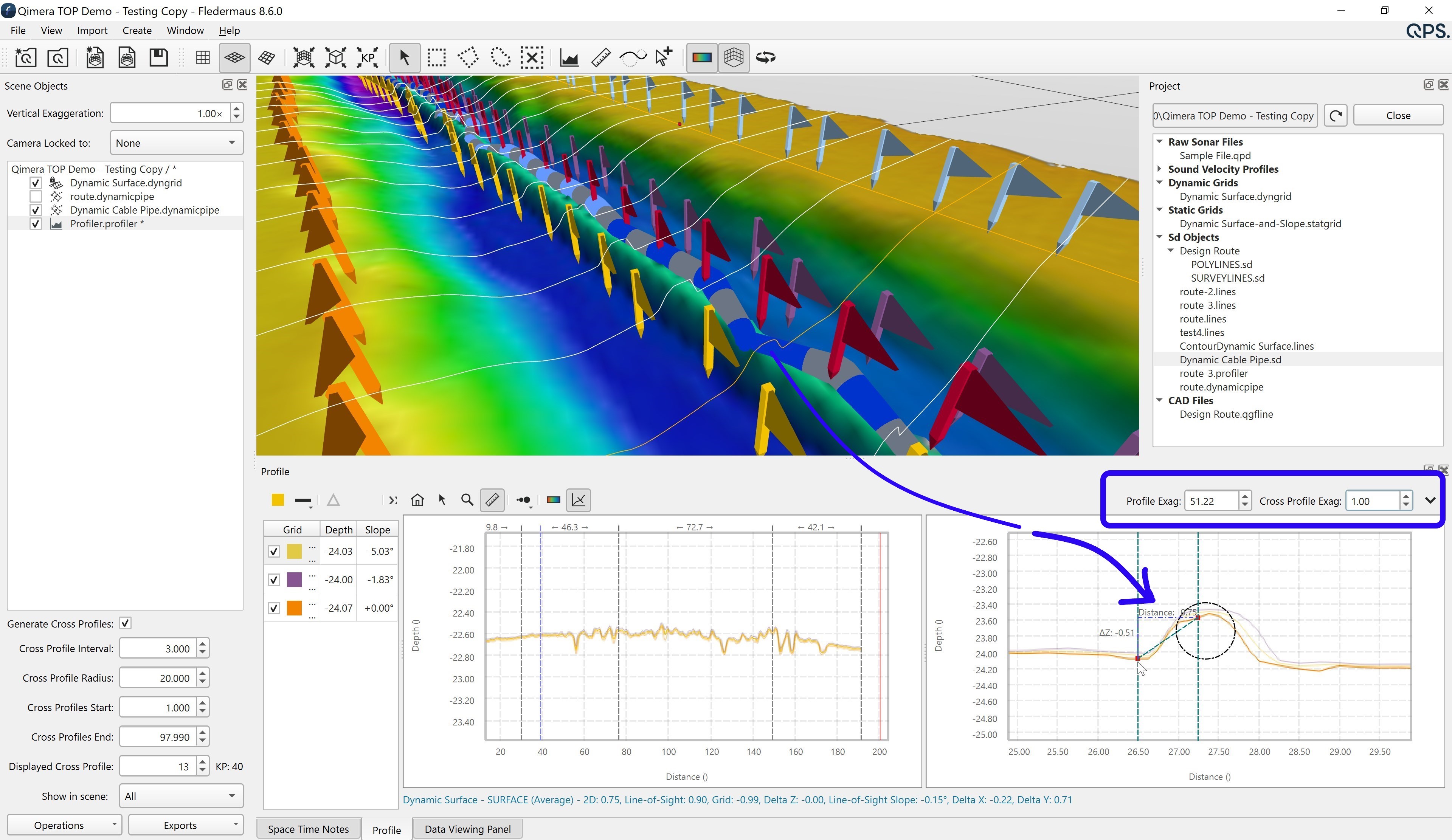
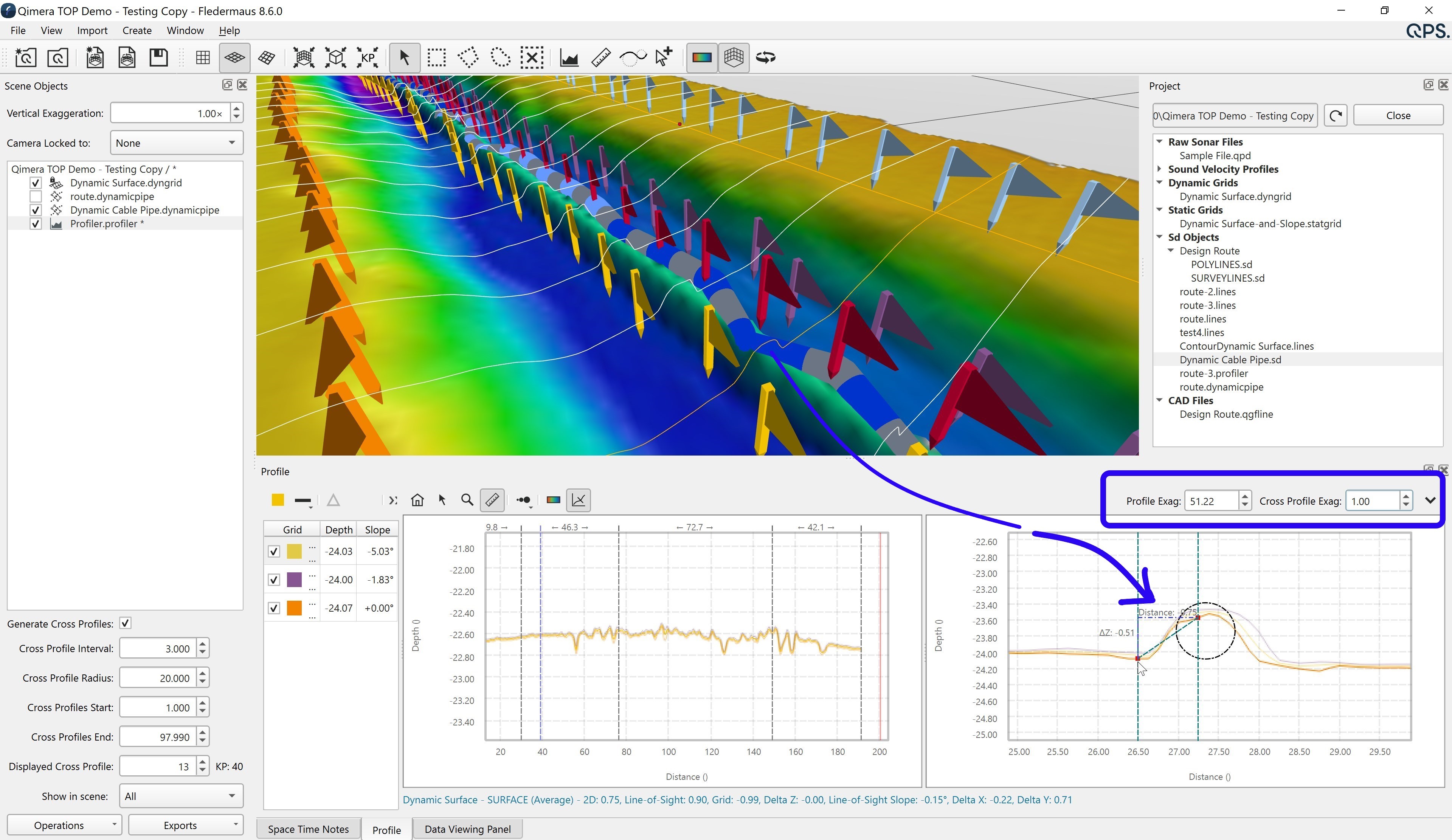
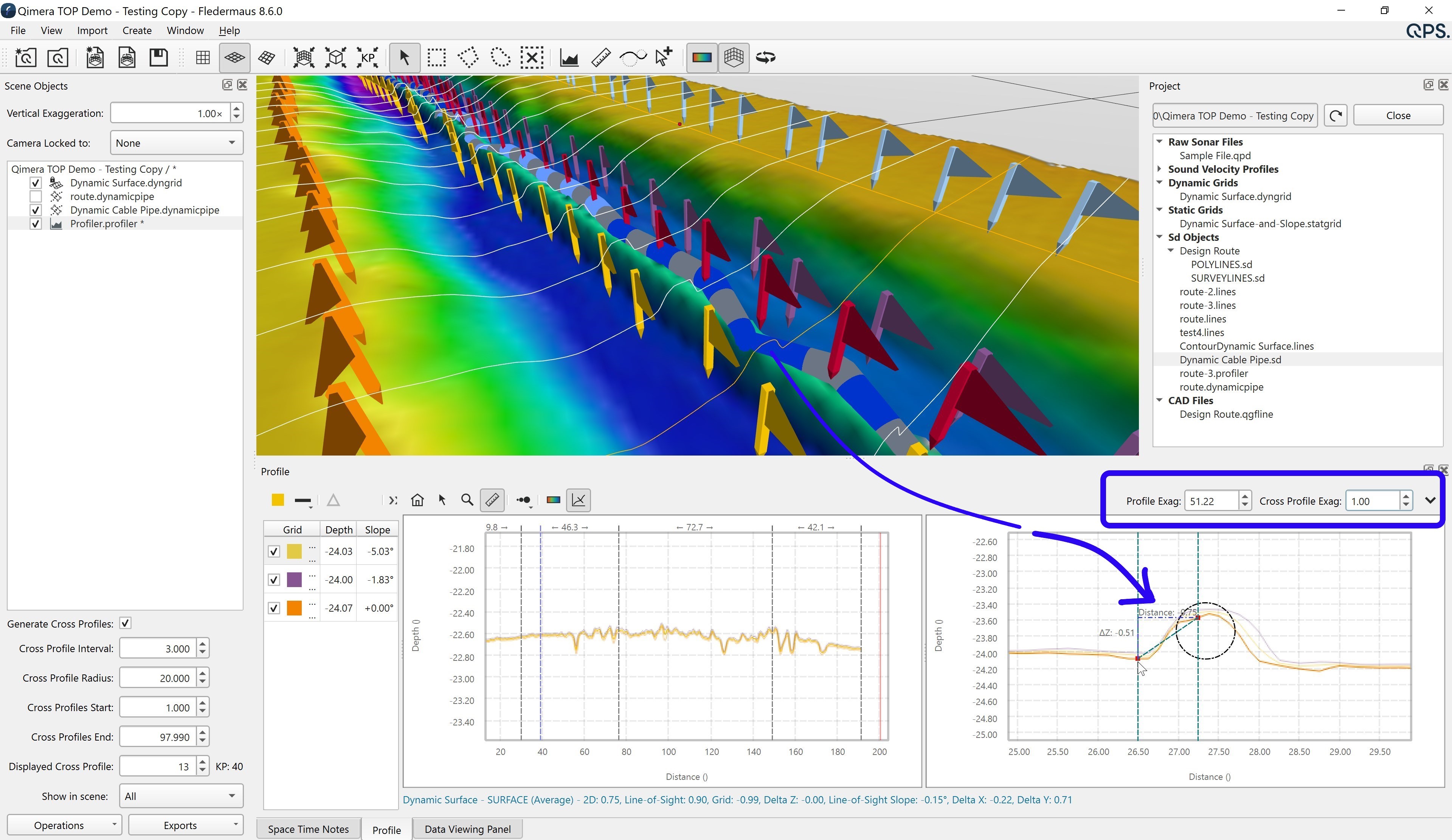
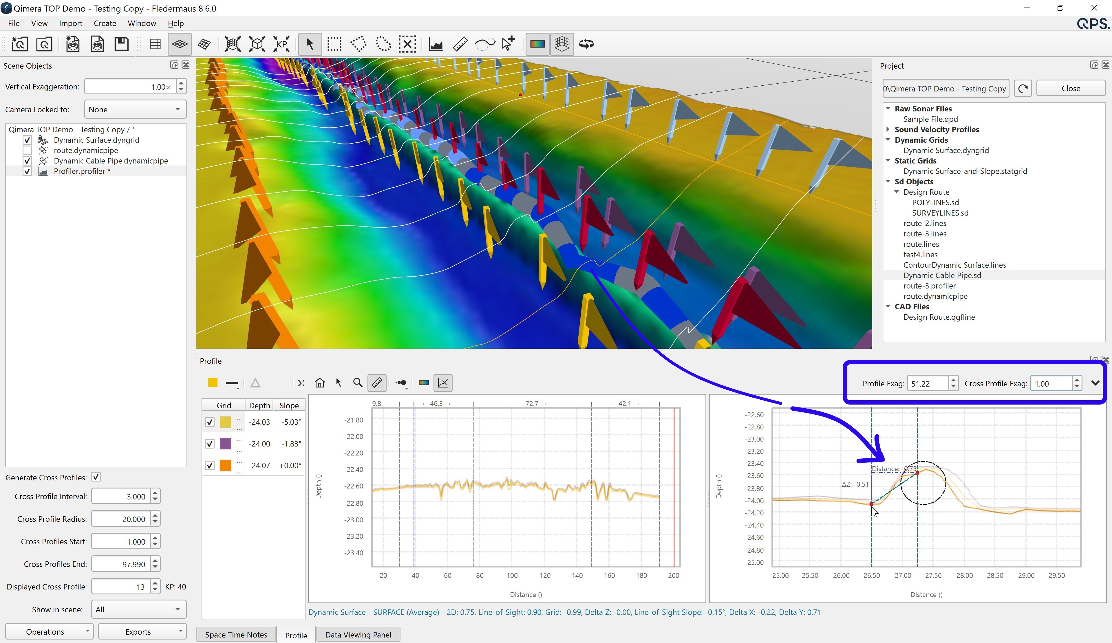
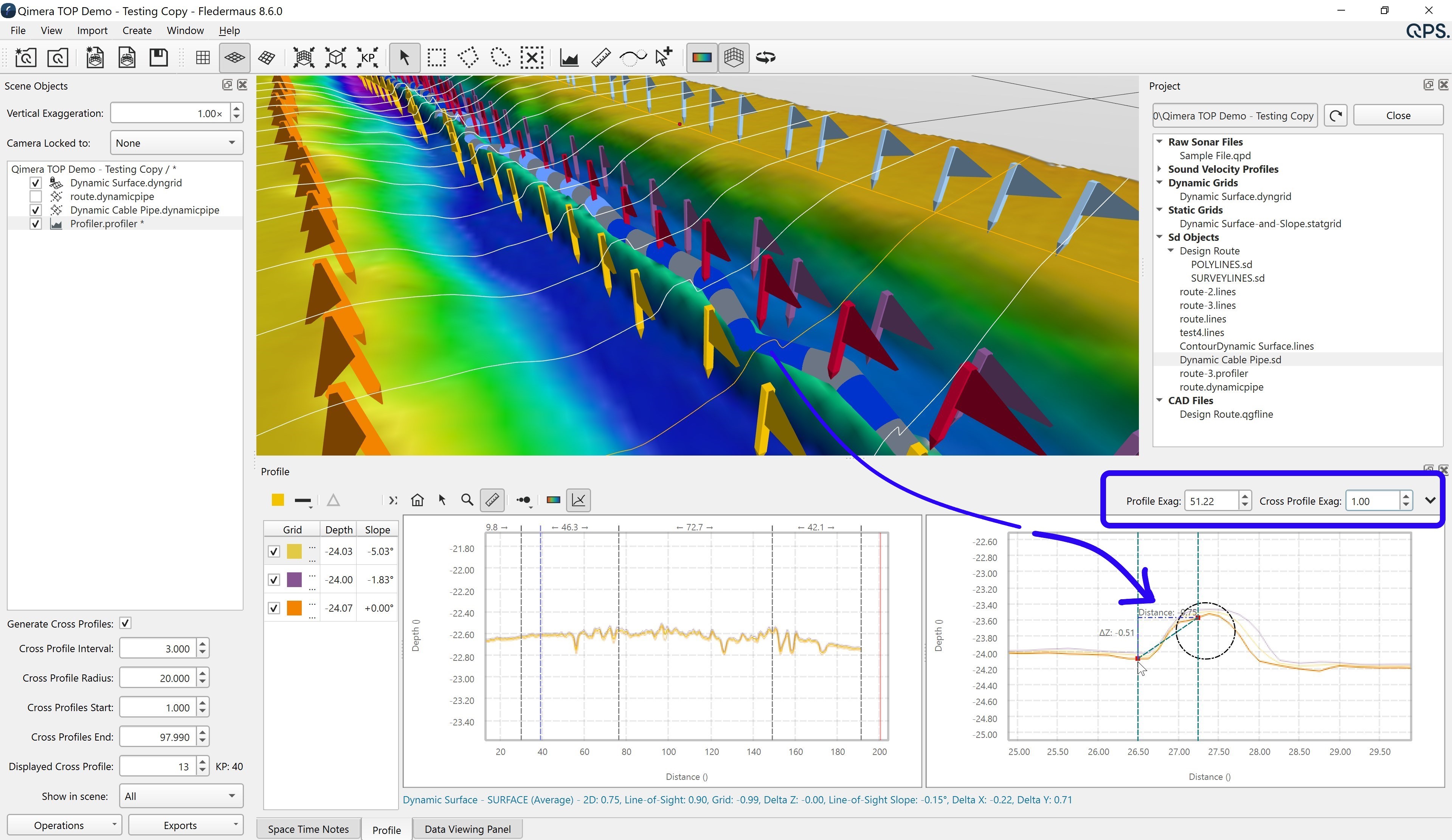
Additionally, you can now use the profile plot for analysis and measurements, which will include a defined pipeline object on position on the 4D scene, as it will display in the profile plot along and across profiles. To ensure that you can trust the plots from any distortions you are able to lock the exaggerations on them, independently as depicted in Figure 9.

Figure 9. Screen capture of the dynamic profile plot with pipeline and/or cable objects, showing up in the along and across profile.
When working with grids that contain multiple layers, now the profile plot will display multiple layers associate to that surface. This feature is also only available with the Fledermaus Offshore product.

Figure 10. Screen capture of the multiple layers on the profile plot for multilayer grids.
You are now also able to use quick profile with CTRL click and drag, which is now a middle solution for FM 7 to FM 8 users, for profiling.

Figure 11. Screen capture of the quick profile functionality.
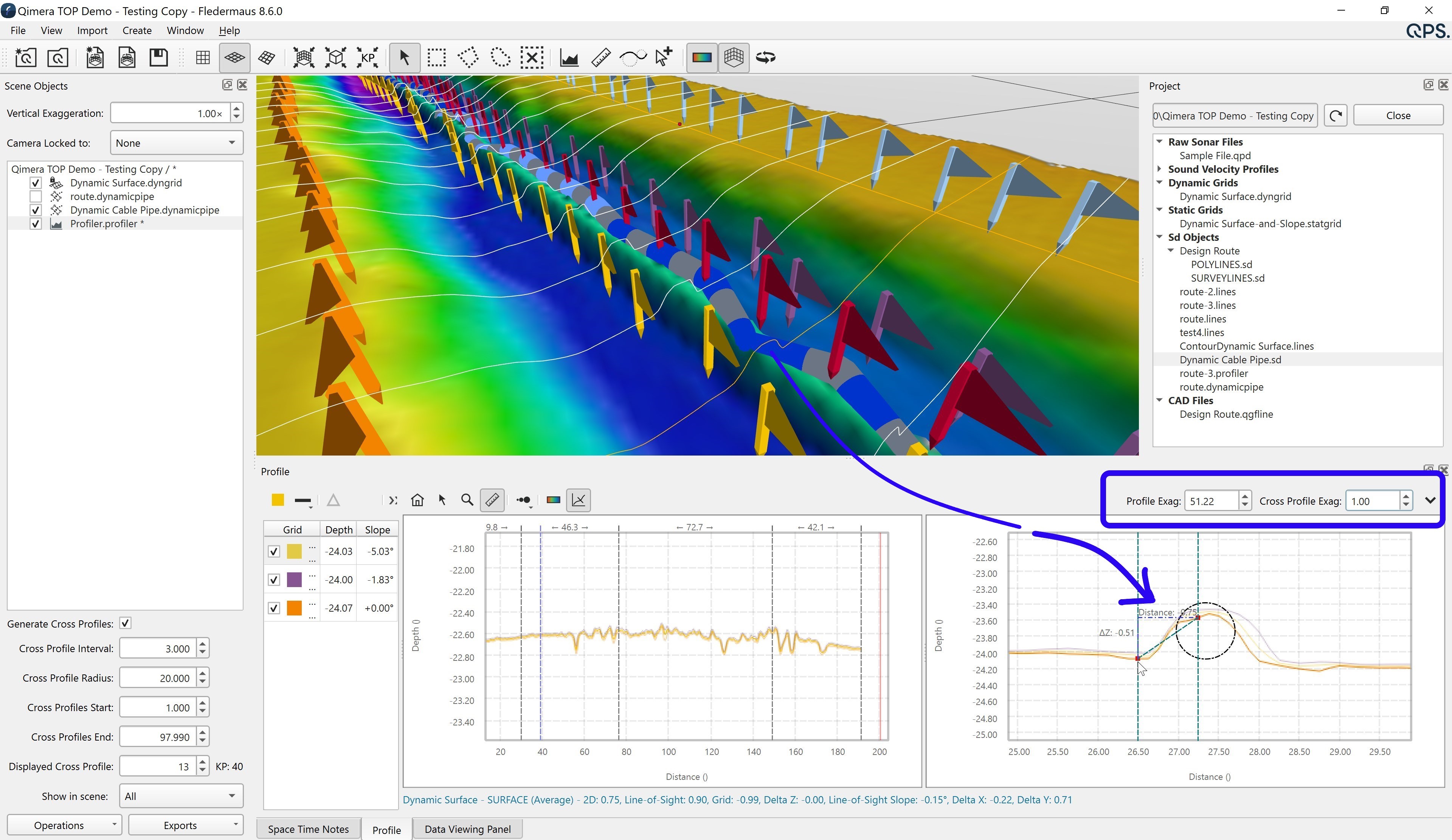
When working with cross-profiles you can now decide if you want to show or hide other cross-profiles on the 4D scene, as depicted in Figure 12

Figure 12. Screen capture of the cross-profile properties, highlighting Show in scene options.
You can also work when generating a profiler object, setting to follow with camera, which automatically updates the 4D scene to have the cross-profile centered (See Figure 13)

Figure 13. Screen capture of the cross-profile plot properties with follow with camera enabled.
Last not least, you can export the cross-profile series to a series of ascii and also of images titled by KP.
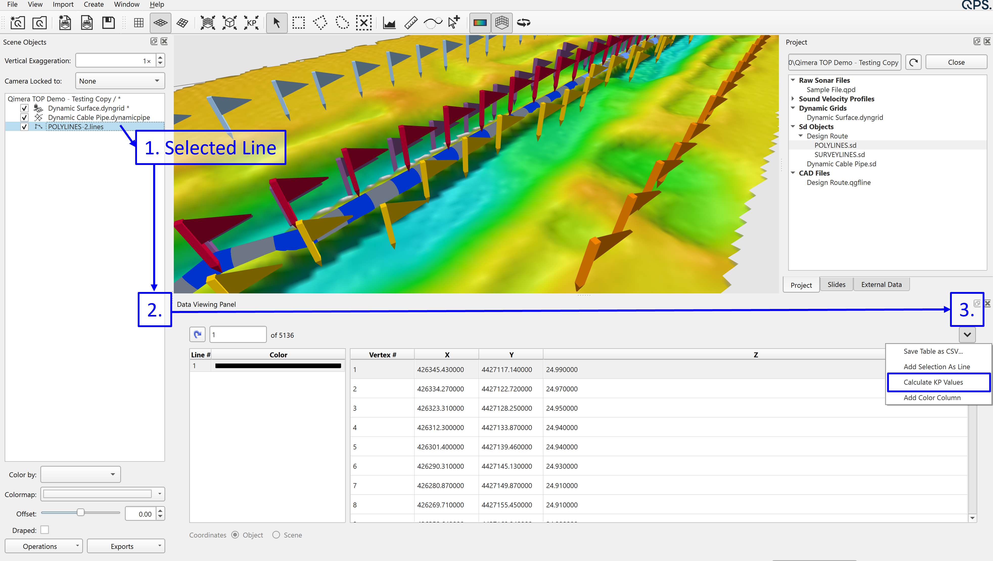
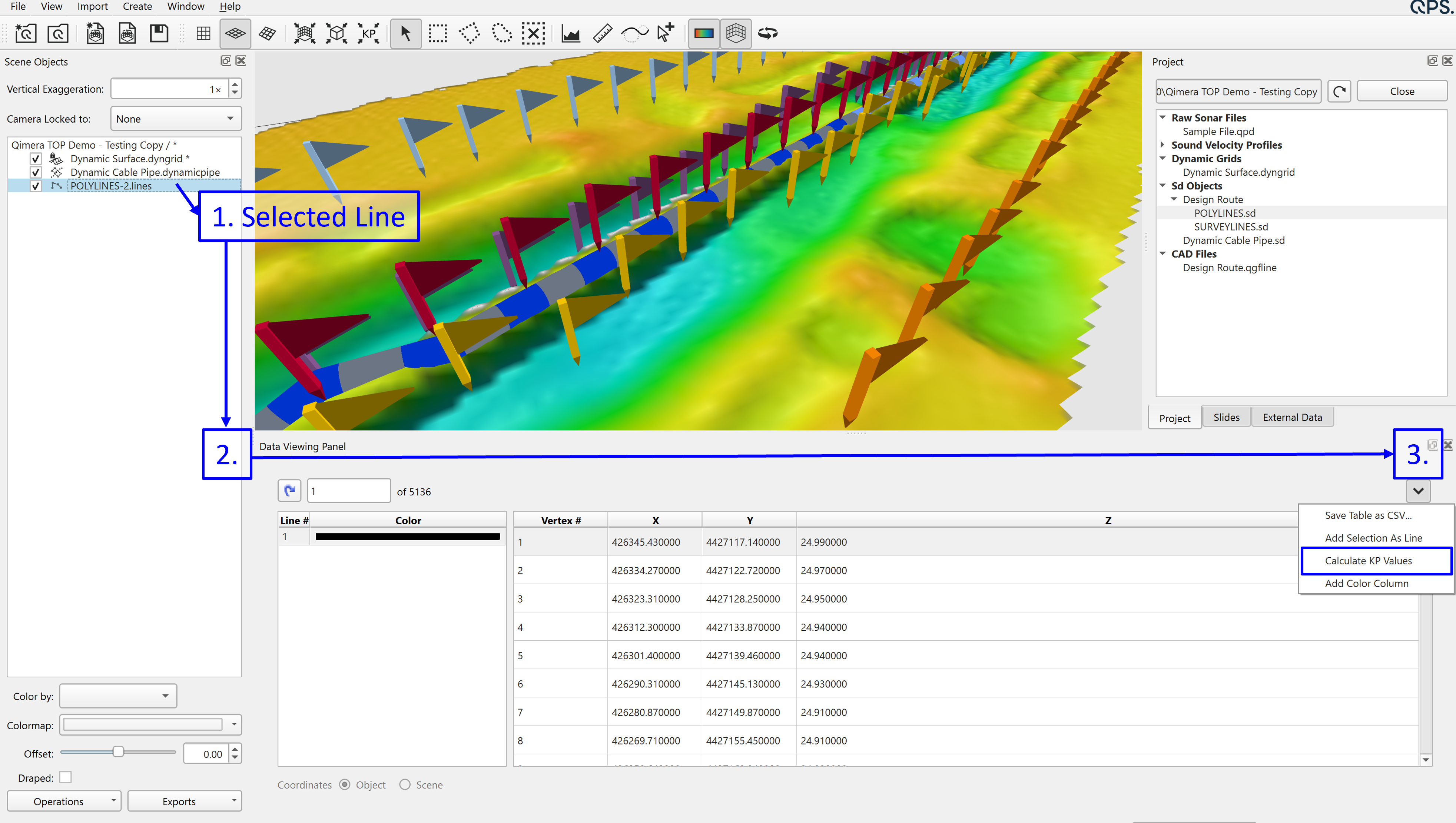
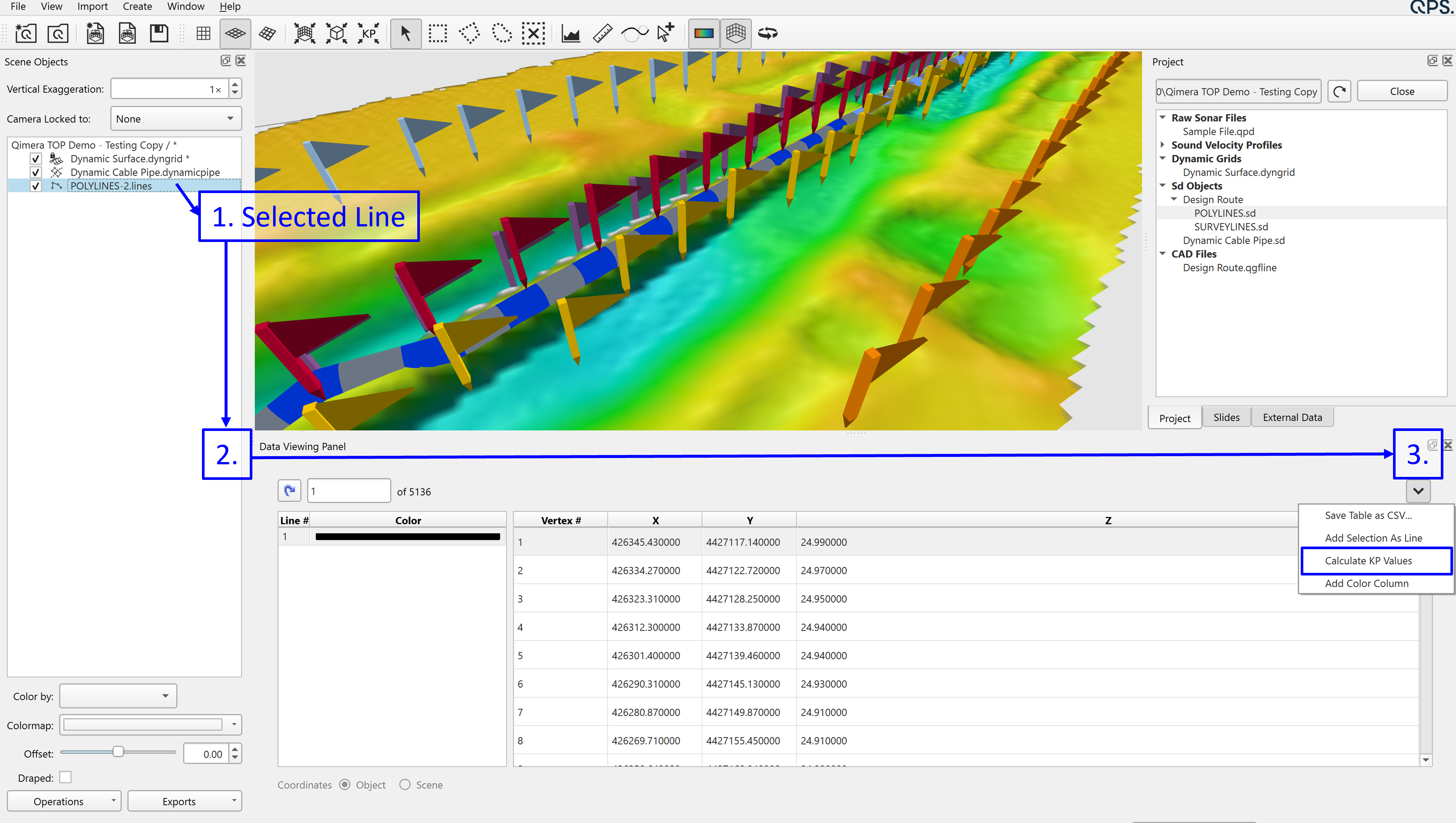
Pipeline & Cable Objects improvements
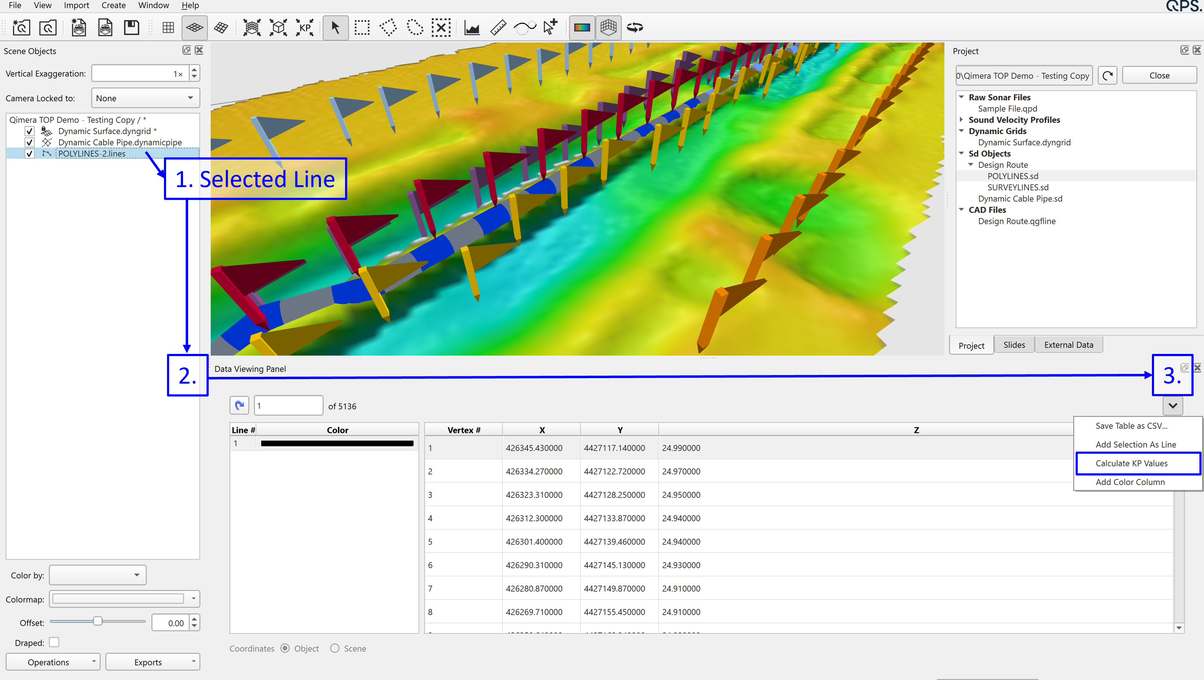
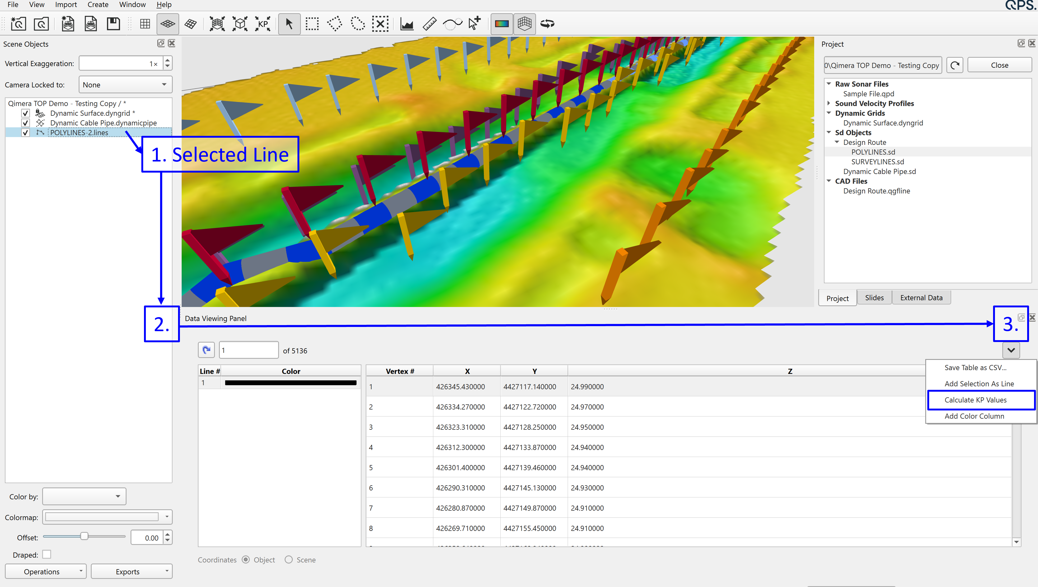
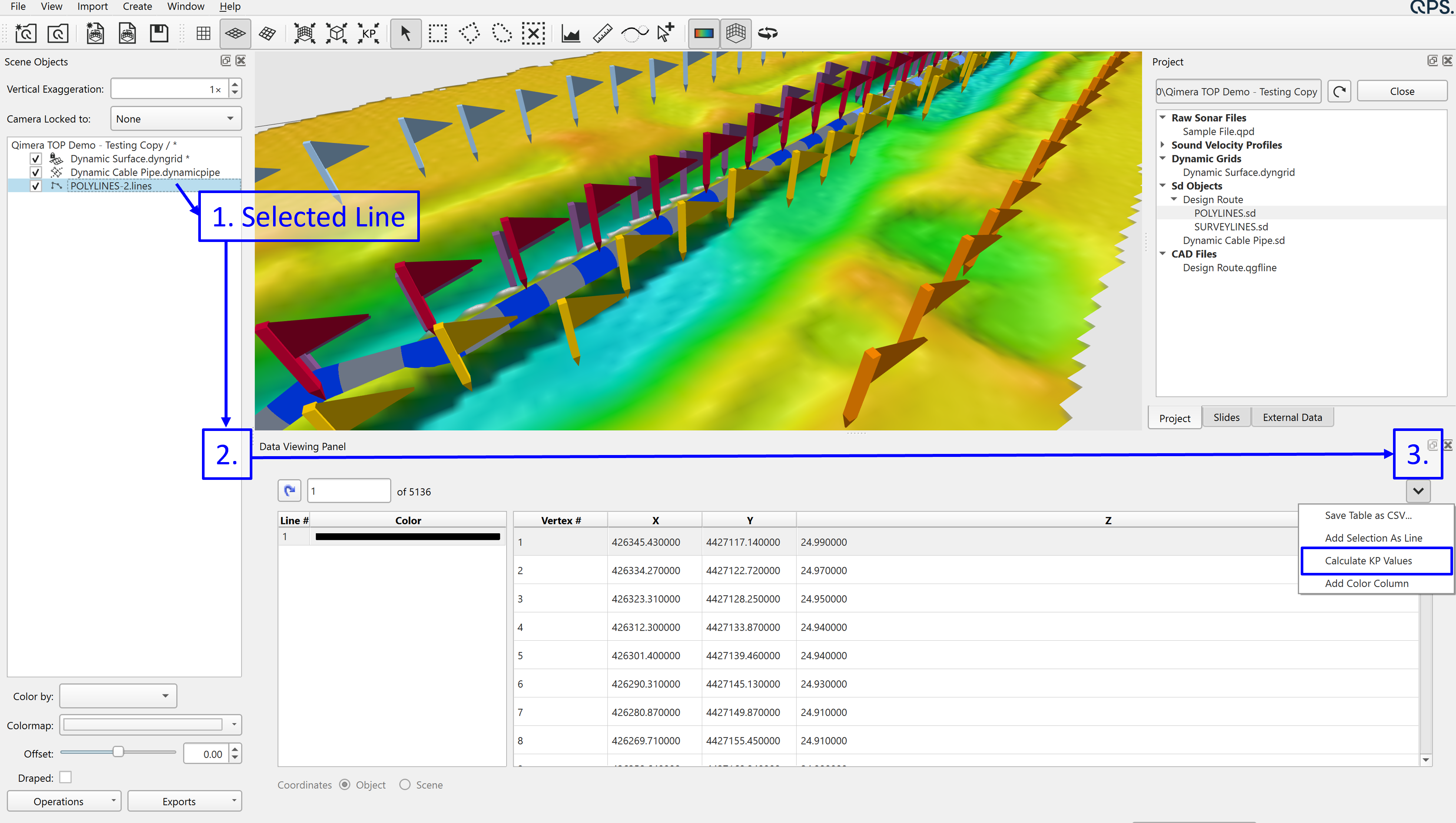
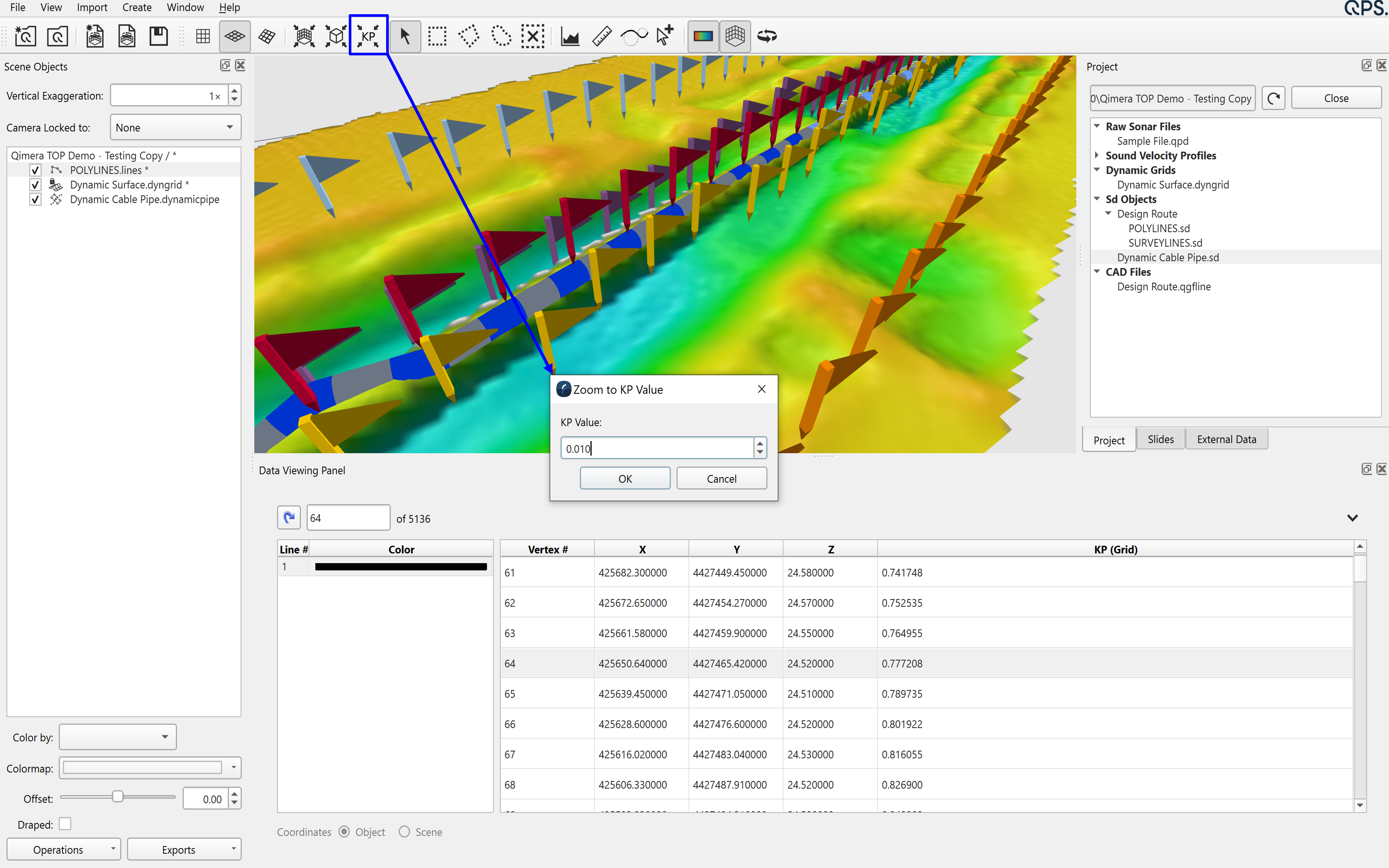
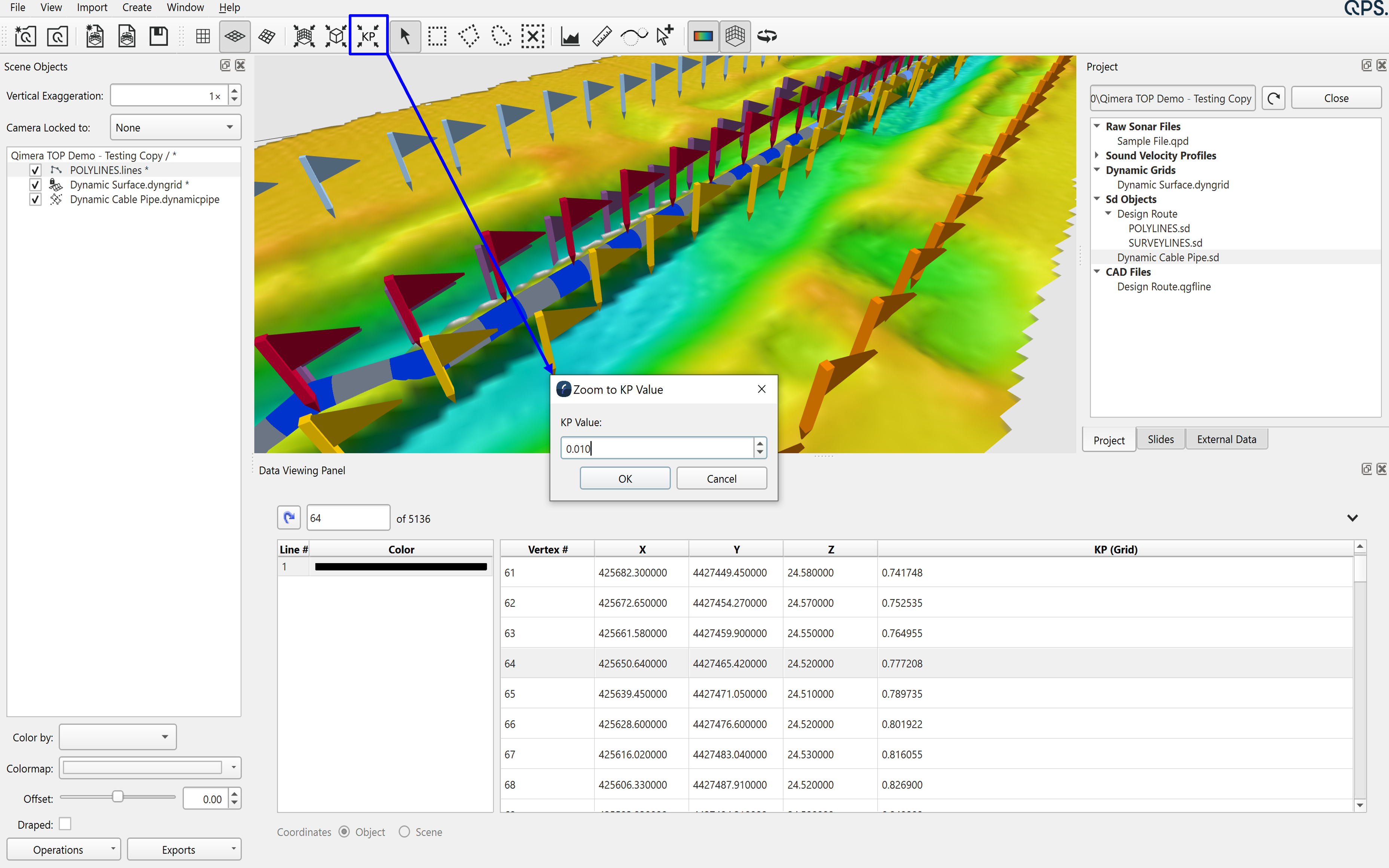
When working with a line/route object you can define kilometer points (KP), you can see the steps to do so in Figure 14.

Figure 14. Screen capture of pipeline with zoom to KP feature. Credit data: XOcean
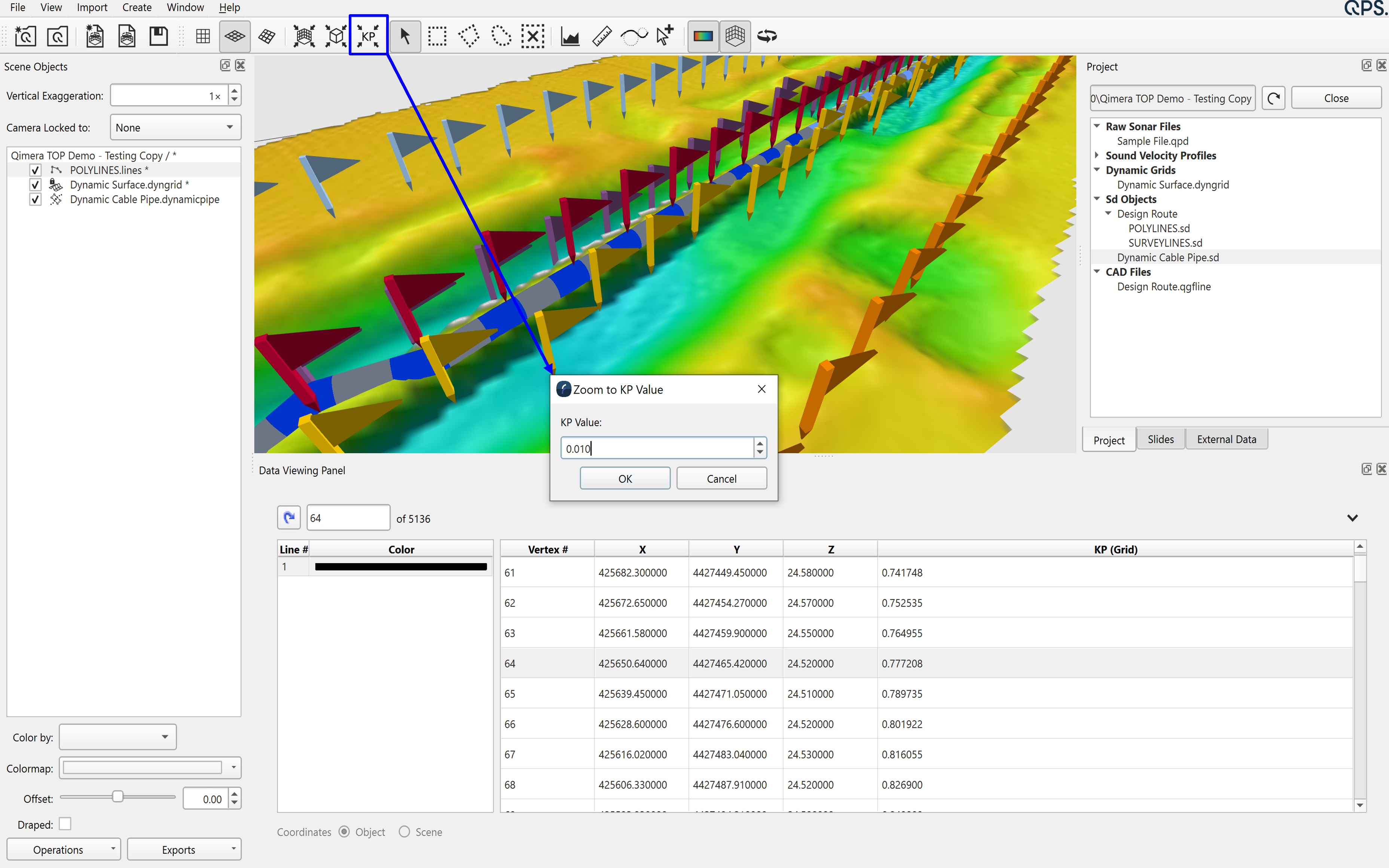
You can also directly use the Zoom to KP functionality for active route and/or pipeline/cable objects. This functionality is accessible in the scene bar as depicted in Figure 15.

Figure 15. Screen capture of pipeline with zoom to KP feature. Credit data: XOcean
Connect vessel track to pipeline object: This provides the pipeline the information it needs to be able to find and set a scene position based on time. You are also able to lock the scene exaggeration to avoid distortions during your work on situational awareness.
Scene Time improvements
Scene time properties are improved allowing you to keep the time settings and save such state of time to the scene file.

Figure 16. Screen capture of settings that are being now saved with the scene file.
Draping improvements
These draping improvements were made available to the full user base. When you drape an image on a surface you can now optionally choose to crop the results draped image surface to just the area of the image you are draping.

Figure 17. Screen capture of drape dialog box enhancing now cookie cutting option for grid to image extents.
When you drape lines over grids on the scene and these have holidays, your lines will be cropped to only be visible where there is grid data.

Figure 18. Screen capture of drape dialog box enhancing now cookie cutting option for grid to image extents.
Line Object improvements
As a user you can now create QGFs (QPS Graphic File) from defined Fledermaus line objects, making QPS cross product workflows easier.
Figure 19. Screen capture of QGF option of operations for lines object.
You can now also color sectioned line objects differently, enhancing the properties that you have control of for the polyline objects.

Figure 20. Screen capture of color lines objects options now available.
General Object improvements
We continue to make some basic functionality common across products. As a request from users, you can now zoom to object options on right-click operations menu.

Figure 21. Screen capture of the right-click option for Zoom to object.
Create Grid Wizard improvements
Something that our Fledermaus 7 user base missed in Fledermaus 8, was the possibility to create a scalar (a uniform grid of some value other than height/depths), to load and work in Fledermaus. It is now back, and you are able to create scalars from supported formats for many different point cloud data.

Figure 22. Dialog of Ungridded data wizard where you can choose scalar creation instead of a grid.
QPD Object Attribute Improvements
Loaded QPD files now support transparency.
Fledermaus Viewer - Measurement
It is now possible to do quick measurements with the Fledermaus Viewer, as shown in Figure 21. You can create your scenes with a Licensed Fledermaus product and share them with others, that can make use of the Fledermaus Viewer to interact with the scene, more actively now with quick profiles and also do quick measurements at no additional License cost to those you share your scene with.

Figure 23. Screen capture of the Fledermaus Viewer with measurement mode enabled to show measurements in the map display application.