Fledermaus 8.0.0 - New Functionality and Improvements
New User Interface
The Fledermaus user interface has been fully updated for version 8. The updates are in response to many feature requests over the years and in response to the now commonplace use of high DPI wide screen monitors. The goal was to build on the ease of use from earlier Fledermaus versions, while improving the overall workflow for common tasks. The user interface also continues the clean design for icons and menus that has been popular with the Qimera application. As much as possible, common operations between Fledermaus and Qimera will have common icons and tools, helping users that move back and forth between the applications.
Modernized UI
In addition to the general improvements, there are four key areas where the modernized UI has additional functionality:
- Scaling for high DPI displays: All user interface elements are designed to scale nicely with different resolution displays. This allows the interface to work well when using an HD display, all the way to 4K or higher.
- Improved docking system: All tool bars and docks now use a modern docking system that allows them to be easily moved and docked in new locations.

- Customizable Toolbar: In addition to default toolbar, a second customizable toolbar can be displayed with any operations you wish to add.

The custom toolbar can be docked or stay as a floating set of tools .
- Configurable Shortcuts: In addition to being added to a custom toolbar, every action in Fledermaus 8 can be assigned to a custom shortcut key.

- Custom Workspaces: The combination of dock locations and size, toolbar configurations and window layout can all be saved as a "Workspace". You can then quickly switch between the workspaces depending on the task or display setup that is currently being used.
- Flicker Mode: Borrowed from Qimera, Flicker Mode allows for quick comparisons between two or more data sets. By selecting two or more objects, the ~ key is used to sequentially turn each on on and then off.

Scene Object Display
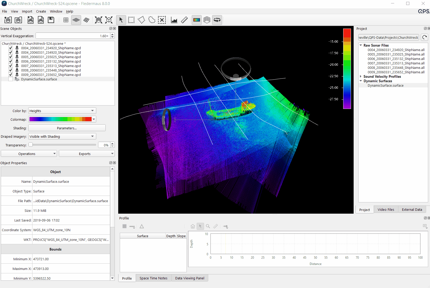
- Object List: The display of Fledermaus objects has been improved with better grouping capability, an icon to easily see the object type, and the ability to perform operations when multi objects are selected at once

Easier to use object controls: The object controls are now displayed automatically below the scene object list, whenever one or more objects are selected. Object properties are now displayed


- Object Multi-Select: A major enhancement in Fledermaus 8 is the ability to select multiple objects and perform batch operations on all selected objects. The Object Properties dialog is also multi-select aware and displays a summary of all selected object. Some common uses for the multiselect would be setting a group of points to have all the same point size, or setting a group of objects to all use the same color map and color map range. When objects of different types are selected together, only the attribute options that are common across all object types are displayed. In the example below, after setting all the QPD files to have the same point size, the QPD and the surface are selected and a common color map applied to both object types.

- Operations and Exports: In Fledermaus 7 the operations on objects were inconsistently located and spread across multiple different locations. In Fledermaus 8 all Operations and Exports can accessed from the buttons below the attribute controls, or from the objects right click menu.
Selection Tools
The selection areas can now be dynamically edited via control points and moved within the scene.

Measurement Tool
A new measurement tool has been added alongside the profile tool, which allows for quick measurement on surface and mesh objects.

New 3D Rendering Engine
The 3D rendering engine in Fledermaus 8 has been completely re-built from scratch, which is the first time this has been done in the 25+ years since the application was first created. The new engine provides a number of immediate benefits and launches a new platform for Fledermaus to build on going forward. The new modern design allows Fledermaus to better take advantage of the latest graphic cards to provide better performance and better visuals.
Streaming from Disk Rasters
All raster objects in Fledermaus 8 are now dynamically streamed from disk, instead of being stored completely in memory. This allows working with much larger data sets as only a subset of the total data is streamed and rendered at any given time. This technology is used for all raster data, including surfaces, scalars and images. Combined with new algorithms for dynamic level of detail, raster data is streamed in as the user moves around the 3D scene, while maintaining a smooth frame rate and minimizing screen flicker.
Improved Image Drapping
Image Drapping is a key tool for visualizing additional data, such as backscatter, or sidescan on top of bathymetry. Build on the new rendering engine, there are a number of significant improvements to the drapping in Fledermaus 8:
- Better performance
- Support for high resolution textures over low res surface, without creating massive files
- The original image is preserved, and can be later exported
- Shading can be turned on or off for the texture, and the texture itself can be turned off
- Support for multiple images on a single surface
- Shading is applied in real time with blending operations.
Solid Models
There are now many more supported formats for importing a 3d model, along with support for moving parts within a model.
3D Points
The point object has much faster rendering when using newer graphics cards, along with a much improved spherical render mode with better shading. There is also better support for time attributes, and RGB color. In the example image below, Fledermaus 8 is on the left, with Fledermaus 7 on the right.

Space-Time Notes
Fledermaus 8 introduces the concept of "Space-Time Notes" which are a powerful concept that unifies elements of traditional eventing, geo-picking, and 3d view management. The ST-Notes system allows a user to navigate within a Scene and record points of interest, both in 3D space, and it time. These notes are then used to jump back to that point of interest, with all time aware objects updating to the recorded point in time. These notes can be used with a single surface, or in more complex scenes that include watercolumn data, or time synced video from an ROV.


Automated flight path generation
One of the most common reasons people use Fledermaus is for integrating data into a common Scene, and then producing high resolution images and movies of that scene. Historically, the generation of a good flight path can sometimes be challenging and time consuming. Building on the stored viewpoints of the ST-notes, Fledermaus 8 automatically generates flightbaths, focusing on the selected areas of interest. The flight paths can then be used as part of the presentation system to quickly create stand alone movies.
Presentation and Reporting Tools
Building on the Space-Time Notes system is a new set of interactive presentation tools. These tools allow for quick generation of presentations directly within Fledermaus, and are the new method for creating stand alone movies. Combined with the direct support for Qinsy/Qimera projects, it provides a very fast workflow for moving from acquisition to 3D reporting. The goal of the system is to be familiar to anyone who has made a presentation using Powerpoint, but with all the underlying power of a full 4D scene.
The core of the system is the new Slides dock, which allows for the creation of slides within the scene, as well as control over both the transition to the slide location and the action while on the slide.

Slide content, such as text and images, can be added to each slide and will be displayed in front of the 4D scene.

This content can be displayed in a live report, or rendered to a standalone movie.

High resolution mesh objects and mesh creation
To help visualize high resolution multibeam and laser data, Fledermaus 8 introduces a new mesh object, along with tools for creating new mesh objects from point data.
Imported Mesh
With the growth of high resolution point and mesh data sets coming from photogrammetry (Structure from Motion) there was a need to directly support these data types in Fledermaus. The new terrain mesh object has a lot of the same functionality as the standard raster surface object, such as applying a colormap, using a texture, and measurement tools. Data created in packages such as Agisoft Metashape, or Pix4D can be imported with georeferencing, or the mesh can be georeferenced during the import process.
Example data with and without texture turned on:


Example data from Dronopilot.com, used under CC License (https://sketchfab.com/3d-models/rocky-coast-in-corsica-near-sagone-ee651b58202949cab874a7c0450e72df)
Mesh Creation
In addition to using existing mesh data, you can also create a new mesh from scratch using multibeam or laser data. This works best with clean, high density data and is true 3D surface, allowing for vertical overhangs and overlapping surfaces. Additional points from watercolumn can also be included in the meshing process, creating very detailed results.
Comparison with 5cm grid on the left, and 3d mesh on the right:

Being a true 3d structure, the mesh is much better than a standard grid for modeling vertical surfaces with fine details, as visible in the example below:

Large geoimage editing in Scene
The DMagic application from Fledermaus 7 provided a number of powerful tools for editing large images while preserving georeferencing. For Fledermaus 8 these tools have been directly integrated into the main application. This allows the tools to be used directly in the scene and in combination with the new streaming from disk image format. Operations such as croping, resampling, and switching color modes are done directly from the Geoimage operations menu.

Native support for QPS formats
One of the primary design goals for Fledermaus 8 was to directly support the core QPS formats. This makes using Fledermaus alongside Qimera and Qinsy much easier and opens up a lot of new and exciting workflow options.
QPD Files
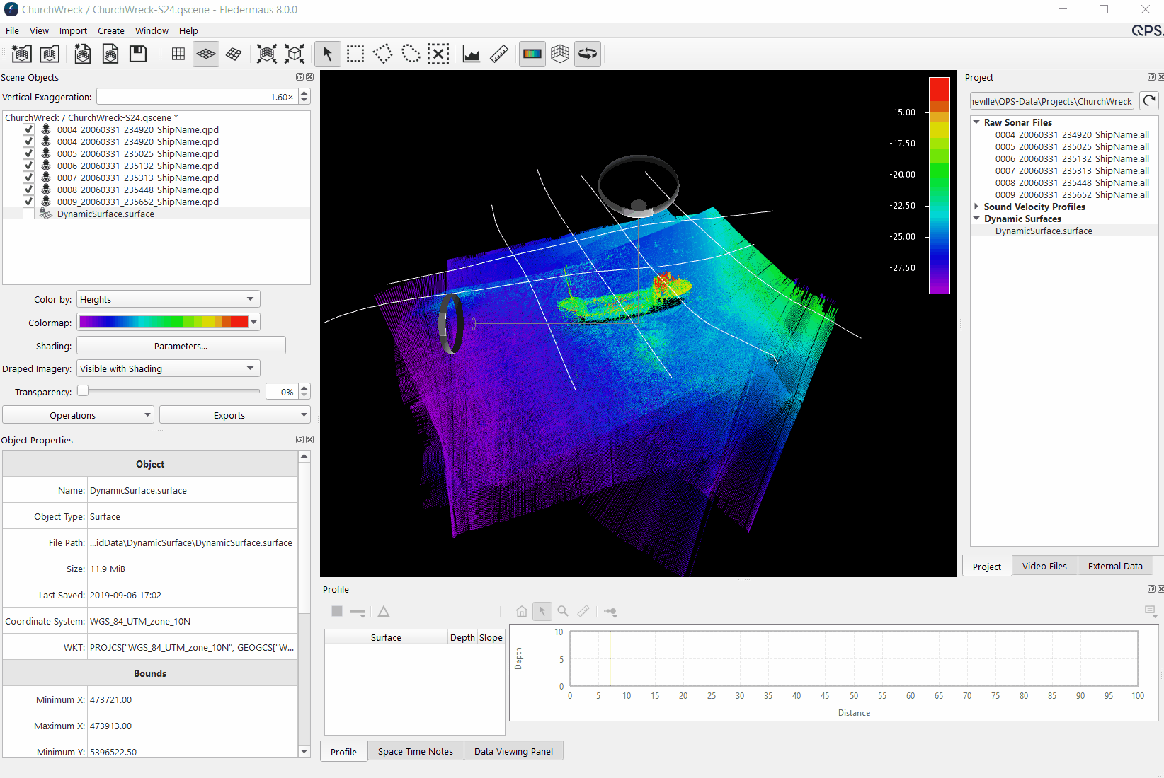
QPD files can be added directly to a Fledermaus Scene, with the ability to display the data as points. The QPD trackline can also be displayed or turned off.

Having direct support for QPD files is very handy when working with a Qimera project, as any raw sonar files that have been processed can be imported directly into the Scene.

Dynamic and Static Surfaces
Dynamic and static surfaces that have been created in either Qinsy or Qimera can now be directly opened with Fledermaus. The new common grid format is also the new default format anytime a grid is imported in Fledermaus or point data is gridded.

QGF (CAD) Files
The QFG format is used in Qinsy and Qimera to store CAD data, such as design models. These files can be directly used in Fledermaus 8, and are the new default format when CAD files such as a DXF/DWF file, is imported into Fledermaus.
Integrated Video Player
To make working with full motion video easier, Fledermaus 8 now has an integrated video player, along with a dedicated dock to time reference and manage the video files. This allows recorded video from an ROV, AUV, or ASV to be time synchronized with a navigation file for playback in the 4D scene. There is also a dedicated dock for managing video files, with a number of new options for time referencing the files. Within the same scene, multiple source cameras


Direct QPS (Qimera and Qinsy) Project Support
Building on top of the native support for QPD, QGF, and Dynamic Surfaces, Fledermaus 8 now directly supports opening projects from Qimera/Qinsy, as well as creating new projects from scratch. This allows for quickly moving between Qinsy/Qimera and Fledermaus without having to import or convert any data. The project support also adds a new level of organization when working with large amounts of source data in Fledermaus. For those who do not need a project however, Fledermaus 8 can still work with just a standalone Scene, or individual files.
Opening and Creation Projects
To open an existing project, there is a new shared dialog that is now common between Qinsy, Qimera and Fledermaus. This dialog displays thumbnails of each project along with overview data.

Project Dock
Once a project is loaded, a new dock provides an overview of the currently active Project. This is designed to have a similar look and feel to the Project View in Qimera, and allows the data to be quickly added to your scene.

New Geodetic Selection and Configuration Interface
There is a new geodetic configuration interface that brings the full power of Qinsy's geodetic configuration abilities to Fledermaus. The new interface is shared with both Qinsy and Qimera and marks a major improvement in configuring geodetics. For example, Fledermaus users can now specify vertical separation models, create complex custom geodetic transformations between coordinate frames, create construction grids and more. There are also improvements in searching for an EPSG code and there is a Guided Workflow to configure simple setups quickly or complex setups intuitively.


ESRI Geodatabase Connection (FMGIS Add-on)
The technology for connecting to an ESRI geodatabase has been rebuilt and now uses ArcPy scripts to do the connections and data transfers. This provides a number of benefits:
- Now supported for 64-bit Versions of Fledermaus
- No longer coupled with ESRI releases
- Improved user interface with dedicated connection in "External Data" dock
- Multiple connections (to GDB) can be made within the same scene
- Improved attribute support for supported objects

Improved Profiling Tool
The profiling tool has been significantly upgraded:
- Support for multiple surfaces, including dynamic display of difference between the two.
- More quantitative information displayed in the profile.
- You can pan and zoom in the profile display.
- Cross profiles can be adjusted by dragging the edit handles in the main 3D display.

Vertical Curtain (Sub-Bottom Data)
Using the new rendering engine, the performance of the vertical curtain object has been significantly increased. In Fledermaus 7 there were significant speed slow downs when a lot of curtains where used in the same display. With Fledermaus 8 you can display more curtains without loss of performance, and at higher resolutions (less degradation).
Improved CAD Import and Display
CAD files (DXF/DWG) are often used in Fledermaus as important reference information alongside the core bathy data. Fledermaus 8 has greatly improved the support for CAD files, including:
- Support for colors in the original files
- Support for many more entities in the CAD files
- Better display of entity attributes
- Support for rendering CAD text entities
Improved Screen Capture Tool
The screen capture tool has been improved with a thumbnail image showing a preview of the screen capture, and the default filename is changed to a name with date and time. Users can also now copy the image directly to the clipboard, in addition to the file formats previously available.
