Fledermaus 8.2.0 - New Functionality
On this page:
New Mesh Creation Options
A primary goal for this release was to make mesh creation easier to use. A key part of this work was replacing the "Octree Depth" parameter with "Minimum Resolution". This is an easier parameter to work with since it deals directly with the concept of a spatial resolution of the desired end product, and brings the creation process closer to the same as building a grid. This value is used to specify the smallest triangular segment in the mesh being created. As this is a variable resolution structure, the mesh will only go to that minimum resolution in areas that the data supports it. In areas where point data is more sparse, the triangular facets will grow larger. As the mesh adjusts to the differing point distribution, the finest resolution will be limited by this new parameter.

The construction of meshes revolves around the idea of creating vectors that point away perpendicularly from the point cloud, these are referred to as normal vectors, or "normals" for shorthand. The "Radius Search" for calculating point normals, as well as the "Density Search Radius", now have a new default "Auto" setting. When this is enabled, appropriate values will be calculated automatically during the creation process. You would only set these values manually in special circumstances or when trying to investigate a problem. More information on when to adjust these from the default setting can be found in the documentation.

A new general purpose normal orientation algorithm has been added to help improve consistency of the calculated point normals. Inconsistent normals result in the mesh being created with a surface overlapping on itself, which often look like large bubbles on the mesh.
There are now three options for normal orientation:
- Minimum Spanning Tree - A general purpose algorithm that works well for data sets with varying vertical and horizontal surfaces. This is the new default option for processed point files that do NOT come from Qinsy or Qimera (these other applications produce QPD point files).
- QPD Time Based - When building a mesh from QPD files, this option uses the sensor location to orient the point normals. This is the default when using QPD files from Qinsy or Qimera.
- Fixed Direction - If all other options are failing, you can specify a fixed direction (in X, Y, or Z) to enforce a general alignment to the normals. This would usually be used in combination with segmenting the point data into primarily horizontal and vertical subsets, using point editing software such as Qimera.

New Wireframe Mesh Display
The mesh object has a new wireframe display mode that can be set using the "Rendering" drop down menu in the attribute display. This mode displays the individual triangles that form the mesh and can provide insight into the variable density of the structure. Not only is this a useful for a visualization option, it can also be used to fine tune mesh creation parameters and also to troubleshoot problems that sometimes occur with mesh creation.

Mesh Slicing Tool
As the mesh is a true 3D object, it can represent complex shapes, including overhands and protruding objects. The new slicing tool provides the ability to hide a portion of the mesh to better display certain areas, and improve analysis. The mesh slicing tool has options to slice in X,Y, or Z directions, either using a slider or by entering a value manually.

The example below shows a mesh with no slicing on the left, and the same data set sliced in each direction.

Looking from above, the sliced mesh provides a better view of the structure.

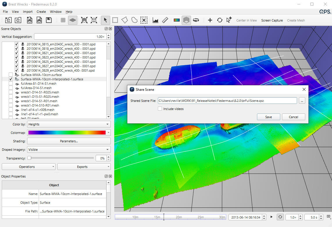
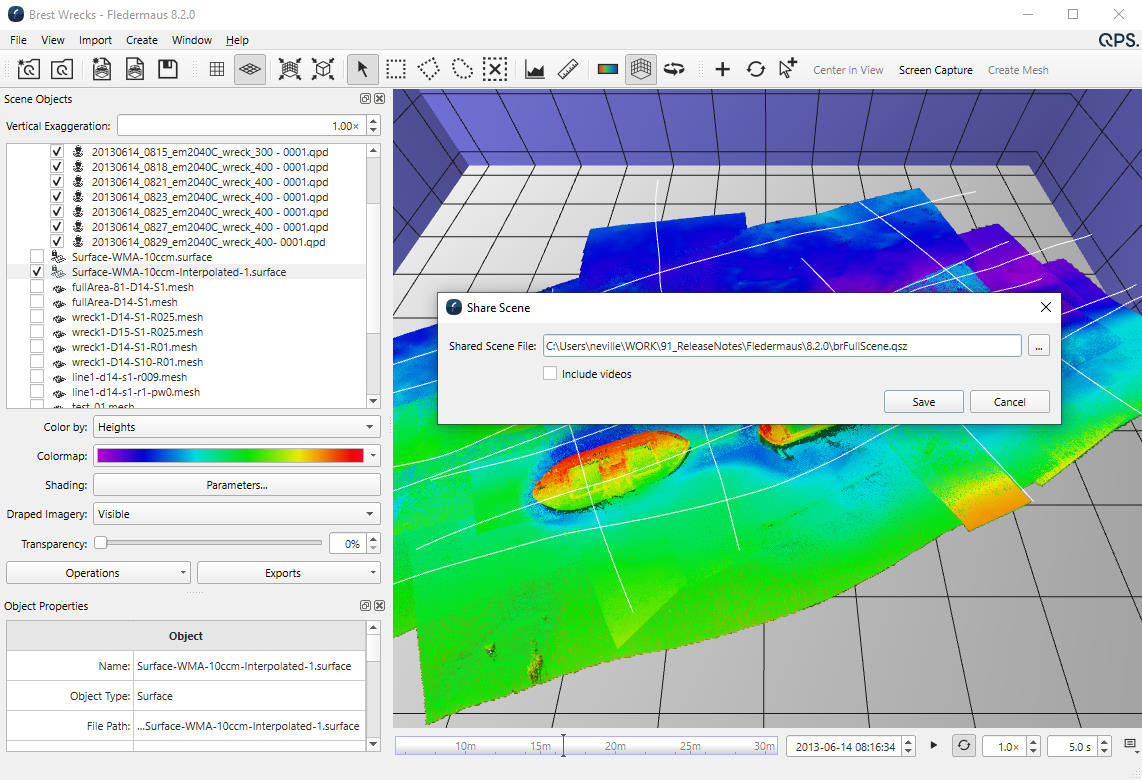
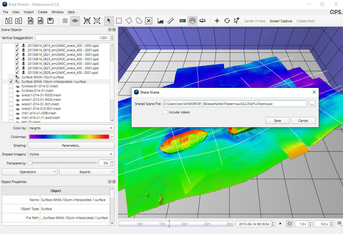
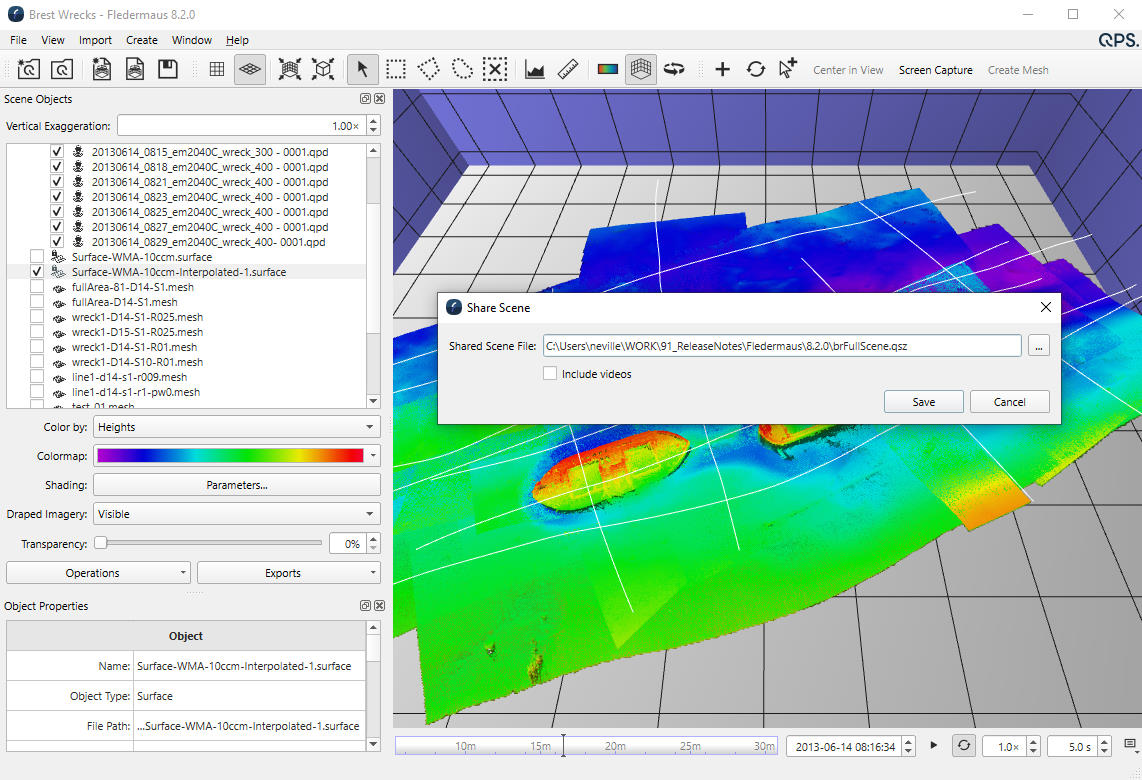
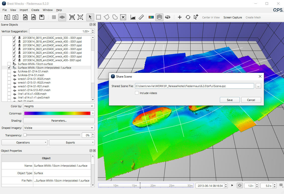
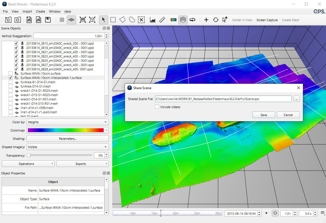
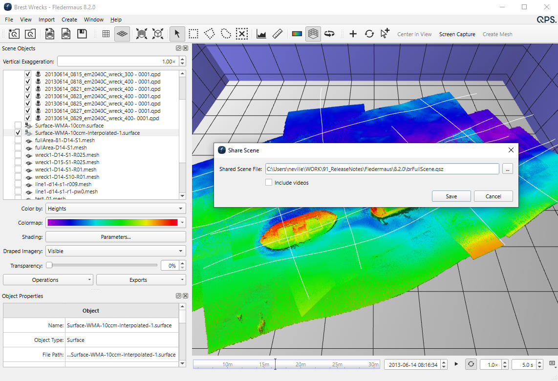
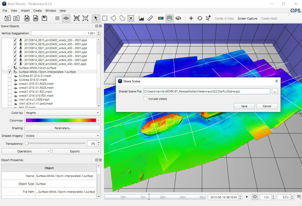
Scene Sharing Tool
When working with Fledermaus, it is very common to share the created Scenes with other Fledermaus users or those using the Free Viewer. However, with the switch to lightweight scenes in Fledermaus 8.0. the process of sharing a Scene became more complicated. To help with sharing Fledermaus Scenes, we have added a new "Share Scene" tool that will collect all the files into a single compressed Scene file (.qsz extension). The compressed Scene can be given to other Fledermaus users where it will be uncompressed on first use.
