Fledermaus 8.5.0 New Functionality
On this page:
Point Cloud Streaming - Entwine Point Tiles
Fledermaus now supports a robust Point Cloud object that allows streaming data from disk or via a network, using the Entwine. This elegant solution for huge point cloud files allows managing big data within the scene, and responding to the level of detail of need when working within the 4D map display. You can load several of your favorite EPTs and start working with them. Figure 1 shows more than 5 million points been streamed directly from the network and scaling visually in the map display as specified for streaming point budget. You can colour coat with any of our colour palettes or with the RGB's if the point cloud has it. See an example in Figure 2, Mount Baker, Washington State.

Figure 1. Point Cloud Stream from The Netherland AHN dataset from network. Loading more than 5.9 million points, with budget for 6 million. Credit data to: Datasets - PDOK.

Figure 2. Mount Baker, Washignton State EPT from network. Credit data to: USGS & Entwine
Work your point budgets to needs and capacity of your unit, within the preferences, under the file menu. You can monitor total loaded points and have budget allocation present at right-low side of your map display, making your computer hardware and software optimizations possible depending on your needs.
Figure 3. Stream Point budget management for Fledermaus point clounds. Credit data to: Datasets - PDOK
X - Point Listings
Fledermaus 8.4.x supported the cable/pipe object, now Fledermaus 8.5.0 there is support for the cable/pipe X - point listings created in the Qimera TOP projects. We will continue to work support for other sources in future releases. Figure 4 depicts the flags of the X-Point listings for a cable/pipe object within the map display of Fledermaus.
Figure 4. Screen capture of cable/pipe route with X-Point Listings. Credit data: XOcean
Cross Profiles Series improvements
Cross profiling support was greatly improved in FM 8.5.0. Any saved profile can now dynamically create and perform a cross profile analysis simply by turning on the cross profile option in its attribute panel. This will expose options to generate a series of profiles which are added to the main profile and you can dynamically select the cross profiles at various KP points for analysis in the profile/cross profile display. These cross profiles will be maintained as part of a saved scene or saved profile object. Simple investigative cross profiling can be done interactively via the profile editing tool and turning on the cross profile option to dynamically explore cross profiles at various points along the route. Figure 5 depicts the 4 steps to take to start interacting with your data immediately within the 4D scene to skip to a specific KP of your route.
Figure 5. Screen capture of pipeline route with N-Point Listings and generated Cross-profiles at each KP. Credit data: XOcean
File renaming
It is now possible to rename Fledermaus objects created within the scene. Figure 6 depicts the listed Rename options for the selected object. Note that when working on a project, this will not be available and will not be listed, as the renaming will break project link to the Scene object. We will continue to work more on Project and Scene workflows as Qimera and Fledermaus continue to align project workflows.

Figure 6. Screen capture for renaming scene objects within the application. It is available within the right-click option for the selected object.
Image repositioning
You can now reposition and shift images (vertical and horizontal ones) within the 4D map display to be able to adjust to fit and overlay and drape on surfaces or other image operations needed. Figure 7 shows the right-click operations that are enabled, highlighting Reposition with X & Y for geoimages. You will find it listed in the Operations drop down for those object type formats.

Figure 7. Screen capture for renaming scene objects within the application. It is available within the right-click option for the selected object.
Surface Statistics improvements
There are improvements on the statistics calculations dialog
You now get a complete total result that can has the following options as shown in Figures 8 to 10.
Figure 8. Screen capture of Statistics Operation results for Average layer.

Figure 9. Screen capture of Statistics Operation results with options of what layer generate statistics.
Figure 10. Screen capture of Statistics Operation results, with Highlights Given Data Percentage toggle-on.
Project Workflow improvements
Working with a QPS project is now easier. You can create a new scene and remain connected to the established project. You can drag and drop project elements into the 4D map display, a way to compose your scene with desired elements. You can also close a project and keep on working with objects in a composed scene. Figure 11 shows the dialog that allows to open one of the scenes linked to the project or creating a new scene. Figure 11 shows the new close project option when working with a project.
Figure 11. When you open a project that contains more than one scene, you are prompt to select which of the scenes you want to work with, or make a new one.

Figure 11. The Fledermaus Project Dock now has the option of closing the project.
QGFs Support improvement
There is native support for QPS QGFs design files. Load your created QGFs to work in the Fledermaus 4D Scene. Figure 12 shows a loaded object Design and how it is read directly with its properties.
Figure 12. Screen capture of Fledermaus 8 map display with a QPS QGF design, natively supported.
Contours Improvements
Colouring contours by depth is now back in Fledermaus. You can choose color by z, from the drop down menu. Figure 13 shows Jarvis Island data with contours in white for 500 m intervals with colour by depth for the 50 m intervals from 100 metres to surface
Figure 13. Screen capture of Fledermaus contours by colour and by depth, for Jarvis Island. Credit data to: Earthref.org
Draping improvements
The draping operationin Fm8 has been sped up by more than 100 time faster, making it from an overnight operation to a minute operation.
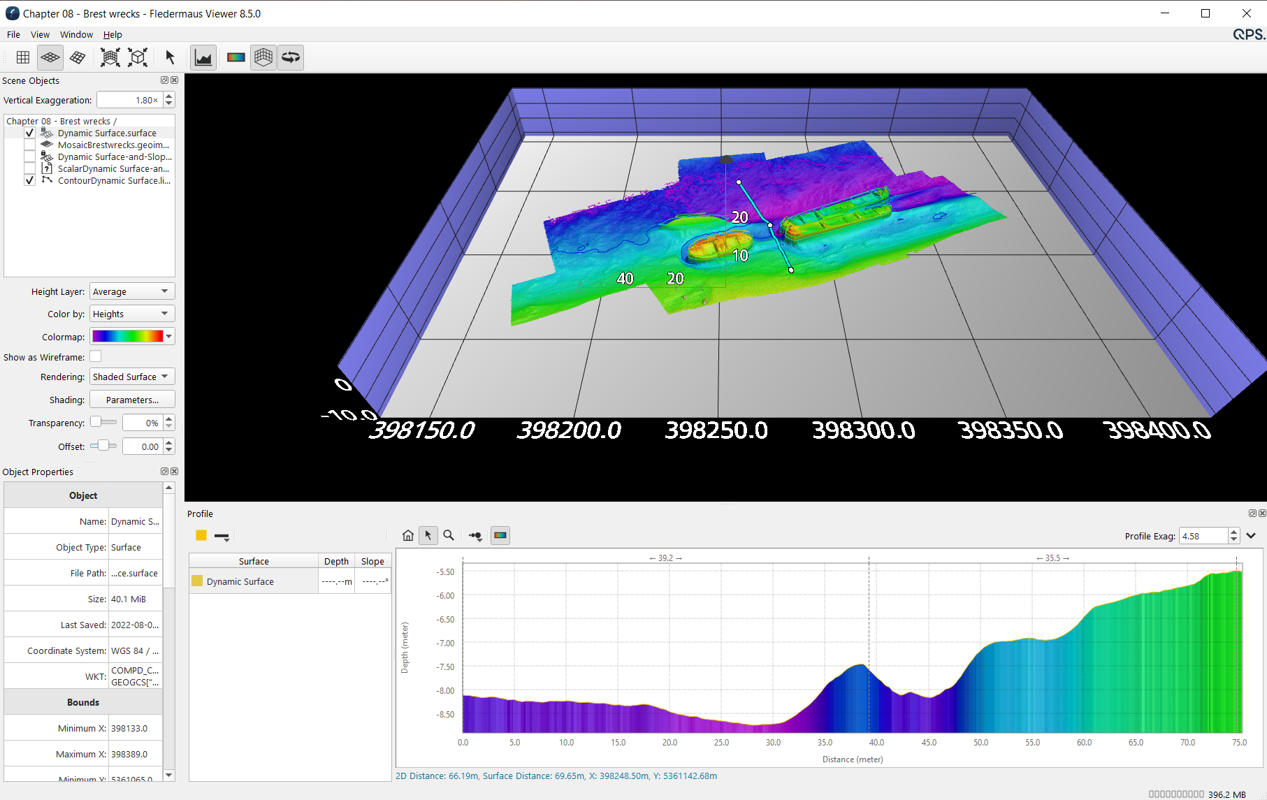
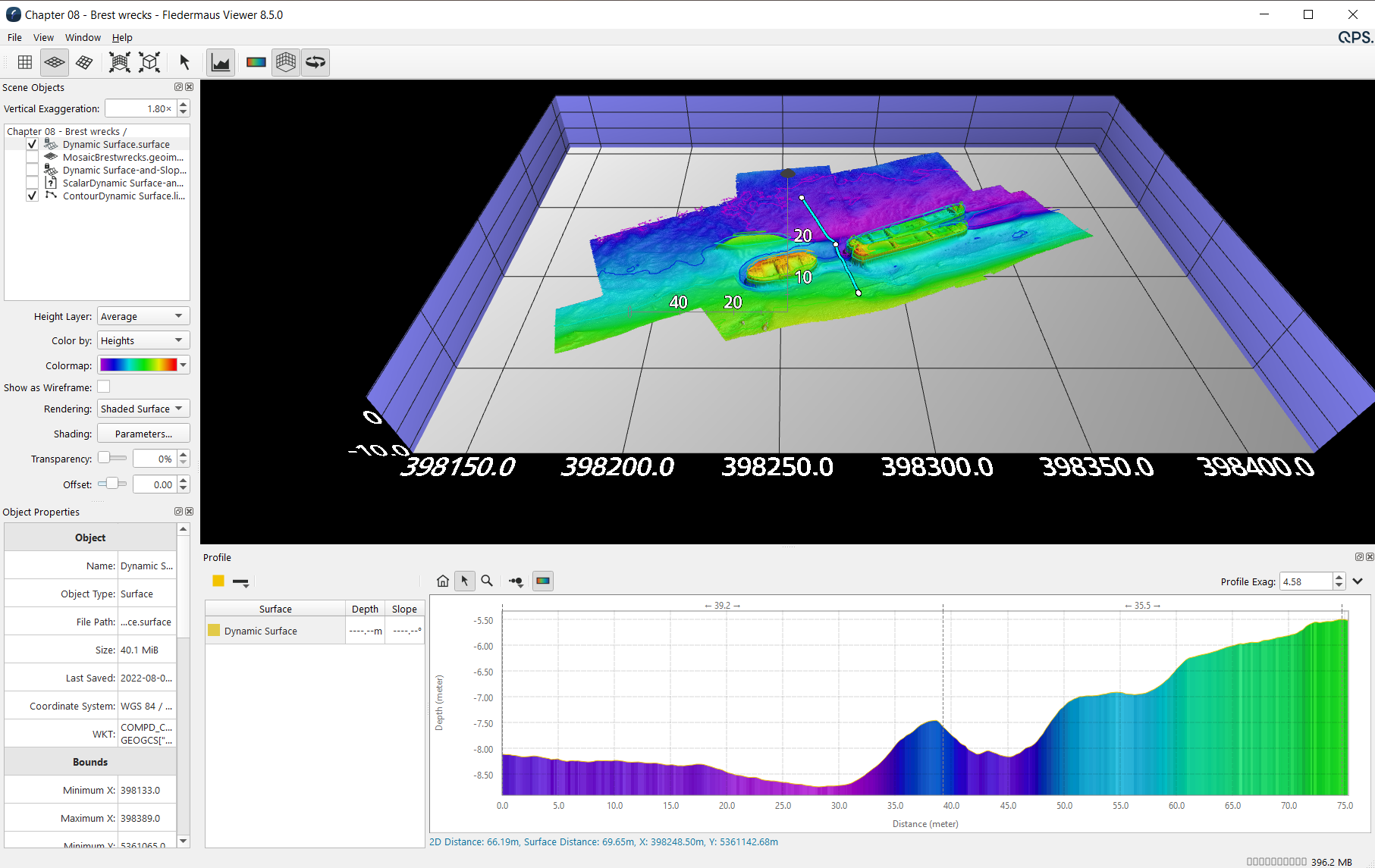
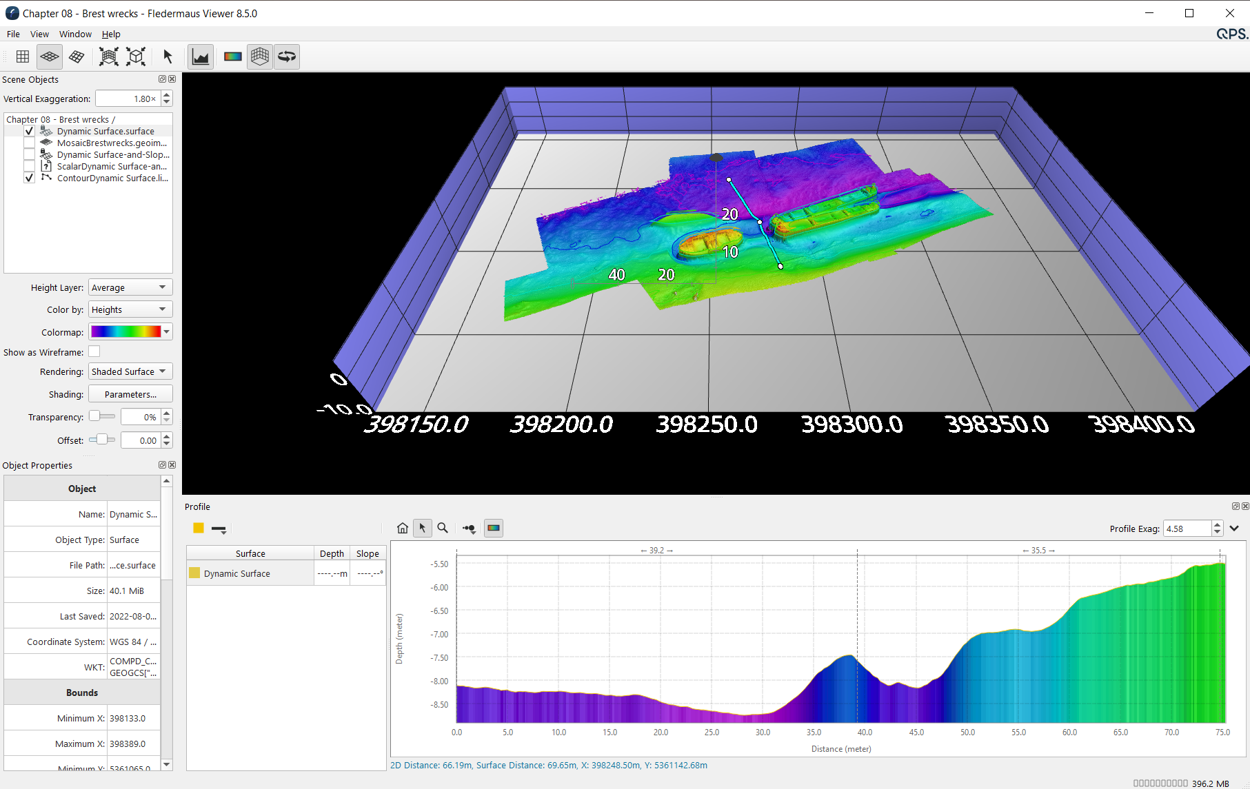
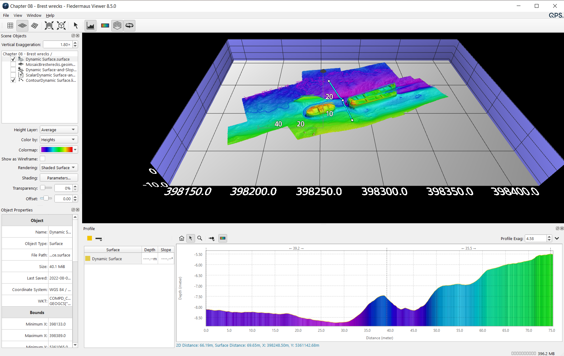
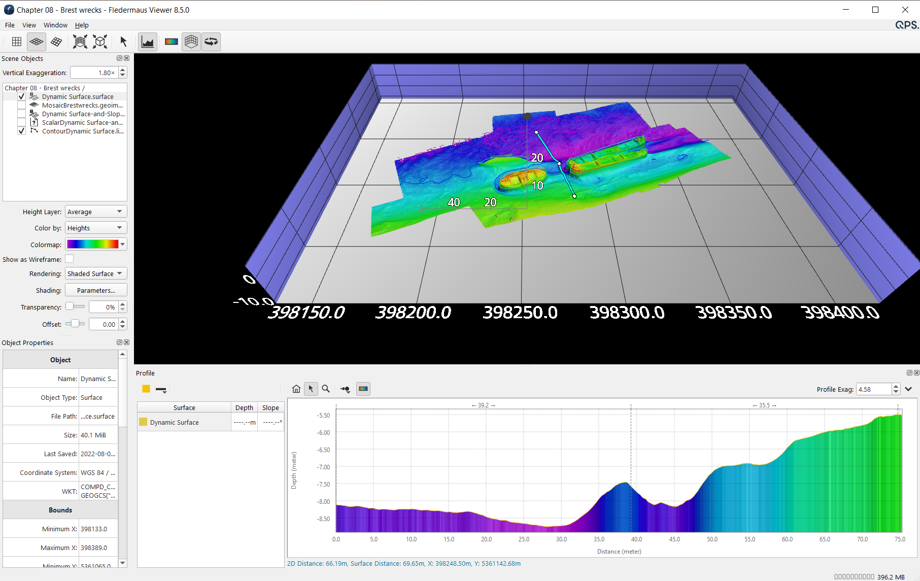
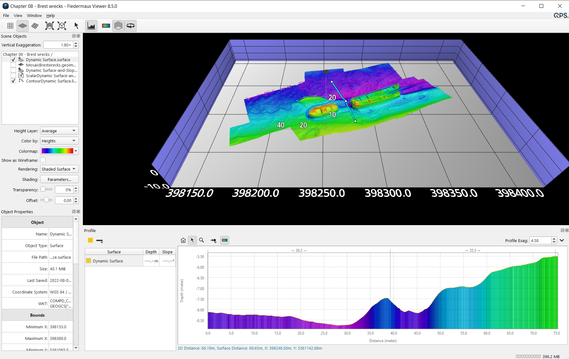
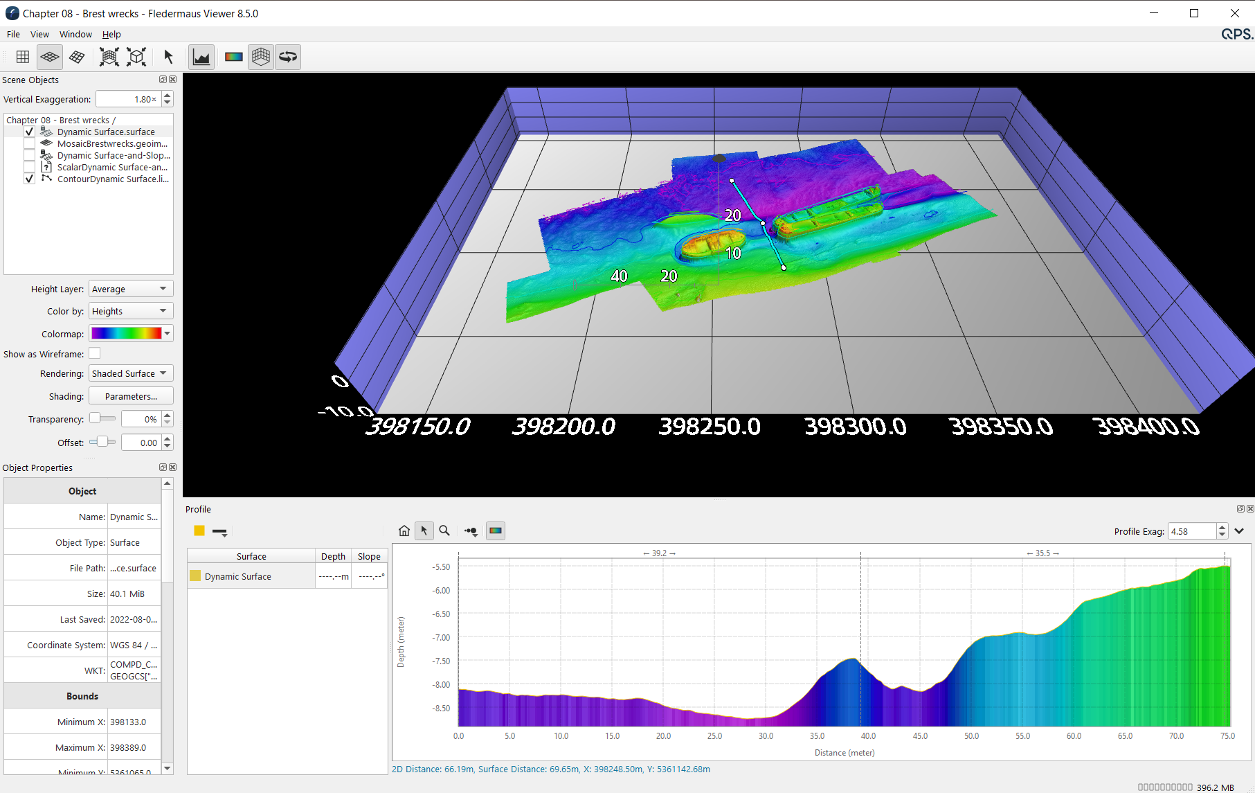
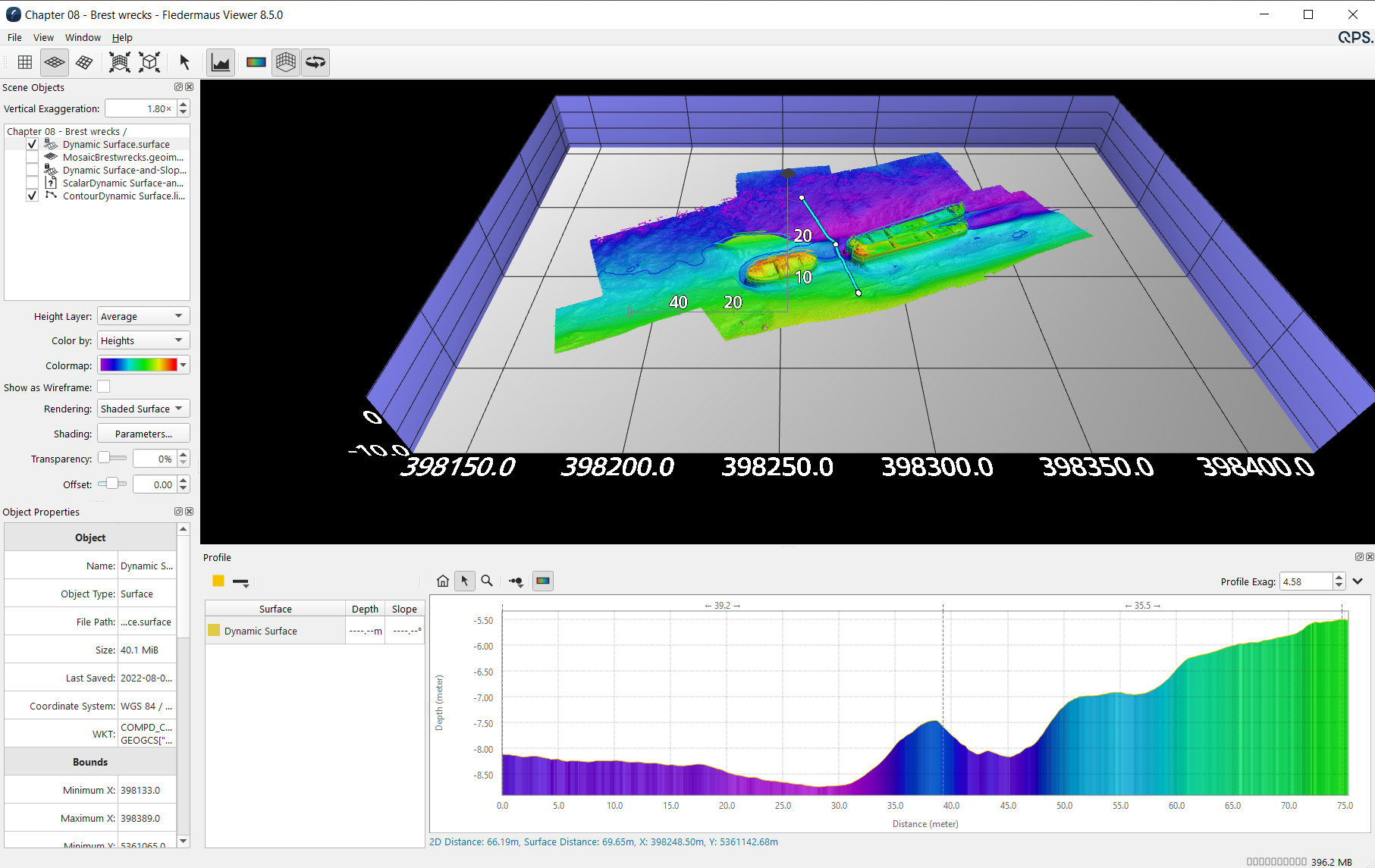
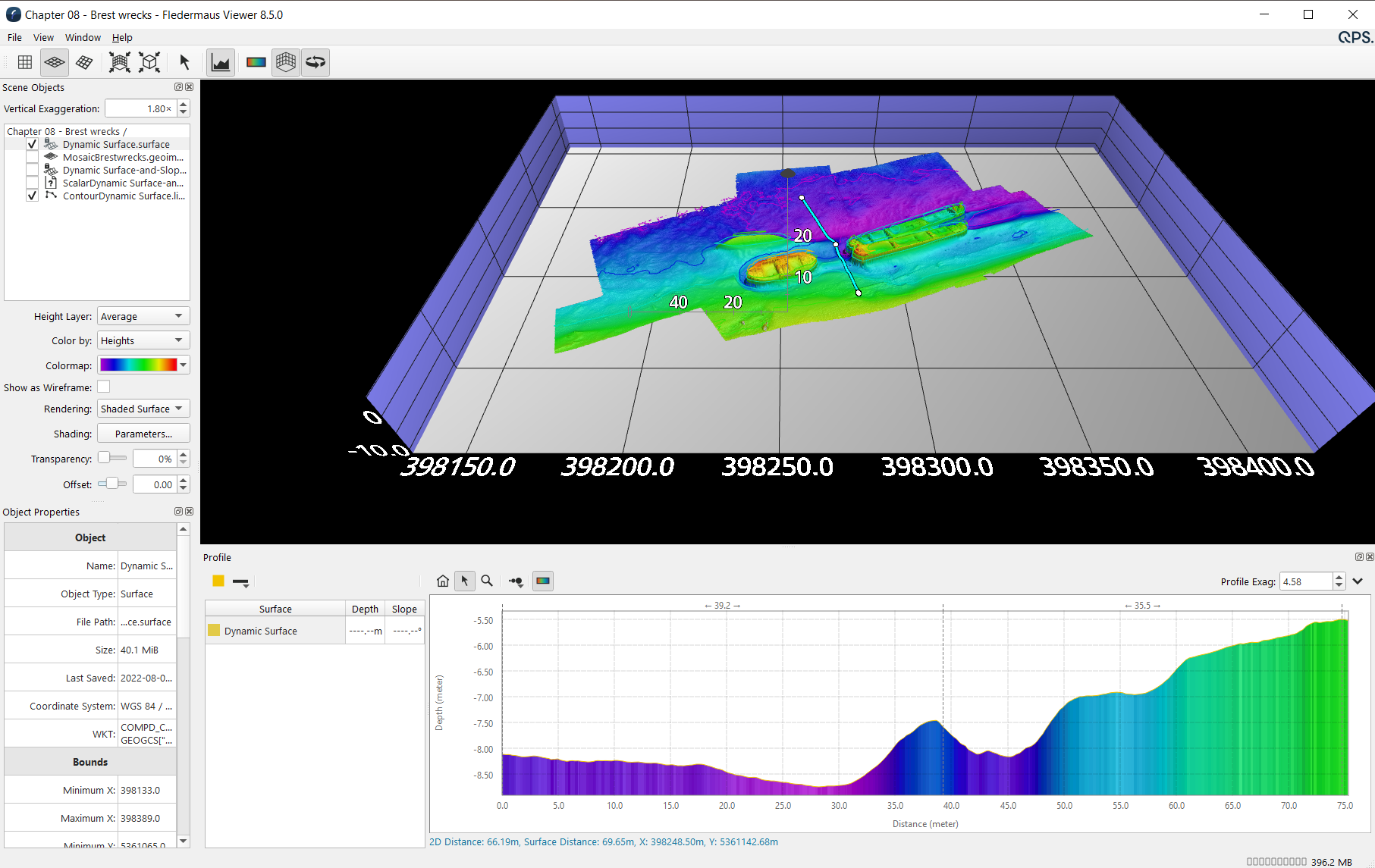
Fledermaus Viewer - Profiling
It is now possible to do quick profiles with the Fledermaus Viewer. You can create your scenes with profilers on them or set specific points of interest, and Fledermaus Viewer users can create a single quick review of the profile by use of the profiler widget, as shown in Figure 14.
Figure 14. Screen capture of the Fledermaus Viewer with Profiler mode enabled to plot a profile on the profile dock of the application.